Abandoned & Little-Known Airfields:
South Carolina: Western
© 2002, © 2025 by Paul Freeman. Revised 5/13/25.
This site covers airfields in all 50 states: Click here for the site's main menu.
____________________________________________________
Please consider a financial contribution to support the continued growth & operation of this site.
Bethel Lake Wylie Airfield (added 12/1/19) - Calhoun Falls Airport / Hester Memorial Airport (revised 5/13/25) - Campobello Airport (revised 11/27/16)
Greenwood Municipal Airport (1st location) (revised 11/27/16) - Greenwood Municipal (2nd location) / Johnson Field / Chinquapin Airport (revised 11/27/16)
Hawthorne School of Aeronautics (revised 11/21/21) - Our Own Airport / North Augusta Airport (revised 9/16/19) - Palmetto Airport / Twin City Airport (revised 1/29/24) - Shealy Airport (added 11/2/23)
____________________________________________________
Shealy Airport (SC14), Leesville, SC
34.063, -81.412 (Southeast of Greenville, SC)

Shealy Airport, as depicted on the 1971 USGS topo map.
Photo of airport while in use has not been located.
This small airfield was evidently established at some point between 1955-71,
as it was not yet depicted on a 1955 aerial photo.
The earliest depiction which has been located of Shealy Airport was a 1971 aerial view.
It depicted a single unpaved northwest/southeast runway, with an arch-roof hangar at the northwest corner.
No aircraft were visible on the field.
The earliest topo map depiction which has been located of Shealy Airport was on the 1971 USGS topo map.
It depicted a single unpaved northwest/southeast runway, labeled generically “Landing Strip”, with a building at the northwest corner.

The earliest photo which is available of Shealy Airport was a 1994 USGS aerial view looking south.
It depicted a single unpaved northwest/southeast runway, with an arch-roof hangar at the northwest corner.
No aircraft were visible on the field.
The earliest photo which has been located showing aircraft at Shealy Airport was a 2005 aerial view,
which depicted at least 1 intact light single-engine aircraft near the hangar, along with many other smaller items.
As of 2013, FAA Airport/Facility Directory data described Shealy Airport as owned by Wilson Shealy,
and having a single 1,700' turf Runway 12/30 on a 7 acre property.
Shealy Airport was not depicted on the 2016 Charlotte Sectional Chart.

A 2021 aerial view looking south depicted Shealy Airport in the same physical configuration, but several aircraft (& pieces of aircraft) were visible near the hangar at bottom-right.
According to Hunter Geib, Shealy Airport owner Wilson Shealy died in 2021.

A 2/19/21 photo by Hunter Geib looking south at the Shealy Airport hangar, showing a biplane without wings, an Ercoupe, and a portion of a homebuilt aircraft.
Hunter Geib reported, “The airport was active until about a year ago”, 2022.

A 2023 photo by Hunter Geib at Shealy Airport of N5956L, a 1969 American AA-1.

A 2023 photo by Hunter Geib at Shealy Airport of the panel of N5956L, a 1969 American AA-1.

A 2023 photo by Hunter Geib at Shealy Airport of an unidentified fuselage.

A 2023 photo by Hunter Geib at Shealy Airport of an unidentified wing, which appears to have an RAF roundel.

A 2023 photo by Hunter Geib at Shealy Airport of what appears to be the remains of a single-seat cropduster.

A 2023 photo by Hunter Geib of the interior of the Shealy Airport hangar.
Hunter Geib reported in 2023, “The property has been owned for a while by Dominion Energy.
I was told by people who knew airport owner Wilson Shealy that he made a deal with the power company (formerly SCE&G) that they could have the land once he died.”
Thanks to Hunter Geib for pointing out this airfield.
____________________________________________________
Calhoun Falls Airport / Hester Memorial Airport (0A2), Calhoun Falls, SC
34.091, -82.565 (South of Greenville, SC)

