Abandoned & Little-Known Airfields:
Central Massachusetts
© 2002, © 2025 by Paul Freeman. Revised 3/18/25.
This site covers airfields in all 50 states: Click here for the site's main menu.
____________________________________________________
Please consider a financial contribution to support the continued growth & operation of this site.
Clinton Airport / Balboni Airport / Bolton Airport (revised 6/26/20) - Dudley Intermediate Field (added 10/15/23) - Fort Devens AAF / Ayer NAAS / Moore AAF (revised 10/20/23)
Franklin-Norfolk Airport / Norfolk Airport / Heenan-Menfi Memorial Airport (revised 3/18/25) - Hiller Airport / Barre Airport / Barre-Hiller Airport / Tanner-Hiller Airport (added 3/18/25)
Leicester Airport (revised 5/20/22) - Marlboro Airport (revised 3/24/21) - Mendon Airport (revised 3/17/21) - Oxford Airport (revised 12/12/20) - Pine Hill Airport (revised 8/23/05) - Shirley Airport (revised 7/18/21)
Turnpike Airport / Westboro Airport (revised 10/25/24) - Whittal Field / Grafton Airport (revised 3/17/21) - Windle Airport (added 10/19/24)
____________________________________________________
Hiller Airport / Barre Airport / Barre-Hiller Airport / Tanner-Hiller Airport (8B5), Barre, MA
42.356, -72.13 (West of Boston, MA)

Hiller Airport, as depicted on the January 1947 Albany Sectional Chart.
Hiller Airport was not yet depicted on the 1946 Albany Sectional Chart.
According to Wikipedia, Hiller Airport began operations in 1946, originally opened by Fred & Catherine Hiller.
The earliest depiction which has been located of Hiller Airport was on the January 1947 Albany Sectional Chart.
It depicted Hiller as a commercial/municipal airport.

The earliest topo map depiction which has been located of this airport was on the 1957 USGS topo map.
It depicted “Barre Aiport” as having a single unpaved northeast/southwest runway, with several small buildings on the east side.
The earliest photo which has been located of Hiller Airport was a 1966 aerial view.
It depicted a single unpaved northeast/southwest runway, with 2 light single-engine aircraft on the east side.
Anthony Fusaro recalled, “When I was a kid I was fascinated with airplanes. My father brought me to Tanner Hiller Airport for my first-ever airplane ride, which was in a V-tail Bonanza.
I remember flying over Western Massachusetts & seeing Quabbin Reservoir. The pilot let me, a 7 year old kid, 'take the controls' to feel what it was like.
Looking back, I know I wasn’t really in control, but at the time, it was the greatest thing ever.
That solidified my love of aviation and to this day, I work in the industry.”
A 1968 aerial view showed Hiller Airport with a newly-paved asphalt runway, and a total of 8 light single-engine aircraft visible.
'
According to Wikipedia, After Fred Hiller died, Catherine continued to develop a flight school business at the airport, both as an instructor & as an FAA examiner.
A series of different owners passed through between 1973-80, until Leonard Tanner bought it.
One of the more interesting aircraft that has called the airport home was the prototype of the Lockheed YO-3A quiet observation aircraft, a type later used during the Vietnam War.
It was restored in a hangar at the airport before moving on.
In its heyday Tanner-Hiller Airport was home to many activities & businesses. Camping, swimming, a fine restaurant, and aircraft maintenance were once part of daily operations.
A 1986 aerial view depicted Tanner-Hiller Airport perhaps at its zenith of popularity, with a total of 18 light aircraft visible.
According to Wikipedia, Leonard Tanner died in 1998 & his estate continued to operate the airport.
The airport had been deteriorating in recent years, something that was particularly apparent in the poor condition of the runway.
There were no services at the airport as of November 2015.
In May 2017, after many years of being offered for sale, the airport was purchased from the Leonard A. Tanner Estate for a reported US$1.1 million by G&C Group of Acton, MA, a subsidiary of a large flight school in China.
The estate had had several offers prior to that, but the manager of the estate preferred to hold out for what he hoped would be better offers.
The final decision to sell was accelerated by the departure of the airport's long-time manager, Burchard Aviation, who also operated an aircraft maintenance shop in one of the dilapidated hangars.
The new owners plan to open a helicopter school after some years.
According to Wikipedia, In the airport's later years, Hang Glide New England was a hang-gliding tandem & instruction business that operated between May-October.
The Silver Wings Ultralight Club was also active & occupied the west hangar.
The airport averaged 30 flights/week, and had approximately 25 based aircraft & hang-gliders.

The 1984 USGS topo map depicted “Barre-Hiller Airport” as having a single paved northeast/southwest runway.

The earliest photo which is available of Tanner-Hiller Airport was a 1997 aerial view looking west, which showed 9 light single-engine aircraft parked on the field.

A 2010 aerial view showed a glider parked at Tanner-Hiller Airport, which otherwise appeared to be very unhealthy.

A 2018 photo showed wreckage of a Cessna 402 that crashed on the Tanner-Hiller Airport runway.

The last aeronautical chart depiction which has been located of Tanner-Hiller Airport was on the November 2020 NY Sectional Chart.
It depicted Tanner-Hiller as having a 3,000' paved northeast/southwest runway, and to conduct glider operations.

A 2023 or earlier photo of a gathering at Tanner-Hiller Airport.

A 2024 aerial view looking west showed Tanner-Hiller Airport on its last legs, with only 2 aircraft remaining visible on the field.
Tanner-Hiller Airport's long long run came to an end in 2024, when a 9/18/24 NOTAM announced its permanent closure.
Anthony Fusaro recalled, “It’s really sad that Tanner Hiller closed. A lot of memories there.”
Thanks to Fred Henderson for pointing out this airport.
____________________________________________________
Windle Airport, West Millbury, MA
42.172, -71.817 (Southwest of Boston, MA)

Windle Airport, as depicted on the July 1948 Boston Sectional Chart.
This small general aviation airport was evidently established at some point between 1947-48,
as it was not yet depicted on a 1939 aerial photo, the 1939 USGS topo map, or the 1947 Boston Sectional Chart.
The earliest depiction which has been located of Windle Airport was on the July 1948 Boston Sectional Chart.
It depicted Windle as having a 2,600' unpaved runway.

The earliest topo map depiction which has been located of Windle Airport was on the 1949 USGS topo map.
It depicted Windle as an open area without any specific runways, with 4 small buildings on the north side.

The earliest photo which has been located of Windle Airport was a circa 1950s aerial view looking northeast (courtesy of Fred Holland),
which showed a Grumman amphibian parked near a house, a barn with “Windle” painted on its rood, and what appears to be a hangar being expanded in the background.
A 1960 aerial photo depicted Windle Airport as having a single northwest/southeast unpaved runway,
but there were no aircraft visible on the field.

A 12/7/67 USGS aerial view depicted Windle perhaps at the zenith of its popularity, with 8 light aircraft seen parked on the northeast side, near several small buidlings.
The field had 2 unpaved runways.
A 1971 aerial photo depicted Windle Airport as having a single northwest/southeast unpaved runway, with no sign of the crosswind runway seen in the 1967 picture.
There were no aircraft visible on the field, and the possible hangar on northeast side had been removed at some point between 1967-71.
Fred Holland recalled, “Windle Airport was still being used in 1972 - Boy Scouts held Scout-O-Rama’s at the field.
I remembered going to the Boy Scout event as a child.
It was owned or related to the same family that owned the Windle Mills in the town.”

The last topo map depiction which has been located of Windle Airport was on the 1978 USGS topo map.
It depicted Windle as having a single unpaved northwest/southeast runway & 4 small buildings on the northeast side.

The last aeronautical chart depiction which has been located of Windle Airport was on the December 1979 NY Sectional Chart (courtesy of Ron Plante).
It depicted Windle as a private airfield having a 2,000' unpaved runway.
Windle Airport appeared to have ceased operation by 1980, as a 1980 aerial view no longer showed the runway as remaining distinct.
Windle Airport was evidently closed (for reasons unknown) at some point between 1979-81,
as it as no longer depicted on the June 1981 NY Sectional Chart (courtesy of Ron Plante).
Windle Airport was no longer depicted on the 1984 USGS topo map.

A 2022 aerial view showed the Windle Airport site remained clear, but with no traces of the runways or other aviation infrastructure.
Thanks to Fred Holland for pointing out the closure of this airport.
____________________________________________________
Dudley Intermediate Field, Dudley, MA
42.047, -71.919 (West of Boston, MA)

Dudley Intermediate Field, as depicted on the 1924 NY-Boston Strip Chart (courtesy of Jonathan Westerling).
Jonathan Westerling reported, “It's hard to believe, but an emergency airfield, created almost 100 years ago along the newly created Boston - New York Air Mail route, sits largely unchanged to this day in Dudley, MA.
The Dudley Airport was created as part the New York - Boston Air Mail Route (which later became the New York - Boston Airway).
Along this route, pre-defined landing locations were created so pilots would have a safe place to land should they encounter weather or mechanical difficulties.
The Dudley Airport was located 1/2 mile northeast of town at the top of what was known as 'Bates Hill' named after the owners of the parcel.
The top of the hill had been cleared, and its 21 acres (according to Airway Bulletin #126) provided plenty of space for the US Postal Service's DH-4 biplanes to land.
There was a pre-existing water tank perched on one corner of the airport, which is still there [as of 2023].
The larger city 2 miles to the east of the airport was Webster, MA, and so the airfield was often colloquially referred to as the Webster Airport.”
The earliest depiction which has been located of Dudley Intermediate Field was on the 1924 NY-Boston Strip Chart (courtesy of Jonathan Westerling).
Jonathan Westerling continued, “In 1926 the New York - Boston Air Mail Route was contracted from the Post Office to an outside company.
Colonial Air Transport received Contract Airmail Route (CAM) #1, between Boston & New York, NY.
Colonial Air Transport began operation on 7/1/26, carrying mail & passengers in single-engine Fokker Universal aircraft (according to the Smithsonian's Postal Museum).”