Hester Memorial Airport, as depicted on the February 1960 Savannah Sectional Chart (courtesy of Lee Corbin).
Calhoun Falls Airport was not yet depicted on a 1954 aerial photo.
An article in the 4/28/56 Greenwood Index-Journal (courtesy of Lee Corbin) reported “Calhoun Falls Airport construction begins.”
Calhoun Falls Airport was evidently renamed Hester Airport at some point between 1956-60,
as that is how it was labeled on the February 1960 Savannah Sectional Chart (courtesy of Lee Corbin).
It depicted Hester as a public-use airport having a 3,800' unpaved runway.
The earliest photo which has been located of Hester Airport was a 1981 aerial view.
It depicted Hester as having a single paved Runway 10/28, with a ramp & 2 T-hangars on the northwest side.
No aircraft were visible on the field.

The earliest topo map depiction which has been located of Hester Airport was on the 1985 USGS topo map (courtesy of Lee Corbin).
It depicted Hester Memorial Airport as having a single paved northwest/southeast runway, with 1 small building on the northwest side.

The earliest photo which is available of Hester Memorial Airport was a 1994 USGS aerial view looking south.
It depicted Hester as having a single paved Runway 10/28, with a ramp on the northwest side.
The 2 T-hangars had evidently been removed at some point between 1981-94, and no aircraft were visible on the field.
An article in the 11/25/14 Index-Journal (courtesy of Lee Corbin) reported,
“After presentations & discussion from community leaders & residents,
Calhoun Falls Town Council unanimously voted to close the Hester Memorial Airport in order to reopen as a private-use airport.”

A 2007 aerial view from the 2013 SC Airport Directory (courtesy of Lee Corbin)
depicted Hester as having a single 3,917' paved Runway 10/28, with a ramp on the northwest side.
No aircraft were visible on the field.
Hester Memorial Airport was evidently closed (for reasons unknown) at some point between 2013-2020,
as it was no longer listed with the FAA as of 2020.

A 2024 aerial view looking south depicted Hester Memorial Airport's runway as remaining intact though considerably deteriorated.
Thanks to Lee Corbin for pointing out this airfield.
____________________________________________________
Bethel Lake Wylie Airfield, York, SC
35.049, -81.138 (Southwest of Charlotte, NC)

Bethel Lake Wylie Airfield, as depicted on the August 1990 Charlotte Sectional Chart (courtesy of Ron Plante).
Photo of the airport while open is not available.
This little short-lived private airfield was evidently established at some point between 1988-90,
as it was not yet depicted on the August 1988 Charlotte Sectional Chart (courtesy of Ron Plante).
The earliest depiction which has been located of Bethel Lake Wylie Airfield was on the August 1990 Charlotte Sectional Chart (courtesy of Ron Plante).
It depicted Bethel Lake Wylie as a private airfield having a 2,700' unpaved runway.

The earliest photo which has been located of Bethel Lake Wylie Airfield was a 1994 aerial view looking northwest.
It depicted the apparent modest begingings of the airfield, with a single unpaved northeast/southwest runway.
There were no buildings or aircraft visible on the field.

A 2003 aerial view looking northwest at Bethel Lake Wylie Airfield showed considerable improvements compared to 1994,
with a 2nd runway (a grass north/south strip) having been added, along with a grass taxiway connecting the north ends of the 2 runways.
A hangar had been added at the south end.
Reuben Bakker reported in 2019, “Bethel Lake Wylie airstrip was located at the corner of Highway 49 & Kingsbury Road.
I was never around when this airstrip was operational but was curious about it when I saw the old hangars & a cleared grass strip about 10 years ago [circa 2009].”

The January 2017 Charlotte Terminal Aeronautical Chart depicted Bethel Lake Wylie as a private airfield having a 1,500' unpaved runway,
considerably shorter than its depiction in 1990.
Bethel Lake Wylie Airfield was no longer depicted on the July 2017 Charlotte Terminal Aeronautical Chart.

A 2018 aerial view view looking northwest showed only the faintest outline of the 2 former runways of Bethel Lake Wylie Airfield, with the property having been considerably overgrown.
The hangar remained on the southwest side.

A May 2019 photo looking north at the southwest corner of the former Bethel Lake Wylie Airfield (courtesy of Reuben Bakker)
showed a remaining clue of the property's airfield past: airfield marker red balls suspended on the powerlines across the street.

An 11/23/19 photo by Reuben Bakker of the collapsed former hangar at the site of Bethel Lake Wylie Airfield.

An 11/23/19 photo by Reuben Bakker of the interior of the collapsed former hangar at the site of Bethel Lake Wylie Airfield.

An 11/23/19 photo by Reuben Bakker of 3 forlorn classic cars in need of some TLC at the site of Bethel Lake Wylie Airfield.
Thanks to Reuben Bakker for pointing out this airfield.
____________________________________________________
Our Own Airport / North Augusta Airport, North Augusta, SC
33.488, -81.931 (East of Augusta, GA)

Our Own Airport, as depicted on the December 1938 Savannah Sectional Chart.
Photo of the airport while open is not available.
Our Own Airport Airport was evidently established at some point between 1937-38,
as it was not yet depicted on the June 1937 Savannah Sectional Chart.
The earliest depiction which has been located of Our Airport Airport was on the December 1938 Savannah Sectional Chart.
It depicted Our Own as a commercial/municipal airport.
Our Airport Airport was still depicted on the June 1942 Savannah Sectional Chart, but as an auxiliary airfield.
Our Airport Airport was evidently renamed North Augusta Airport at some point between 1942-44,
as that is how it was labeled on the March 1944 Savannah Sectional Chart.
Pete Stabovitz recalled, “North Augusta Airport was located on Schultz Hill, on Highway US 1-78, about 1 mile from the river.
I took flying lessons there in 1945. It had one 1,600' grass & one 1,900' grass runway.
Augusta School of Aviation, operated by Buster Boshears was located there. They had one building, hangar & office.
There was a dip in the center of the runways which sometimes made it harder for takeoff from the back seat of a 65 HP J-3 Cub.
I liked the 65 HP Aeronca better. I left the area in 1947.”

The last depiction which has been located of North Augusta Airport was on the January 1950 Savannah Sectional Chart.
It depicted North Augusta Airport as having a 2,500' unpaved runway.
North Augusta Airport was evidently closed (for reasons unknown) at some point in 1950,
as it was no longer depicted on the July 1950 Savannah Sectional Chart.
North Augusta Airport was no longer depicted on the 1965 USGS topo map.
A 1971 aerial view depicted a former hangar on the south side of the site of North Augusta Airport,
with a grass airfield area, but without any distinct runways.

A 2015 aerial view showed no trace remaining of North Augusta Airport.
Thanks to Pete Stabovitz for pointing out this airfield.
____________________________________________________
Campobello Airport, Campobello, SC
35.074, -82.218 (Northwest of Columbia, SC)