The 7/6/27 Commerce Department Airway Bulletin (courtesy of Jonathan Westerling) depicted Dudley Intermediate Field as having a 1,625' northeast/southwest landing distance, with a beacon tower & a 30' water tank on the southeast side.

The 1929 Air Trails Directory (courtesy of Jonathan Westerling) described Dudley Intermediate Field as having a 1,625' runway.
According to the article “Plane Wrecked In Webster” in the 5/1/29 New Britain Herald (courtesy of Jonathan Westerling), “On the night of 4/30/29, a U.S. Mail plane belonging to Colonial Air Transport, Inc.
was attempting to take off from the Webster – Dudley Air Field when the aircraft failed to gain sufficient speed on the muddy field & crashed into a stone wall.
The plane was bound for Hartford, CT when the crash occurred. The pilot & his passenger (the night supervisor of the NY–Newark line) were not injured.
It should be noted, however that 3 brave pilots lost their lives flying the mail along the New York to Boston route.”
According to the 1930 Airway Bulletin #126, between 1927-30 a parcel on the east side of the airfield was added to the field allowing for 2 landing directions laid out in an X-formation, measuring 1,725' & 1,625'.
Dudley Intermediate Field was not depicted on the 1931 USGS topo map.

The 4/30/30 Commerce Department Airway Bulletin (courtesy of Jonathan Westerling) depicted Dudley Intermediate Field as having a 1,725' northeast/southwest landing distance, with a beacon tower & water tank on the southeast side.
The 1932 Airway Guide (courtesy of Jonathan Westerling) showed the Dudley Airport along the NY-Boston Airway at the location of Airway Beacon #17.

The 1933 Boston Sectional Chart (courtesy of Jonathan Westerling) showed that although Airway Beacon #17 was located in the same place a year later, there was no longer an airfield at that location.
The 1934 Sectional Chart showed that the Boston-NY Airway route was re-oriented to run further south of Dudley, and Beacon #17 was decommissioned.
Dudley Intermediate Field was not depicted on the 1938 USGS topo map.

A 1991 aerial photo (courtesy of Jonathan Westerling) showed the area of Dudley Intermediate Field remained clear, with the characteristic Bates Hill remaining on the southeast corner of the former airfield.

A 2012 photo by Jonathan Westerling, which he noted “The clearing is still exists almost identical to as it existed in the 1930s with the town water tank now enclosed in an earthen berm on the southeast side of the field.”

A 2012 photo by Jonathan Westerling, which he noted “A small farm, Pleasant Hill Farm on the southern perimeter of the airport has put up a windsock, though there's no other indication that the field has been used for takeoffs or landings recently.”
Thanks to Jonathan Westerling for pointing out the closure of this airport.
____________________________________________________
Marlboro Airport (9B1), Marlborough, MA
42.343, -71.509 (West of Boston, MA)

Marlboro Airport, as depicted on the March 1933 Boston Sectional Chart.
According to the Marlboro Airport website, “Marlboro Airport was founded in 1922, the era when barnstormers flew by the seat of their pants.”
According to the Marlboro Airport website, Jack McManus served as Marlboro Airport manager from 1934–37,
and Charles Spaulding starting in 1937.

The earliest photo which has been located of Marlboro Airport was a 12/15/38 USGS aerial view.
It depicted the field as having 2 perpendicular grass runways, with an airport circle marking at the center, with some small hangars on the west side.
According to the Marlboro Airport website, Charles Spaulding served as Marlboro Airport manager until 1939, at which point Norman Sims took over.
Strangely, Marlboro Airport's FAA Airport/Facility Directory data listed an Activation Date of April 1940.

The 1943 USGS topo map depicted Marlboro Airport as an open area with a few small buildings on the west side.
According to the Marlboro Airport website, Norman Sims served as Marlboro Airport manager until 1946, and Don LaCouture starting in 1946.

A late 1940s photo of Donald Lacouture Sr. & his wife after he became
of Don's Flying Service at Marlboro Airport (courtesy of Ralph Bennett).

The 1949 Boston Local Aeronautical Chart (courtesy of Tim Zukas) depicted Marlboro Airport as having a 1,700' runway.
The 1953 USGS topo map still depicted Marlboro Airport as an open area with a few small buildings on the west side.

A mid- to late-1950s aerial view looking southeast at Marlboro Airport during final approach to Runway 14 (courtesy of Ralph Bennett),
showing 2 grass runways, a few small hangars, and 2 light single-engine planes on the west side.
Dick Bicknell recalled, “My most favorite base was 9B1 Marlboro (R.I.P.).”

A late 1950s – early 1960s aerial view looking west at Marlboro Airport during an antique airplane fly-in (courtesy of Ralph Bennett).

A late 1950s – early 1960s aerial view looking east at Marlboro Airport during an antique airplane fly-in (courtesy of Ralph Bennett).

The 1969 USGS topo map showed Marlboro Airport had gained a paved northwest/southeast runway at some point between 1953-69.
David Fogarty recalled, “My Uncle Steve Fogarty was one of my original flight instructors out of Marlboro; Don's Flying Service flying C-150s.”

An 11/17/80 USGS aerial view depicted Marlboro Airport at perhaps the zenith of its popularity, with at least 48 light aircraft visible parked around the airport.
Eric Meltzer recalled, “I did my first 10 hours [of flight instruction] at Marlboro Airport as well as ground school in late 1991/92
when Don Sr. was running the Fixed Base Operation & later checked out in their Cess172 with Don Jr.”

A 1995 USGS aerial view looking northeast at Marlboro Airport depicted 2-dozen light single-engine aircraft parked around the airport.
According to the Marlboro Airport website, Don LaCouture served as Marlboro Airport manager until 1998,
and then Robert Stetson starting in 1999.
David Gray recalled, “During my Private Pilot training, my CFI Thomas Neal had me takeoff & land at Marlboro once.
I never dared attempt it solo though… The landing 'picture' was as if you were attempting to land in someones backyard, not at an airport.”
Eric Meltzer recalled, “I knew Bob Stetson briefly before & after he bought the airport around 2000.”

According to Jonathan Westerling, “The airport got some attention back in 2010 when Obama's helicopters & entourage landed there.”
News articles confirm that the airport's owner filed a lawsuit against the federal government for damages sustained by heavy vehicles,
and the federal government made an undisclosed financial settlement.
The airport's owner, Robert Stetson, said no one cleared the use of the ground vehicles on the airport or checked on the facility’s limitations.
According to the Marlboro Airport website, Robert Stetson served as Marlboro Airport manager until 2012,
Bruce Prentiss from 2012-2014, and Sandy Stetson starting in 2014.
As of 4/27/16, Marlboro Airport's FAA Airport/Facility Directory data described it as conducting an average of 48 takeoffs or landings per day.
As of 2017, Marlboro Airport's FAA Airport/Facility Directory data described it as having a single 1,659' asphalt Runway 14/32, “in fair condition”.
The owner & manager was listed as Sandy Stetson,
and the field was said to have a total of 25 based aircraft: 24 single-engine aircraft & 1 helicopter.

A 2017 aerial view looking northeast at Marlboro Airport showed the number of aircraft visible on the field had decreased to 9.
According to the Marlboro Airport website, as of 2017, “It is the oldest continuously operating commercial [air]field in the state of MA.
Currently it hosts one Fixed Base Operator, Don's Flying Service, named for former airport manager Don LaCouture Sr.
Don's Flying Service offers flight instruction, tie-downs & hangar space, and major & minor aircraft repairs.
Chapter 673 of the Experimental Aircraft Association is based at Marlboro Airport.
Also known as The Marlboro Antiquers (since many of the founding members owned antique airplanes), the chapter has about 40 members.”

The 2017 Boston Terminal Chart depicted Marlboro Airport as having a 1,600' paved northwest/southeast runway.
Graeme Smith reported in 2017, “The owner died last year. The wife & kids were not interested [in running an airport]. More money in developing the land.
There is outline approval for redevelopment [which] passed the local planning board. All the planes are moving out.
My Airframe & Powerplant mechanic was based there & has moved. The flight school moved to Southbridge.
The local EAA chapter is having a 'Last Cookout' there on Labor Day.”

An 8/27/17 aerial view by Graeme Smith on final approach for Marlboro Airport's Runway 32.
The Last Cookout announcement (courtesy of Graeme Smith) read: “With the pending sale of Marlboro Airport & the closing of the airport at the end of September,
Labor Day presents the last opportunity that EAA Chapter 673 will be able to host an impromptu cookout & gathering of all the friends of Marlboro Airport.
Monday 9/4/17 EAA Chapter 673 encourages all Chapter members & families, former members & families,
and friends & families of the airport to attend & enjoy the camaraderie, renew old friendships & tell tales of the aviators.”

A 4/1/18 photo by John Mockus of the Don's Flying Service Inc. hangar at Marlboro Airport.
John reported in 2018, “Marlboro Airport... it was probably officially closed, but the owner Mrs. Stetson told me there are still 10 planes in the hangars awaiting removal by the owners.
Her husband died last year, and this was his baby - he told her after he dies, take the money & run.”

A 4/1/18 photo by John Mockus of the Marlboro Airport sign.

A 4/1/18 photo by John Mockus of a propeller adorning a Marlboro Airport hangar.

A 4/1/18 photo by John Mockus looking northwest along Marlboro Airport's Runway 32.

A 4/1/18 photo by John Mockus of a 1959 Cessna 182B in front of the Dorr Aviation hangar at Marlboro Airport.

A 4/1/18 photo by John Mockus of a partially-disassembled 1964 Cessna 150E inside an open-air shelter at Marlboro Airport.
The end for Marlboro Airport unfortunately finally came on 12/20/18, when NOTAM 12/074 (courtesy of Graeme Smith) announced the airport to be permanently closed.

A 3/9/19 aerial view by Graeme Smith looking north at a snow-covered Marlboro Airport, still intact but sadly devoid of any planes.

A sad sight for any aviator: a 3/16/19 photo by Eric Meltzer of the “Airport Closed” sign at Marlboro Airport.
Eric reported, “Such a shame to watch another great, small field go down but it was probably inevitable considering real estate prices & encroachment anywhere in the greater Boston area, as well as other factors affecting GA.”

A 3/16/19 photo by Eric Meltzer of a Marlboro Airport hangar.

A 3/16/19 photo by Eric Meltzer of the Marlboro Airport runway, ramp, and fuel pump.

An 11/9/19 aerial view by Graeme Smith looking southwest at Marlboro Airport, showing that many buildings/hangars had been razed,
but the main arch-roof hangar & airport office still remained (at top-right).

A circa 2019 aerial view looking southeast along Marlboro Airport's Runway 14.

A sad 6/23/20 aerial view by Doug Stone (courtesy of Richard Bicknell) looking west at the site of Marlboro Airport, showing a road having been constructed over the former runway.
Marlboro Airport is located northeast of the intersection of Farm Road & Broadmeadow Street.
Thanks to Graeme Smith for pointing out the closure of this airport.
____________________________________________________
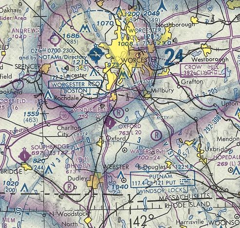
Oxford Airport (43M), Oxford, MA
42.152, -71.837 (West of Boston, MA)

Oxford Airport, as depicted on a 1968 Airport Directory (courtesy of Jim Daigneau).
Oxford Airport opened in 1966, according to the Town of Oxford (courtesy of Jim Daigneau).
Jim Daigneau recalled, “I grew up & fixed my commitment to flying at Oxford Airport. I was 12 when the airport opened in 1966 & it was a thrill.
My friends & I would ride our bikes up Federal Hill Road to the airport.
It was a little surprise for the uninitiated as the Runway 02 asphalt, literally, joined the road.
Only the threshold lights & a couple of telephone poles separated the two.
There was a 'Caution-Low Flying Aircraft' sign, but that provided little comfort to those surprised by an airplane swooping in front of their windshield.
With only 2,000' available & trees at both ends, one didn’t want to waste any landing surface.”
Jim continued, “The hangar on the southeast corner of the field was built by Phil Hopkins, an architect.
His son, Billy, was one of my best friends through junior high. We once helped Mr. Hopkins wash his beautiful Skylane.
As thanks, he took us for a quick ride around the pattern & I was lucky enough to ride shotgun.
If there was ever any doubt in my mind before that ride (there wasn’t), there certainly wasn’t after we landed. I was 100% committed to a flying career.”
Jim continued, “The other building on the east side of the field was the Fixed Base Operator shack & maintenance hangar.
Both were small with just the basic facilities. The fuel pumps were on the north side of the hangar.
The hangar on the west side of the runway was built by Richard Olney. He ran a busy aircraft painting business for many years.
I watched him work several times. He was very methodical & meticulous.
I don’t know what he charged for an Imron paint job, but I do know he did not lack for customers.
Most of the jobs were single-engine, but I remember seeing a Navajo there from one of the New England commuter airlines at the time.”
Oxford Airport was not yet depicted on the February 1968 Boston Sectional Chart.
The earliest depiction of Oxford Airport which has been located was in a 1968 Airport Directory (courtesy of Jim Daigneau),
which depicted Oxford as having a single 2,200' paved Runway 2/20, with 2 small buildings on the southeast side.
Jim Daigneau recalled, “Stan Krupinski was my first flight instructor when I began flying in 1970.”

The earliest aeronautical chart depiction which has been located of Oxford Airport was on the March 1970 Boston Sectional Chart,
which depicted Oxford as having a single 2,100' paved north/south runway.

The 1973 USGS topo map depicted Oxford Airport as having a single paved north/south runway, with 2 small buildings on the southeast side.
David Gray recalled, “Oxford Airport... I have flown into it on many occasions back in the mid/late-1980s.
It was well-known in 'the day' for it's aircraft paint & interior shop / Fixed Base Operator on the field.
It was known for it's good, quality work at reasonable prices.
The paint shop was shut down, or was forced out of business with new EPA regulations governing the capture & control of spray paint,
i.e. a giant spray booth with HEPA approved filters!
Oxford Airport was definitely not one of 'New England's Picturesque Airfields'.
It was somewhat ramshackle & cluttered with lots of non-aviation junk, such as cars, trucks, boats,bulldozers etc.
The runway was narrow, which gave the illusion of being a lot shorter than it really was.
It was plenty long enough to accommodate the Cessna 150 & 172 heavies I flew in & out of it with.
I think it may have been a little longer than 2,200' [as listed in the 1968 directory].
There were always seemed to be light, and even cabin-class twins being painted at the FBO,
and most of those like runways in the 3,000'+ range, but I imagine with just a pilot & minimal fuel load
the 2,200' would not, and did not present an insurmountable obstacle to a qualified pilot.”
Jim Daigneau recalled, “I remember at one point sometime in the 1970s there was talk of building a crosswind runway
across the north end of Runway 02/20 but nothing was ever done to my knowledge.
I flew out of Oxford several times through the 1970s & early 1980s.
Stan Krupinski came to manage Oxford after spending 20 years at Southbridge.
He had a beautiful J3 which I flew quite a bit, as well as the typical Cessna 150s & 172s on the line.
He also kept a pristine PT-17, which he had restored after WW2.
He came by the airplane honestly as he was a civilian contract instructor for the Army during the war.
I logged my last landing at Oxford in 1986 in a Beech Sierra & remarked, 'Runway not so good'.”"

The earliest photo which has been located of Oxford Airport was a 1987 photo of Philip Hartmann's father's Cessna 172, with hangars in the background.

A winter 1991 photo of a Piper TriPacer & other single-engine aircraft at Oxford Airport (courtesy of Philip Hartmann).

A winter 1991 photo of a Cessna 172 & other single-engine aircraft at Oxford Airport (courtesy of Philip Hartmann).

The earliest aerial photo which has been located of Oxford Airport was a 1996 aerial view looking northwest.
It depicted Oxford Airport as having a paved Runway 2/20, with a total of 14 light single-engine aircraft parked on the west & southeast sides near some small buildings.

The last aeronautical chart depiction which has been located of Oxford Airport was on the May 2005 Boston Sectional Chart,
which depicted Oxford as having a single 2,000' paved north/south runway.

The last photo which has been located showing Oxford Airport still in operation was a 2005 aerial view looking northwest.
It depicted Oxford Airport as having a paved Runway 2/20, with a total of 11 light single-engine aircraft parked on the west & southeast sides near some small buildings.
Scott Dunn reported, “Oxford (43M) was listed in the 7/7/05 Airport/Facility Directory, but no longer appeared on the November 2005 NY Sectional Chart.”

A 9/17/06 aerial view by Scott Dunn looking east at the closed Oxford Airport,
with a closed-runway “X” symbol visible on the runway.
Jim Daigneau reported in 2015, the site of Oxford Airport “is currently a storage site for Eagle (trailer) Leasing Company.”

A 2016 aerial view looking northwest at the Oxford Airport site shows the runway pavement appears to have been removed, but the runway alignment is still recognizable.
Two of the hangars remain, but one was evidently removed at some point between 2005-2016.
The site of Oxford Airport is located northeast of the intersection of Depot Road & Federal Hill Road.
____________________________________________________
Leicester Airport, Leicester, MA
42.275, -71.912 (West-Southwest of Boston, MA)

Leicester Airport, as depicted on the September 1944 Boston Sectional Chart (courtesy of Chris Kennedy).
Leicester Airport was apparently built at some point in 1944,
as it was not yet depicted on the May 1944 Boston Sectional Chart.
The earliest depiction of Leicester Airport which has been located
was on the September 1944 Boston Sectional Chart (courtesy of Chris Kennedy),
which depicted Leicester as a commercial/municipal airport.