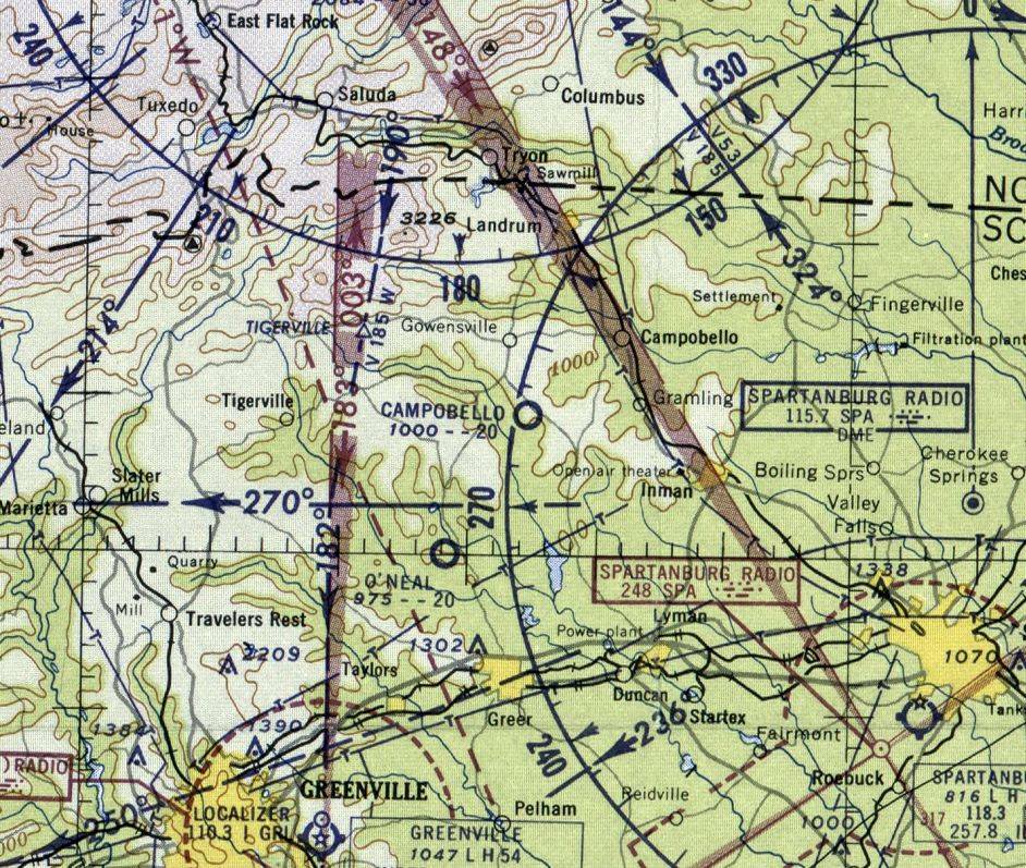
Campobello Airport, as depicted on the July 1960 Charlotte Sectional Chart.
Photo of the airport while open is not available.
The date of establishment of this small general aviation airport has not been determined.
Campobello Airport was not depicted on the January 1955 Charlotte Sectional Chart.
The earliest depiction which has been located of Campobello Airport was on a 1955 aerial photo,
which depicted it as having 2 unpaved runways.
According to Alex Nelon, “The airport was used, it is rumored, to bring illegal whiskey in & take it out during the early to mid-20th century.”
The July 1960 Charlotte Sectional Chart depicted Campobello Airport as having a 2,000' unpaved runway.

The 1961 USGS topo map depicted Campobello Airport as having 2 unpaved runways.

The last aeronautical chart depiction which has been located of Campobello Airport was on the October 1968 Charlotte Sectional Chart.
It depicted Campobello Airstrip as having a 1,900' unpaved runway.

The last map depiction which has been located of Campobello Airport was on the 1986 USGS topo map.
It depicted Campobello Airstrip as having a single northwest/southeast runway.

Campobello Airport was evidently closed (for reasons unknown) at some point between 1968-94,
as a 1994 aerial photo showed the site had returned to cultivation, although the runways were still recognizable.

The outline of both of Campobello's former runways were still recognizable in a 2015 aerial view.
The site of Campobello Airport is located west of the intersection of Jug Factory Road & State Road South 42-773.
Thanks to Alex Nelon for pointing out this airfield.
____________________________________________________
Twin City Airport / Palmetto Airport, Batesburg, SC
33.874, -81.51 (Southwest of Columbia, SC)

Twin City Airport, as depicted on the January 1950 Savannah Sectional Chart.
This small general aviation airport was evidently established at some point between 1945-50,
as it was not yet depicted on the March 1945 Savannah Sectional Chart (courtesy of Ron Plante).
The earliest depiction which has been located of the Twin City Airport was on the January 1950 Savannah Sectional Chart.
It depicted Twin City Airport as having a 2,200' unpaved runway.

The earliest photo which has been located of Twin City Airport was an undated aerial view looking north from a circa 1957 SC Airport Directory (courtesy of Don Fraser).
It depicted Twin City Airport as having 2 unpaved runways, and listed the owner as Church of God.

A 2/7/62 USGS aerial view depicted Twin City Airport as having 2 unpaved runways, with a hangar & the campground buildings along the west side.
No aircraft were visible on the field though.

The 1964 USGS topo map depicted Twin City Airport as 2 unpaved runways, labeled simply as “Landing Field”,
with a campground with a large number of buildings adjacent to the west side.

The last aeronautical chart depiction which has been located of Twin City Airport was on the March 1965 Savannah Sectional Chart.
It depicted Twin City Airport as having a 2,400' unpaved runway.
Jim Fender recalled, “When I was a kid I would ride my bicycle to this airport to peer over the fence at the airplanes.
My Mother beat my behind for riding across the 2-lane highway to get there. The name was Twin City Airport.”
Twin City Airport was evidently closed (for reasons unknown) at some point between 1965-68,
as it was no longer depicted on the September 1968 Savannah Sectional Chart.

The 1982 USGS topo depicted “Palmetto Airfield” as having an unpaved northwest/southeast runway,
but 3 long buildings had been constructed over the eastern end of the former crosswind runway.

The entire length of Palmetto's runway was still evident in a 1994 USGS aerial photo, but there was no sign of any recent aviation usage.

A circa 2010 aerial view looking west at the Palmetto / Twin City hangar.

An 11/24/11 aerial view showed that the northern end of Palmetto's north/south runway was still recognizable,
but the southern end had been overgrown with trees.

A 5/27/14 photo by Jim Fender looking east at the hangar marked “Twin City”.

A 2023 photo looking east at the hangar which still has the “Twin City” marking barely perceptible above the door.
The site of Twin City Airport is located east of the intersection of Angelwings Road & Fairview Road.
Thanks to Jim Fender for pointing out this airfield.
____________________________________________________
Greenwood Municipal Airport (1st location), Greenwood, SC
34.21, -82.17 (West of Columbia, SC)

A 1939 aerial photo of the first Greenwood Municipal Airport (taken from aerial photos at the County courthouse by Bo Bowman).
The first municipal airport for the town of Greenwood was located on the north side of town.
According to Bo Bowman, “The first Greenwood Municipal Airport was dedicated on the evening of 6/19/29.
Interestingly, on that particular day, this event took second billing to the Georgia & Florida (G & F) Railroad.
This day was also 'G & F Day', celebrating the arrival of this railroad as the 5th railroad through the City of Greenwood.
However, the rest of the week, attention was centered on the airport,
and stunt flying & parachuting exhibitions performed by the 'Charlotte Flying Circus'.
The airport was located on Power House property,
just off Hodges Road”, which later became known as Montague Avenue.
Bo continued, “During the week following the airport’s dedication,
the Charlotte Flying Circus continued to perform & to sell airplane rides.
Featured in the performances were airmail pilot George Shealy, pilot Clyde White, and parachutist Dick Hunter.
George Shealy flew his 'Cabin Monoplane', a Curtiss Robin,
which was a new & advanced model airplane at that time, and quite a treat for Greenwood residents to see.
Clyde White flew a Waco 10 biplane, and Dick Hunter excited the spectators with 1,000 foot 'delayed jumps'”.
There was no airport listed in Greenwood at all in The Airport Directory Company's 1933 Airport Directory (according to Chris Kennedy)
nor in the 1934 Department of Commerce Airport Directory (according to Chris Kennedy),
nor depicted on the May 1936 Charlotte Sectional Chart.
Perhaps this field was simply overlooked due to its minor size.
A replacement Greenwood Municipal Airport was constructed on the west side of the town during the 1935-36 time period,
after which presumably the original Greenwood Municipal Airport was closed.
The earliest depiction which has been located of the first Greenwood Municipal Airport
was a 1939 aerial photo (taken of photos in the County courthouse by Bo Bowman).
It depicted the field as having a single unpaved northeast/southwest runway.
There did not appear to be any buildings associated with the field.
The first location of the Greenwood Municipal Airport was not depicted on the October 1940 Charlotte Sectional Chart,
only the replacement Greenwood Municipal Airport on the west side of the town.
By the time of a 5/14/51 USGS aerial photo, no recognizable traces appeared to remain at the site of the first location of Greenwood Municipal Airport,
which had been covered with houses.