The 1945 AAF Airfield Directory (courtesy of Scott Murdock) described the Leicester Airport
as a 54 acre irregularly-shaped field within which were 2 asphalt runways, measuring 1,500' NNW/SSE & 1,320' northwest/southeast.
The field was said to have a single 50' x 40' cinderblock hangar, and to be privately owned & operated.

The earliest photo which has been located showing Leicester Airport was a 1946-47 photo (courtesy of Sandy Skinner)
of Sandy Skinner's father, Paul Hodgdon (on right). & another person in front of a Piper Cub & the Leicester Airport Snack Bar, with the windsock pole on top of the hangar.
Charles Danforth recalled, “My first ride in a plane was a 10 or 12 minute flight from Leicester Airport, between 1946-49.
At some point my high school (Leicester) class or the school was invited for flights. Mine was an individual flight.”

Leicester Airport was depicted on the 1950 USGS topo map, but it was unlabeled.
The 2 runways were depicted, as well as the single hangar/office at the northwest corner of the field.
Paul Stakun recalled, "I was born & raised in Leicester and remember the airport very well.
When I was a kid in the 1950s, there were lots of former WWII pilots who flew out of there
and there was a lot of flight instruction going on.
I remember many of the old aircraft that flew out of Leicester including Howard DGAs,
Timm N2T, Stinson Reliants, Voyagers, as well as the multitude of J3s, Aeronca Champs, Cessna 140s.
My interest & subsequent career in aerospace was born there."
Edwin More recalled, “An old high school buddy of mine worked at the Leicester Airport when he was in high school.
The operator there used to loan him a J-3 Cub during the week of the school year
so that he could commute from Brainard Field in Hartford, CT.”

A November 1955 aerial view looking northwest (from the MA Aeronautics Commission) depicted Leicester Airport as having 2 runways in an X-shape, with some buildings on the north side.
The 1959 Boston Local Aeronautical Chart (courtesy of Chris Kennedy)
depicted Leicester as a public-use airport with a 2,200' hard-surface runway.
The status of Leicester Airport apparently changed from a public-use field to a private field at some point between 1959-62,
as it was labeled "Leicester (Pvt)" on the 1962 Albany Sectional Chart (courtesy of Mike Keefe) & subsequent charts.
Leicester Airport was described in the 1962 AOPA Airport Directory as having 2 bituminous runways: 2,200' Runway 13/31 & 1,550' Runway 18/36.
The operator was listed as Earl Howland.

The last photo which has been located showing Leicester Airport in operation was a 4/29/63 USGS aerial view.
It depicted Leicester Airport as having 2 paved runways, with a paved ramp & several buildings on the northwest side, but there were no aircraft visible on the field.
By 1965, Leicester Airport had apparently started to deteriorate,
as the remarks in the Aerodromes table on the 1965 Boston Sectional Chart (courtesy of John Voss) said "Private. Pavement Broken & Cracked."
The field was described as having 2 runways, with the primary being an 1,800' asphalt runway.

The last aeronautical chart depiction which has been located of Leicester Airport was on the March 1969 Boston Sectional Chart.
It depicted Leicster as a private airfield having 2 paved runways, the longest being 1,800'.
Leicester Airport was apparently closed (for reasons unknown) at some point in 1969,
as it was no longer depicted on the September 1969 Boston Sectional Chart or the 1970 USGS topo map.
A 1971 aerial view depicted Leicester Airport as having 2 paved runways, with a paved ramp & several buildings on the northwest side.
Leicester Airport was not listed among active airfields in the 1976 AOPA Airport Directory (according to Chris Kennedy).
Leicester Airport was depicted on the 1991 USGS topo map, labeled "Airfield (Abandoned)".
According to sailplane pilot Fred Looft, "It has been abandoned for as long as I can remember (which is not that long, 1980s for sure),
and I'm told that it was abandoned about the time Worcester was created.
It used to have a great dance club I'm told after it closed, and was used for model flying, etc."

A 1995 USGS aerial view looking east showed that the cleared area still existed of both of the former Leicester Airport runways, as well as some of the former runway pavement.
A paved ramp still existed at the north end of the former Runway 18/36, along Marshall Street, as well as at least one former airport building.

A 2003 photo by Jonathan Westerling at the site of Leicester Airport.
Jonathan reported, "A look at the structure which presumably functioned as a hangar.
The pavement in front is more recent than that on the runways, and vehicle parking lines are still visible."
Jonathan Westerling reported, "I visited the old Leicester airport in November of 2003.
This was my second visit to the site - I had been there previously in 1995, but did not bring a camera with me.
The faded sign in front of the airfield says 'Highlights';
presumably the name of the dance club [which occupied the hangar after the airfield closed].
The runways are still walkable for most of their length,
but encroached with brush & certainly not usable as an airfield any longer.
I explored the rear of the building looking for any signs of aeronautical usage, but none were apparent.
A fair portion of the roof of the building has caved in.
My guess is that Leicester was started by a fellow with a lot of land & money
(thus the pool, large building, and 2 runways).
What other private field in MA had 2 PAVED runways back in the 1950s."

A 2003 photo by Jonathan Westerling at the site of Leicester Airport.
Jonathan reported, "Looking north from the runway intersection up Runway 36 towards the road.
The building you see there is a new house across the road. The hangar is off to the left."

A 2003 photo by Jonathan Westerling at the site of Leicester Airport.
Jonathan reported, "Looking south from the runway intersection down Runways 13 & 18.
Note the remains of the pavement, most of which has disintegrated to rubble throughout the site."

A circa 2001-2005 aerial view looking south at the remains of Leicester Airport.

A 6/17/16 photo by Labtec looking along the barely-recognizable remains of a former Leicester Airport runway.

A 6/17/16 photo by Labtec of the remains of the Leicester Airport paved ramp & office building.

A 6/17/16 photo by Labtec of the interior of the Leicester Airport office building.

A 2019 aerial view looking east showed that the orientation of the 2 former Leicester Airport runways was still perceptible in the woods,
and at least 1 former airport building remained on the north side (left side of photo).
The site of the Leicester Airport is located on the south side of Marshall Street, west of its intersection with Paxton Street.
____________________________________________________
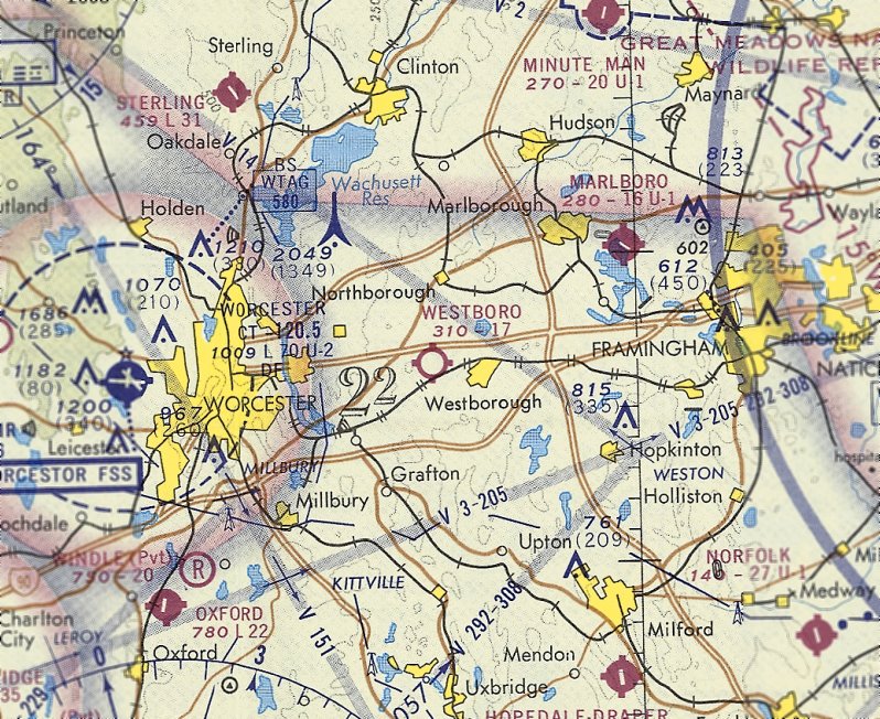
Whittal Field / Grafton Airport, North Grafton, MA
42.225, -71.715 (West of Boston, MA)

North Grafton's Whittal Field, as depicted on the 9/28/27 Commerce Department Airway Bulletin (courtesy of Jonathan Westerling).
Massmoments.com reported, “In 1925 an informal group of Worcester businessmen & flying enthusiasts began to scout potential sites for an airport in Worcester County.
But, as often happens when committees are involved, the plans stagnated.
Finally, Whitin Whittall grew impatient with the delays. He used his own money to hire engineers to survey possible sites.
Inches Farm field in North Grafton came up at the top of the list. Whittall took out options to purchase the land, then drummed up excitement & support from Worcester businessmen.
Within three weeks, the group had the funds to incorporate, and by 10/3/27, two runways & 2 hangars were open for business. Whittall Field became Worcester's first airport.
Whitin Whittal succeeded not only in getting the airport built but also in spreading his excitement about flying.
On 10/12/27, the day the airport was dedicated, roads around the airport were jammed for miles.
A huge crowd turned out to witness the opening ceremonies and flight demonstrations, including daring maneuvers performed by a female German pilot.
A festival atmosphere prevailed, in spite of endless speeches by politicians & dignitaries.”
The earliest official reference to Whittal Field which has been located was in the 9/28/27 Commerce Department Airway Bulletin (courtesy of Jonathan Westerling),
which depicted North Grafton's Whittal Field as having 2 perpendicular unpaved runways, with 3 buildings along the east side.