The location of the runway of the first Greenwood Municipal Airport, overlaid by Bo Bowman over a 2003 aerial photo on a GIS diagram.
The site of the original Greenwood Municipal Airport is located northeast of the intersection of Montague Avenue & Roseland Drive.
____________________________________________________
Greenwood Municipal Airport (2nd location) / Johnson Field / Chinquapin Airport,
Greenwood, SC
34.19, -82.21 (West of Columbia, SC)

A 1939 aerial photo of the 2nd location of the Greenwood Municipal Airport (taken from aerial photos at the County courthouse by Bo Bowman).
According to Bo Bowman, the original Greenwood Municipal Airport was replaced
“by a new airport on the west end of the city just off of Chinquapin Road.
This new Greenwood airport, first referred to as Chinquapin Airport & later as Johnson Field,
was constructed with funds provided by the Works Progress Administration in the 1935-36 time period
and had two grass or dirt runways, reportedly 2,300' & 2,000' long.
Earl 'Bunker' Smith owned a 40-horsepower Piper Cub in which he gave rides & flying lessons.
A group of 6 young men pooled their funds, bought Smith’s airplane,
took flying lessons, and built the first hangar.
They were responsible for the first operations at this airport.
Four of the men in this group were Ed Seymour (who would later become a member of the County Airport Commission),
Truman Witt, Myers Page, and Butler Culbertson.
Other airplane enthusiasts at that time were B. F. McKellar, Jack Whatley, James Telford, and Homer Tribble.
After Bunker Smith left the field, Luther Johnson came to be the next flight instructor & opened Johnson Air Services.
It was after this the field became known as Johnson Field.”
The earliest directory reference which has been located of the Greenwood Municipal Airport
was in The Airport Directory Company's 1937 Airport Directory (courtesy of Bob Rambo).
It described the field as being located 2 miles west of the town, and being 35 acres in size.
It was said to have 2 sod runways in a “Y” shape, measuring 2,300' east/west & 2,000' northwest/southeast.
A note remarked however, “This field under construction but usable.”
The Airport Directory Company's 1938 Airport Directory (according to Chris Kennedy)
described the field in the same manner.
The earliest depiction which has been located of the 2nd location of the Greenwood Municipal Airport
was a 1939 aerial photo (taken of photos in the County courthouse by Bo Bowman).
It depicted the field as having two unpaved runways,
oriented northeast/southwest & northwest/southeast.
A small building (or set of buildings) appeared to be located on the east side of the field.
According to Bo Bowman, “In 1940 a government-sponsored Civilian Air Training course was begun at this airport.
The first class had approximately 30 students including young men & young women.
Tracy Jackson taught ground instruction & Luther Johnson gave flying lessons.
These classes were continued into the early 1940s.”

The earliest chart depiction which has been located of the 2nd location of Greenwood Municipal Airport
was on the October 1940 Charlotte Sectional Chart.

The only photo which has been located showing aircraft at Johnson Field was a circa late 1944 picture of one of the Erskine pre-cadet screening classes (courtesy of Jonathan Westerling).
Bo Bowman observed, “Instructors are kneeling & some standing in the front row.
A fleet of about 15 airplanes, mostly J-3 Cubs, would be stored at night tails-up in Luther Johnson's hangar.
This hangar was eventually moved to the Greenwood County Airport & remains there in use today [2006].”
According to Bo Bowman, “In the 1944-45 time period, working with Luther Johnson,
the Army Air Service hired a staff of contracted instructors to provide preliminary screening instruction
to potential air cadets bused in from nearby Erskine College.
This was part of an Army program to reduce the 'washout' rate being experienced at the major Air Cadet flying schools.
According to Jack Northrup (one of the former instructors),
there was a staff of about 10-15 instructors, and each class had about 60 students.”
The 1945 AAF Airfield Directory (courtesy of Scott Murdock) described Greenwood Municipal Airport
as a 52 acre T-shaped property within which were 2 sod runways, measuring 2,350' northeast/southwest & 2,000' WNW/ESE.
The field was said to have a single 60' square steel hangar,
was owned by Greenwood County & the City of Greenwood, and operated by private interests.
According to Bo Bowman, “The Chinquapin Airport property was sold in 1948.
The funds from the sale of the property went towards a new terminal building
at the new Greenwood County Airport (formerly Coronaca Army Air Field).
Two hangars were moved to the new airport.”