A poster for the “Worcester Air Pageant” (courtesy of the Grafton Historical Society, via Steve Cohn)
said that it was held on 10/8/27 in North Grafton, but did not specify an airport by name.

The 1929 Rand McNally Air Trails Map of Massachusetts (courtesy of Mike Rossi) depicted the airport in North Grafton.
However there was no listing of an airport in Grafton (or North Grafton) in The Airport Directory Company's 1933 Airport Directory (according to Chris Kennedy).

The earliest aeronautical chart depiction which has been located of Whittall Field was on the March 1933 Boston Sectional Chart.
It depicted Whittall as an auxiliary airfield.
The 1934 Department of Commerce Airport Directory (courtesy of Chris Kennedy) described Grafton as a municipal airport
consisting of an irregularly shaped sod field, containing a total of 4 runways (with the longest being 3,000').
Sandy Skinner reported that a handwritten note indicated that her father took his first plane ride at age 13 in a Taylor Cub at Grafton Airport in 1936.
There was no listing of an airport in Grafton in The Airport Directory Company's 1937 Airport Directory (courtesy of Bob Rambo).
The earliest photo which has been located of Grafton Airport was a 1938 aerial view.
It depicted 2 hangars & 2 light single-engine planes on the east side of a grass airfield.

The May 1941 Boston Sectional Chart (courtesy of Chris Kennedy) depicted Grafton as a commercial/municipal airport.

The earliest photo which is available of Grafton Airport was an undated aerial view looking northwest
from The Airport Directory Company's 1941 Airport Directory (courtesy of Chris Kennedy).
It described Grafton as a commercial airport consisting of an irregularly shaped sod field,
containing a total of 4 runways (with the longest being the 3,600' northwest/southeast strip).
What appeared to be 3 buildings along the east side of the field, along the west side of the road.
Massmoments.com reported, “In the years leading up to World War II, the field was especially busy with the Civil Pilots Training program.”

The 1944 USGS topo map depicted the “Grafton Airport”, but only as an open, undefined area,
with a few small buildings along the west side of Airport Road.
Massmoments.com reported, “For 18 years, Whittall Field was one of the busiest spots in Worcester County.
Until 1945, the field hosted airplanes such as Jennies, Robins, Wacos, Fords, Stearmans, Cubs, and Taylorcraft;
special charters brought visiting performers & dignitaries, and pioneers such as Wiley Post made stopovers on around-the-world flights.
World War II brought major advances in aircraft design, and it became clear that the old farm fields would soon be too small for modern aircraft.
On 5/4/46, a new Worcester Airport was dedicated near the city's west side.
The old Whittall Field was sold for a housing development in 1951.”

The depiction of Grafton Airport on the 1953 USGS topo map did not differ from that depicted on the 1944 USGS topo map -
basically an open, undefined area, with a few small buildings along the west side of Airport Road.

The last aeronautical chart depiction which has been located of Grafton Airport was on the May 1953 Boston Sectional Chart.
It depicted Grafton as having a 3,000' unpaved runway.
Grafton Airport was evidently closed at some point in 1953,
as it was no longer depicted on the December 1953 Boston Sectional Chart.
The 1965 Sectional depicted that the Massachusetts Turnpike had been built along the southern edge of the site of the former airport,
which may have been among the reasons for its closure.
A 1967 aerial photo showed the Grafton Airport hangars had been removed, houses had been built along the east side,
and a baseball diamond had been built on the southern edge, but the majority of the airport site remained unredeveloped.

As seen in a 2019 USGS aerial view looking northeast, there does not appear to be any trace remaining of Grafton Airport, with the majority of the site covered by trees.
As of 2021, street maps label the site of Grafton Airport as “Airport Park”.
The site of Grafton Airport is located south of the intersection of Route 122 & Airport Road.
Thanks to Steve Cohn for pointing out this airfield.
____________________________________________________
Pine Hill Airport, Lancaster, MA
42.47, -71.65 (Northwest of Boston, MA)

The Pine Hill Airport, as depicted on the 1950 USGS topo map.
Photo of the airport has not been located.
Jonathan Westerling reported, "According to pilot John Zimmer,
the Pine Hill Airport was actually never opened as an airfield,
though the land there was cleared in 1950 to serve as a replacement for the then-closing Bolton Airport."
The earliest depiction which has been located of Pine Hill Airport was on the 1950 USGS topo map.
It depicted Pine Hill Airport as having 2 runways (a 1,700' north/south strip & a 1,200' east/west strip),
along with what may have been a single small building on the south side of the field.
Pine Hill Airport not depicted on the January 1950 Boston Sectional Chart (or later Sectionals)
or the 1960 Boston Local Aeronautical Chart (courtesy of Mike Keefe).
The earliest photo which has been located of the Pine Hill Airport site was a 1963 aerial view.
It depicted the faint outline of 2 unpaved runways.
Jonathan Westerling recalled, "I visited the site of the Pine Hill Airport back in 1991.
By that time the runways had grown up so much that they were virtually impassable.
The gravel company which owned the land was slowly eating up the runways from the south.
There were also no buildings at the site."
The 1992 USGS topo map labeled the site as a gravel pit.

In the 1995 USGS aerial photo,
the outline of a portion of the former Pine Hill Airport north/south runway was still apparent.

In a circa 2001-2005 USGS aerial photo,
the faintest trace of the outline of a portion of the former north/south runway was still apparent.
The site of Pine Hill Airport is located at the eastern terminus of Pine Hill Road.
...............................................................................................................
Jonathan Westerling reported, "At one point in the early 1990s a reliever airport for Logan was planned just north of Pine Hill,
but neighborhood resistance kept it from getting past the planning stage.
It's a great place for an airport, though."
____________________________________________________
Turnpike Airport / Westboro Airport (3B6), Westboro, MA
42.275, -71.65 (West of Boston, MA)

Turnpike Airport, as depicted on the March 1933 Boston Sectional Chart.
This small general aviation airport was located along the north shore of Hocomonco Pond.
The date of construction of Turnpike Airport has not been determined.
The earliest depiction which has been located of Turnpike Airport was on the March 1933 Boston Sectional Chart.
It depicted Turnpike as a commercial/municipal airport.
The Airport Directory Company's 1937 Airport Directory (courtesy of Bob Rambo)
described the Westboro "Turnpike" Airport as being located 2 miles northwest of Westboro,
and the field was said to consist of a 1,300' x 1,200' irregularly-shaped sod landing area.

The 1937 “Progress Report of the Committee For Aeronautics of the Commonwealth of MA” (courtesy of Jonathan Westerling) depicted Turnpike Airport as an irregularly-shaped 42 acre sod field,
within which the longest landing distance was 1,300' northeast/southwest.
It was described as a commercial airport, owned by Mrs. Robert Robinson & operated by Desjardin Flying Service Inc.
A 40'x40' metal hangar was depicted on the northeast side of the field, along with a 22'x14' wooden office building.

The earliest photo which has been located of Turnpike Airport in operation was a 12/15/38 USGS aerial view.
It depicted an open grass airfiedl area, with 1 light single-engine aircraft & a small building on the east side.

A undated flight ticket book from Turnpike Airport (courtesy of Dave Edstrom).
Pauline Douglas recalled of Westboro Airport, “Lucien Desjardin was my dad who, with my mother Grace, and my uncles Frederick, Larry, Alfred, and Albert, did a lot of flying and instructing in the 1930s.
They used to charge $2 a lesson. Rides were 50 cents to go around the pattern, $1 for half an hour, and $1.50 for an hour. The phone number only had 3 numbers.”

A 10/30/42 aerial view from the 1945 AAF Airfield Directory (courtesy of Scott Murdock) depicted Turnpike Airport as an open grass field.
Nothing at the site of Westboro Airport was depicted on the 1943 USGS topo map.
The airport may have been temporarily closed during the war
(as was the case with many other small civil airfields along the coasts),
or it may have simply been overlooked due to its relatively small size.
The April 1944 US Army/Navy Directory of Airfields (courtesy of Ken Mercer)
described Westboro Turnpike Airport as having a 1,500' unpaved runway.
The 1945 Boston Sectional Chart (courtesy of John Voss) depicted Westboro as a commercial/municipal airport.
The 1945 AAF Airfield Directory (courtesy of Scott Murdock) described the Turnpike Airport
as a 42 acre irregularly-shaped field with a sod all-way landing area, with the longest dimension being 1,300' northeast/southwest.
The field was said to have a single 100' x 60' metal hangar, and to be privately owned & operated.

Westboro Airport was depicted on the 1953 USGS topo map as an open field,
with several buildings (hangars?) around the periphery.
Leo Page recalled, "Right after the Korean War ended I flew out of Westboro for quite a while.
A man named Ken Lynde was either the owner or operator of the field.
He had 3 J-3 Piper Cubs, a Taylorcraft plus an A-model Bonanza.
The Cubs & Taylorcraft he rented out, the Bonanza he used for charter."
Warren Wilbur recalled, “I went to Babson College in 1954-57.
I was a member of the Babson Flying Club that owned a red & yellow Aeronca Champ.
I was a student pilot under training by the Club’s CFI – a wonderful guy named Frank O’Hara.
I soloed there & went on to a lifetime of flying.
I paid for Mr. Lynde to take a friend up for his first flight in his Bonanza.
I noticed that he did not check the magnetos prior to takeoff;
upon landing I (being a student) questioned him on the subject.
He just shrugged & said that one of the mags was inoperative.
Quite a feat flying in & out of that 1,500' grass strip, landing over telephone wires
and getting stopped prior to rolling down hill the last 300' of the strip.
I have many fond memories of getting up early on cold winter days,
driving out to the strip, hand propping the Champ & going flying by myself. I thought I was Lindbergh
However, my first solo trip after Frank cut me loose to do touch & go's was not so fond
as I took off, flew around for a while & then landed not noticing that the wind had sprung up and I was landing downwind.
I finally stopped at the down hill end of the runway. A shaken but wiser pilot.”
Westboro Airport was depicted on the 1960 Boston Local Aeronautical Chart (courtesy of Mike Keefe) as having an 1,800' unpaved runway.

Westboro Airport apparently gained a somewhat longer paved runway at some point between 1960-68,
as the 1968 Flight Guide (courtesy of Robert Levittan) depicted Westboro as having 4 unpaved runways on the southwest, and a single 2,300' paved Runway 7/25 to the northeast.

The 1968 Boston Local Aeronautical Chart (courtesy of Mike Keefe) depicted Westboro as having a single 2,300' paved runway.

A circa 1960s photo of a Cessnas in a Westboro Airport hangar.

A circa 1960s photo of several Cessnas & Pipers in & around a few small hangars at Westboro Airport.

A circa 1960s photo of a snowy scene of Cessnas & Pipers at Westboro Airport.
Ed Romero recalled, “My first solo was as Westboro Airport in a J-3 Cub.
There was a paved runway there in 1969. But it was on the other side of the street [to the northeast]. An unusual situation for sure.
The 80 octane pump was on the grass strip while the 100 octane pump was with the 2,300' paved strip across the street.
This made fueling Ken Lynde’s Tri-Pacer a bit of a chore as the grass strip was where all the aircraft were stored.
Ken was quite a character.”
Bob Berlyn recalled, "I learned how to fly at Westboro Airport in the late 1960s & early 1970s.
It was run by Kenneth Lynde (Lynde's Flying Service) until the early to mid 1970s
when David Kubly, a Westboro resident, the B-29 Pilot, and then professor at, I think Clark,
and another man, Dick Stone, who worked at Bay State Abrasives in Westboro took it over.
I was a flight instructor there for a while & the place has many fond memories for me."

The last photo which has been located showing Westboro Airport in operation was a 1971 aerial view.
It depicted Westboro as having several unpaved runways, with a hangar & several buildings on the east & north sides of the field, along with 10 light aircraft.
David Fogarty recalled, “My Uncle Steve Fogarty was one of my original flight instructors out of Westboro (J-3 Cub). He introduced me to the local flying tribe.
Steve Fogarty upon returning from his 2nd tour in Vietnam (Army 1st Cav) became a very well-known & highly-regarded flight instructor in Central MA.
Steve's older brother Jack, my Uncle,was also a pilot flying from Westboro Airport.
Harvey Tamasian was also flying from Westboro in those days.”

The last aeronautical chart depiction which has been located of Westboro Airport was on the January 1973 Boston Sectional Chart.
It depicted Westboro Airport as having a mere 1,700' unpaved runway.
Ed Wickham recalled of Westboro Airport, "I flew in there a few times in the early 1970s from my home field in Marlboro.
I know that a gentleman (who was a B-29 pilot) was the last known operator of the airport."
Westboro was still listed in the 1976 Airport/Facility Directory (according to Timothy Aanerud),
and described as having a single 2,300' paved Runway 17/35.
Doug stone reported, “According to my log book, I flew one of my Dad’s flight school Cessna 150s out of Westborough to Worcester on 9/2/77.
This was one of the last flights (if not the last) from Westborough as my dad operated the flight school out of Worcester for a short time.
My dad’s partner was the B-29 pilot, Dave Kubly, a college professor, who operated the ground school of which I was a student.
My instructors included Chris Cobb (who soloed me there)
and Louis Pope, who used to fly his Cub over from Oxford Airport to give lessons in Westborough on weekends.
The sod field - I always remember it as 1,700’ long.
My dad was the last operator of the Westborough, Massachusetts airport which closed in 1977.
My dad & I moved 2 of the T-hangars (that were right next to Otis Street) to Marlborough Airport
where I still keep his Piper PA-11 Cub Special and fly it regularly.”

An undated flyer entitled “Save Westboro Airport”.
Westboro Airport was evidently closed at some point between 1973-79,
as it was no longer depicted on the December 1979 NY Sectional Chart (courtesy of Ron Plante).
Stephen Baker reported, “The Westboro field was used up until the summer of 1980
when Astra Pharmaceutical Products broke ground on the plant in the photo.
There was an auto race track across from it and I used to watch the planes do touch & go's while in the stands.”

Although Westboro Airport was still depicted as having 2 runways on the 1989 USGS topo map,
the field was labeled simply as "Landing Strip", which typically means that the airport was no longer open by that point.
The 1992 USGS topo map no longer depicted the Westboro Airport runways,
as the Astra Pharmaceutical Products building had been built over the airport site.
The 1995 USGS aerial photo showed the majority of the Westboro Airport site to be occupied by the Astra Pharmaceutical Products buildings & parking lots.

A 2019 aerial view showed no trace of Westboro Airport to remain, with the site occupied by the Astra Pharmaceutical Products buildings & parking lots.
The site of Westboro Airport is located northwest of the intersection of Otis Street & Smith Parkway.
Thanks to Ed Wickham for pointing out this airfield.
____________________________________________________
42.1, -71.56 (Southwest of Boston, MA)

Mendon Airport, as depicted on the 1929 Commerce Department Airway Bulletin (courtesy of Jonathan Westerling).
The date of establishment of Mendon Airport has not been determined.
According to Paul Doucette, “P. A. Millis bought it at the end of 1927, but I do not know when he actually started operations [of the airport].”
The earliest depiction which has been located of Mendon Airport was on the 1929 Commerce Department Airway Bulletin (courtesy of Jonathan Westerling).
It depicted Mendon as an L-shaped field with a cluster of buildings at the north corner.

The 1932 Airways Guide (courtesy of Jonathan Westerling) depicted Mendon Airport as the first airport along the airway southwest of Boston.

Mendon Airport, as depicted on the 1933 Airways Chart (courtesy of Jonathan Westerling).
According to Skylanes, Sabatino “Sabbie” Ludovici moved his Sabbie's Flying Service to Mendon Airport in 1935, where he founded Skylanes.

The earliest photo depiction which has been located of Mendon Airport
was a 1935 photo (courtesy of Doug Taylor) of a group from Sabbie's Flying Service & a monoplane & biplane in front of a Mendon Airport hangar.
According to the MA Aviation Historical Society, as of 1935 Mendon Airport was a commercial field,
with the owner being P.A. Millis, and the operator being Mills Air Service.
Other commercial operators were Herman Ryan & Arthur Scruten.
The field consisted of an L-shaped 108 acre property with 3 sod landing strips, with the longest being the 1,800’ north/south strip.

A circa 1930s photo (courtesy of Doug Taylor) of a monoplane & biplane in front of a Mendon Airport hangar.

A circa 1930s photo (courtesy of Doug Taylor) of an unidentified biplane on a Souvenir of a flight from Mendon Airport.

The 1937 MA Airport Directory (courtesy of Jonathan Westerling) depicted Mendon Airport as an irregularly-shaped property outline.

A 5/19/38 photo (courtesy of Doug Taylor) of a Stinson biplane conducting the first airmail flight from Mendon Airport.

A 7/28/38 photo (courtesy of Doug Taylor) of a Stinson Reliant monoplane at Mendon Airport.

A photo (courtesy of Doug Taylor) showing wrecked hangar at Mendon Airport as a result of the 9/21/38 hurricane.

An undated aerial view looking northwest at the Mendon Airport hangar (from the George Armitage collection, courtesy of Kim Hetland, via David Tremblay),
which appears to show the hangar damage after the 9/21/38 hurricane.

An 11/10/38 aerial view showed the buildings at the north end of Mendon Airport still showing damage as a result of the 9/21/38 hurricane.
According to Skylanes, “By 1938, the service had 3 airplanes: a Piper Cub, a Taylorcraft, and the original Waco, but the hurricane of 1938 did a lot of damage.
The 3 were repaired & 2 more Taylorcrafts were added to the fleet.
Eventually, Skylanes moved to North Central State Airport.”
The earliest topo map depiction which has been located of Mendon Airport was on the 1943 USGS topo map.
It erroneously depicted Mendon Airport on the opposite (west) side of Millville Road,
which may have been a case of intentional wartime map deception.