The 1949 USGS topo map depicted the 2nd location of the Greenwood Municipal Airport
as having 2 paved runways, a taxiway, and several small buildings, labeled simply as “Airport”.

The last aeronautical chart depiction which has been located of the 2nd location of Greenwood Municipal Airport
was on the February 1950 Charlotte Sectional Chart.
It depicted the 2nd location of Greenwood Municipal Airport as having a 2,400' unpaved runway.
Note that it also depicted the new “Greenwood County” Airport (north of the town), which would eventually replace the older airport.

The last depiction which has been located of the 2nd location of the Greenwood Municipal Airport was a 1/26/51 USGS aerial view.
Housing construction had not yet begun – with the runways still remaining clear.
The hangars on the northeast side of the airport had been removed.
According to Bo Bowman, “A housing development was constructed along both runways.”
By the time of the August 1954 Charlotte Sectional Chart (according to Chris Kennedy),
the 2nd location of the Greenwood Municipal Airport was no longer depicted.
By the time of a 1972 USGS aerial photo, no recognizable traces appeared to remain at the site of the 2nd location of Greenwood Municipal Airport,
with houses covering the site.

The location of the runways of the 2nd location of the Greenwood Municipal Airport,
overlaid by Bo Bowman over a 2003 aerial photo on a GIS diagram.
According to Bo, “One runway is now Marietta Drive, and the other is Westgate Drive.”

A 2013 aerial view looking north at the 2nd location of the Greenwood Municipal Airport
shows that the orientation of the 2 runways is still recognizable in the streets which were built over the runways.
____________________________________________________
Hawthorne School of Aeronautics, Orangeburg, SC
33.42, -80.85 (South of Columbia, SC)

The Hawthorne School of Aeronautics airfield,
as depicted on the September 1942 14M Regional Aeronautical Chart (courtesy of Chris Kennedy).
The Hawthorne School of Aeronautics was a civilian flying school
which was chosen by the Army Air Corps in 1940 to provide primary flight training for its pilots.
This training commenced in 1941, using the Boeing PT-17 Stearman biplane.
The date of construction of Hawthorne's airfield is unknown.
No indication has been found that it existed prior to WW2 -
it evidently was built by the Hawthorne School of Aeronautics at the beginning of their contract.
The Hawthorne airfield was not yet depicted at all on the June 1942 Savannah Sectional Chart.
The earliest depiction which has been located of Hawthorne Field
was on the September 1942 14M Regional Aeronautical Chart (courtesy of Chris Kennedy).
It depicted Hawthorne as a military airfield.
The Hawthorne airfield was not depicted at all on the 1943 USGS topo map.

The earliest photo which has been located of the Hawthorne School of Aeronautics was a May-June 1943 photo of Class 43J in front of a row of PT-17 Stearman trainers.

The September 1943 Savannah Sectional Chart (courtesy of Chris Kennedy) depicted Hawthorne as a commercial or municipal airport.
The president of Hawthorne was Beverly "Bevo" Howard, who had learned to fly at the age of 16.
The military designation of the Hawthorne school was the 2162nd AAFBU.

A circa 1940s picture of the buildings of the Hawthorne School of Aeronautics (courtesy of George Miller).

A circa 1940s sketch of the Hawthorne School of Aeronautics at Orangeburg (courtesy of John Lees).
John reported, “My father [Charles Lees] learned to fly at the Hawthorne School of Aeronautics in WW2. His first solo flight occurred there.”
The sketch depicted the facility as consisting of a group of housing buildings surrounding an oval-shaped grass area at the northern end of the property.
A pair of hangars sat just to the south, and just to the south of the hangars was a large paved ramp area, on which were a large number of aircraft.
A large open grass area to the south of the ramp evidently constituted the flying field (apparently there were no paved runways).