The earliest topo map depiction which is available of Mendon Airport was on the 1944 USGS topo map.
It depicted “Mendon Landing Field” as an irregularly-shaped property with a single small building on the north corner.
The 1945 Boston Sectional Chart depicted Mendon as a commercial/municipal airport, also designated Airway Site 16.
According
to Paul Doucette, “There was a beacon located a short ways from
the airport.”
According to the MA Aviation Historical Society, as of 1945 Mendon Airport had a 1,800' seeded sod north/south runway,
and the field measured 96 acres, with 3 hangars & an office.

An August 1946 aerial view looking north at Mendon Airport (from the MA Aeronautics Commission)
depicted the field as having a north/south unpaved runway & a cluster of hangars on the northeast side.

The last aeronautical chart depiction which has been located of Mendon Airport was on the 1949 Boston Sectional Chart (courtesy of Jonathan Westerling).
It depicted Mendon as having a 2,200' unpaved runway, designated Airway Site 16.

A circa 1950s photo (courtesy of Doug Taylor) of 2 Piper Cubs in front of a hangar & an office at Mendon Airport.

A circa 1950s photo (courtesy of Doug Taylor) of hangars at Mendon Airport.
According to Paul Doucette, “P. A. Millis... sold it [the Mendon Airport property] in 1951.
I’ve been told by old 'townies' the last person to land an aircraft at the airport was John Quirk.
He lived in Mendon, was a naval pilot in WWII, and operated the New England Steak House Restaurant.”
Mendon Airport was evidently closed (for reasons unknown) at some point between 1945-55,
as it was no longer depicted on the 1955 Boston Sectional Chart.
“Mendon Landing Field” was still depicted on the 1964 USGS topo map.
A 1967 aerial photo showed the eastern hangar still had “Mendon” painted on its pointed roof.
Peter Mulcahy recalled of the Mendon Airport site, “In the 1960s Jessie White Marine took over the hangars & the field for boat storage.”
David Gray recalled, “Even while it was being used as a marina / boat storage area, someone had an airplane[s] there.”
The 1971 USGS topo map no longer depicted the airport, but still depicted an open unlabeled field with a few small buildings on the north side.
A 1971 aerial view showed both hangars had their roofs repainted,
and 3 other large buildings had been added to the site.
A 1978 aerial view showed the eastern hangar (with the pointed roof) had been removed at some point between 1971-78.

A 1990 street map (courtesy of Paul Doucette) still depicted the airway beacon on the south side of the Mendon Airport property.

A 4/11/12 photo by Paul Doucette of the hangar which remains at the site of Mendon Airport.

An 8/24/13 aerial view showed the curved-roof hangar remained on the north side of the site of Mendon Airport.

A September 2014 photo of the remains of the 4 concrete footings of the Mendon Airport beacon tower (courtesy of Paul Doucette).
The site of Mendon Airport is located southeast of the intersection of Millville Road & Route 16.
Thanks to Paul Doucette & David Gray for pointing out this airfield.
____________________________________________________
Shirley Airport (9B4, 61MA), Shirley, MA
42.527, -71.666 (Northwest of Boston, MA)

Shirley Airport, as depicted on a 4/29/63 USGS aerial view.
This little general aviation airport was evidently established at some point between 1960-63,
as it was not yet depicted on the 1951 USGS topo map
or the November 1960 Boston Sectional Chart.
The earliest photo which has been located of the Shirley Airport was a 4/29/63 USGS aerial view.
It depicted Shirley as having a single north/south runway, with a few small hangars & 3 light single-engine planes on the west side.

The earliest aeronautical chart depiction which has been located of the Shirley Airport was on the September 1965 Boston Sectional Chart.
It depicted Shirley as a private airfield having a single 1,800' paved north/south runway.
Neil Johnson recalled, “There was a small field just outside the western edge of Fort Devens, between Shirley & Shirley Center.
I only used it once when I had my private exam checkride. The examiner pilot was a lady about 70 years old.”
A 1971 aerial photo depicted a total of 10 single-engine aircraft parked along the northwest side of Shirley Airport,
which had a single paved north/south runway, and a few small hangars along the northwest side.
Dave Pando recalled, “I took my first flight there with Don Baker in 1972.”

The earliest photo which is available of the Shirley Airport was a circa 1981 aerial view by Dave Pando on final approach to Runway 1.
Dave recalled, “I took the photo from the right seat of Cessna 172 225JS which was owned by my student & John Skrzypczak.
We would fly there for lunch because we both thought the waitress at the diner looked just like Wonder Woman.”
Raymond Lallo recalled, “I was a Green Beret with 10th Special Forces Group (Airborne) stationed at Ft. Devens MA, from 1987-96.
In the later years we used Shirley Airport for training for counter-drug, Airfield recon & take-down & CSAR training.”
A 1992 aerial photo depicted a total of only 4 aircraft, on the east side of the Shirley runway.

The last aeronautical chart depiction which has been located of Shirley Airport
was on the December 1992 Boston Terminal Aeronautical Chart (courtesy of Gwen Shafer).
It depicted Shirley as having a 3,200' paved runway.

A 1995 USGS aerial view looking southwest did not depict any aircraft at Shirley Airport.

The last photo which has been located showing aircraft at Shirley Airport was a 2000 aerial view looking southwest,
which depicted 2 single-engine aircraft on the northwest side of the runway.
Shirley Airport was evidently closed (for reasons unknown) at some point between 2001-2005,
as a 4/1/05 aerial view depicted the northern end of the runway having been cut by a new road,
and 2 closed-runway “X” symbols visible along the runway.
Brendan Hurley reported in 2005, “The Shirley Airport has been abandoned & a few things have been built on the old dirt strip.
It was closed sometime within the last year or two. I'm not sure why, but I imagine it was a decline in use over the last few years.”
Perry Dickau reported, “Shirley Airport... In 2005, the owner of the airport sold off part of the property, which was the east end of the airport,
where a new commercial building was erected, and a new road was put in that bisected what used to be the runway.
At that time, the official designation of the airport was changed from 9B4 to 61MA, and it was for the 1,700' turf strip [oriented] 16/34 (versus the old [Runway] 1/19 asphalt strip).
Shirley Airport was my exclusive training location through 2010 (I am a CFI for Light Sport Aircraft, specifically powered parachutes).
The property was also home of the Shirley Crowhoppers Ultralight Club, which has since moved to Crow Island Airpark in Stow, MA.
For the last 6 or 7 years of the life of that airport, I seemed to be the exclusive user of the facility.
The owner was always super accommodating, but the writing was on the wall that the property would have a limited life as an airport.”
Peter Ward reported in 2006, “I drove past Shirley Airstrip not long ago and it looked like some business paved right across the runway.
I was aghast! I thought that strip was still used, for planes as well as ultra-light activities. Oh well.”

A 1/28/07 photo looking along Shirley's closed runway, with the “X” symbol in the foreground.

A circa 2008 aerial view looking west at the hangars & runway which remain at Shirley Airport.

A 2/22/09 photo of the Shirley Airport Diner, which sits along the northwest corner of the site.
A 2009 aerial view showed the Shirley Airport remained intact though deteriorated.
Longtime Shirley resident Glenn Gould reported in 2014, “This spring the Shirley Airport was turned into a solar electric generating farm.
It is not finished yet, but the uprights for the solar panels are up. At least it is not more houses.”

A 2016 aerial view looking southwest showed solar panels covering the majority of the site of Shirley Airport,
but portions of the northern end of the runway pavement remained intact, along with several hangars.
The site of Shirley Airport is located southeast of the intersection of Shirley Road & Mt. Laurel Circle.
Thanks to Paul Zahornasky for pointing out this airfield.
____________________________________________________
Clinton Airport / Balboni Airport / Bolton Airport, Bolton, MA
42.436, -71.651 (Northwest of Boston, MA)

Bolton Airport, as depicted on the Boston Chamber of Commerce's
1931 "Airports & Landing Fields of New England" (courtesy of Chris Kennedy).
According to an article by Graham Entwistle in the 10/30/98 issue of The Bolton Common (courtesy of Kevin LeCompte),
a parcel of land on the south side of Wilder Road was acquired by the Balboni family in 1929.
Zelmira Balboni started to use the land as an airstrip for his plane,
and a deed recording the transfer of some of the land to him in April 1930
was the earliest reference which has been located which mentioned the Balboni Airport.
In the following years, a shack for minor aircraft repairs was built at Balboni.
The Boston Chamber of Commerce's 1931 "Airports & Landing Fields of New England" (courtesy of Chris Kennedy)
described the "Clinton-Lancaster-Bolton Airport" as being located 2 miles north of Clinton.
The field was said to have two 1,400' grass runways, and the operator was listed as Amilio Balboni.
Cathy Balboni reported, “Amilio Balboni that was mentioned was her son my Grandfather, Emilio.”
The Airport Directory Company's 1933 Airport Directory (according to Chris Kennedy) listed a "Clinton" Airport, 2 miles north of the town of Clinton.
It was described as having two 1,500' sod runways, oriented north/south & east/west.

The earliest aeronautical chart depiction which has been located of Clinton Airport was on the March 1933 Boston Sectional Chart.
It depicted Clinton as an auxiliary airfield.
The last aeronautical chart depiction which has been located of Clinton Airport was on the August 1935 Boston Sectional Chart.
Clinton Airport was evidently closed (for reasons unknown) at some point between 1935-36,
as it was no longer depicted on the January 1936 Boston Sectional Chart.
This may have been due to the economic effect of the Depression.
“Bolton (Clinton)” was listed as recently closed
in the 1937 “Progress Report of the Committee For Aeronautics of the Commonwealth of MA” (courtesy of Jonathan Westerling).
The Airport Directory Company's 1938 Airport Directory (according to Chris Kennedy)
did not list any airfields in either Clinton or Bolton.