A circa 1943-45 aerial view looking north from the 1945 AAF Airfield Directory (courtesy of Scott Murdock)
depicted at Hawthorne Field as consisting of an open grass area with a complex of buildings on the north side.
The directory described Hawthorne a 531 acre rectangular property within which was a sod all-way field, measuring 5,230' northeast/southwest.
The field was said to have 2 steel hangars, measuring 180' x 140' & 140' x 120'.
Hawthorne Field was described as being owned by the City of Orangeburg, to be operated by private interests,
and to have 3 auxiliary fields: Auxiliary Field #1 (Jennings Airport) 3 miles north, Auxiliary Field #2 (Hagood Field) 9 miles east,
and Auxiliary Field #3 (Kennedy Field) 10 miles west.

A 1943 photo of Thomas Harnish (2nd from right) & 4 other fliers in front of a Stearman at the Hawthorne School of Aeronautics.
During the Second World War, Hawthorne trained 5,924 military pilots at Orangeburg,
including more than 2,000 French Air Force students.
For his leadership, Bevo Howard was presented the French Air Force Wings,
the coveted French Medaille de L'Aeronautique,
and later the Ordre National de la Legion D'Honneur for his pilot training & accomplishments as an aerobatic flyer.

A 1944 aerial view looking southeast at the Hawthorne School of Aeronautics, showing a ramp with dozens of trainers.

A 1944 photo of an unidentified pilot in a PT-17 Stearman at the Hawthorne School of Aeronautics.
The Hawthorne School of Aeronautics ceased operations at Orangeburg at the end of WW2,
but went on to continue operations at Jacksonville FL & Moultrie GA.
Pete Stabovitz recalled, “Hawthorne Field... When I took my solo cross country flight in 1945 or 1946, I was to go to Jennings,
but came in low, almost to land, on a grass field, with many empty buildings, nobody, planes or cars visible; it looked like it was abandoned.”

The last aeronautical chart depiction which has been located of Hawthorne Field was on the April 1947 Savannah Sectional Chart,
which depicted it as a commercial/municipal airport.
Hawthorne Field was evidently closed at some point in 1947, as it was no longer depicted on the October 1947 Savannah Sectional Chart.

A 9/1/64 USGS aerial photo showed the distinctive layout of the Hawthorne flying school buildings at the north end.
Some kind of large industrial building had been constructed over the middle portion of the airfield.

A plaque honoring the Hawthorne School of Aeronautics.
The 2 hangars from the Hawthorne flying school were relocated at some point to the Orangeburg Municipal Airport (3 miles north),
at which there is also an excellent historical display of the activities of the Hawthorne school.

In the 1994 USGS aerial photo, the area of the former Hawthorne flying field was occupied by what appears to be some kind of large industrial building,
along with wastewater ponds & a railroad spur leading on the to the property
from the line of the Southern Railroad which runs along the east side of the site.

A 2002 photo by George Miller of the remains of the Hawthorne asphalt aircraft ramp.

A 2002 photo by George Miller of a historical marker erected in 1991
by the WW2 Hawthorne Pilot Training Association & French pilot association.
According to George Miller, the site of the housing area at the northern end of the former Hawthorne Field was reused as a Methodist Home.
The only recognizable remains of an airfield were some minor hardstands.

A 2014 aerial view showed no recognizable trace of the Hawthorne School of Aeronautics.
The site of the Hawthorne School of Aeronautics is located at the western terminus of State Route S38 57, west of Route 21, 5 miles south of Orangeburg.
Thanks to George Miller for pointing out this airfield.
See also: (in French) http://perso.wanadoo.fr/patrice.laverdet/html/cfpna_hawthorne.htm
____________________________________________________
Or if you prefer to contact me directly concerning a contribution (for a mailing address to send a check),
please contact me at: paulandterryfreeman@gmail.com
If you enjoy this web site, please support it with a financial contribution.
____________________________________________________
This site covers airfields in all 50 states.