The earliest photo which has been located of Clinton Airport was a 4/10/39 aerial view.
It depicted the field as having 3 grass runways, with a one small buildings on the west side.
There were no aircraft visible on the field though, so it may still have been closed at that point.

A 10/30/42 aerial view looking west at Clinton Airport from the 1945 AAF Airfield Directory (courtesy of Scott Murdock)
depicted the field as having 3 grass runways, with a few small buildings on the west side.
Clinton Airport was still not on the November 1942 Boston Sectional Chart.

Although the shape of the Clinton Airport runways were depicted on the 1943 USGS topo map,
the airport itself was not labeled (the "Mountain View Golf Course" was adjacent to the east side of the airport).

The former Clinton Airport was evidently reopened as Bolton Airport at some point between 1942-43,
as that it now it was depicted on the November 1943 Boston Sectional Chart.
It depicted Bolton as a commercial/municipal airport.
The April 1944 US Army/Navy Directory of Airfields (courtesy of Ken Mercer)
confusingly listed a "Balboni" Airport in Bolton & a "Bolton" Airport in Clinton.
Both were described as having a 1,400' unpaved runway, so were these actually the same field?
The "Bolton" Airport was described as being "Restricted to CAP [Civil Air Patrol] only."
The 1945 AAF Airfield Directory (courtesy of Scott Murdock) described Clinton Airport
as a 79 acre irregularly-shaped field within which were 2 sod 1,600 runways, oriented ENE/WSW & NNW/SSE.
The field was said to have a single 60' square wood hangar,
and to be owned & operated by private interests.
After the end of WW2, activity at the field began to pick up, when Worcester industrialist Harry Kumpe formed Airports Inc. & rented the airfield.
He hired Loran "Pappy" Malone to manage the field, who quickly became a father figure to the young student pilots at Bolton.
The Haire Publishing Company's 1945 Airport Directory (courtesy of Chris Kennedy)
listed the Bolton Airport as being located 2.3 miles northeast of Clinton,
and described the field as having two 1,900' sod runways, oriented north/south & east/west.
On New Year's Day in 1946, there were only 3 private aircraft based at the Bolton Airport: a Piper Cub, another Piper, and a Fleet.
Within a year, Airports Inc. had brought in 6 Aeronca Champs, an Aeronca Chief, 2 Taylorcrafts, a Waco, and a Cessna.
In addition, a total of 8 private aircraft were hangared there.

A 1946 photo of a Kitty Hawk biplane at Bolton Airport (courtesy of Jonathan Westerling).
The Kitty Hawk was purchased by Jerry Mears from Harry Kumpe.

A circa 1946-47 photo of a variety of planes in front of the hangar & office at Bolton Airport (courtesy of Jonathan Westerling).
At its peak (according to Jerry Mears, who flew at Bolton from 1946-49), approximately 25 aircraft called Bolton home.
During the airport's heyday its owners designed many expansion schemes.
According to Randy Wilson (who learned to fly at Bolton), "They were calling it the Country Club of the Air. They had big plans."

A still by Jonathan Westerling from a 1949 movie by Brigham Mayo of the Bolton Airport office, with spectators watching a flying display.

A still by Jonathan Westerling from a 1949 movie by Brigham Mayo, showing a beautiful red Cessna T-50 Bamboo Bomber in front of the Bolton Airport hangar.

A license plate attachment, advertising Bolton Airport (courtesy of Jonathan Westerling).
"The license plate attachments were very poplar during the 1940-50 period to advertise your local airport."

The 1950 USGS topo map depicted the outline of 3 runways at Bolton Airport, as well as what appeared to be a total of 3 buildings.
According to former Bolton Airport pilot Jerry Mears,
the primary runway was over 2,000' in length, while the shorter runway was approximately 1,000'.
"You had to be a pretty good pilot to come in on the short one", Mears said.
Unfortunately, by the early 1950s, the "GI Bill" funding which had previously enabled much of the flight training business at Bolton had started to decline,
and this resulted in a sharp decrease in flight training & aircraft sales.
These factors, coupled with competition from other airports,
caused the Bolton Airport to be officially closed in the Summer of 1951.
However, a few local pilots continued to use the closed airfield for a little while.
In a sad ending to the little airport, it had its only fatal accident after the field was closed:
in 11/1/52, Brigham Mayo crashed while attempting to land at the abandoned airport.
In 1953 the airport land was sold to Albert Surprennant & George Forsberg, along with the adjacent Runaway Brook Country Club.

A Summer 1954 aerial view looking north showed Bolton Airport's runways & buildings still remained intact (courtesy of Kevin LeCompte).

Bolton Airport was still depicted as a private field (with a 2,500' unpaved runway)
on the November 1954 Boston Sectional Chart (courtesy of Chris Kennedy),
but the Aerodromes table listed the field as "Closed".
Bolton Airport was evidently closed at some point between 1954-55,
as it was no longer depicted on the May 1955 Boston Sectional Chart.
Between 1955-58, the new owners of the property expanded the golf course onto the land formerly occupied by Bolton Airport.

By the Summer of 1958, the former Bolton Airport buildings still remained intact,
but the runways had been covered with golf course fairways
in this aerial view looking northwest (courtesy of Kevin LeCompte).
A 1971 aerial photo shows the airport office building was torn down at some point between 1958-71,
but the 2 former hangars were retained & reused.
After a few changes of ownership, the golf course became known as the International Golf Club.
As seen in the 1995 USGS aerial photo, 2 former hangars from Bolton Airport remained standing.
Not a trace remained of the runways - they were all covered by fairways.
Kevin LeCompte reported in 2004, "The hangar still serves as a maintenance Shop for the IGC golf club.
Lots of older local pilots have told me about it but none have pictures. I fly over regularly - you can almost make it out."

A circa 2010-2017 aerial view looking north at the remaining hangars from Bolton Airport.

A 2016 aerial view looking northwest showed the former hangars of Bolton Airport remained standing,
but not a trace remained of the runways - all covered by fairways.
The site of Bolton Airport is located southwest of the intersection of Wilder Road & Eastern Avenue.
Thanks to Jonathan Westerling for pointing out this airfield.
____________________________________________________
Franklin-Norfolk Airport / Norfolk Airport / Heenan-Menfi Memorial Airport (MA07, 32M), Norfolk, MA
42.13, -71.373 (Southwest of Boston, MA)

Franklin-Norfolk Airport, as depicted on the July 1946 Boston Sectional Chart.
Susan Fletcher Guagliumi recalled, “My grandparents, Robert & Elza Fleischer, purchased the land back in the early 1940s.”
This general aviation airport was evidently established at some point between 1945-46,
as it was not yet listed among active airfields in the 1945 AAF Airfield Directory (courtesy of Scott Murdock)
nor depicted on the December 1945 Boston Sectional Chart.
The earliest depiction of which has been located of Franklin-Norfolk Airport was on the July 1946 Boston Sectional Chart.
It depicted Franklin-Norfolk as a commercial/municipal airport.
Susan Fletcher Guagliumi recalled, “When when my father, Jordan Fletcher, came out of the service (he had been a glider pilot)
he opened Norfolk Airport on that property, hoping to get people interested in flying lessons.
My parents both flew & there were family stories about them taking my older brother up for a flight around the area to get him to sleep when he was a baby.
I also remember stories about lots overshooting the runway & ending up in the lake.”

The earliest photo which has been located of Franklin-Norfolk Airport was an August 1946 aerial view.
It depicted Norfolk as having 2 grass runways, with a small hangar on the northeast side, and a light single-engine plane was visible low over the runway.

A 1947 photo (courtesy of Susan Fletcher Guagliumi) of a light single-engine plane taking off from Norfolk Airport.

A 1948 aerial view looking northwest (courtesy of Susan Fletcher Guagliumi) depicted Norfolk Airport as having 2 grass runways.

A 1948 photo (courtesy of Susan Fletcher Guagliumi) of several light single-engine planes parked near the Norfolk Airport hangar.

A 1948 photo (courtesy of Susan Fletcher Guagliumi) of several light single-engine planes parked near the Norfolk Airport hangar.
Walter Stafford recalled of Norfolk Airport, “I flew out of there as a passenger with my father in the summer of 1948.
He did his primary training there for the private pilot's license & finished in 1948 (I have his log books).
He & my mother both flew out of there in Cessna 120's & 140's. He also owned & flew a Cessna 195.”
The 1952 Commonwealth of Massachusetts Airport Directory (according to Jonathan Westerling) listed Norfolk as being a “restricted use airport”.
Susan Fletcher Guagliumi recalled, “After my father & mother divorced, my grandparents sold the property to to the Marshalkowskis who plowed up the runways & grew corn for a while.
Over the following years the airport opened & closed a number of times.”
Norfolk Airport may have been gone through a period of closure,
as it was not depicted at all on the November 1954 Boston Sectional Chart (according to Chris Kennedy).
Rick Hersey recalled, “My Dad kept his Stinson 10 at Norfolk for many years.
I remember the man who ran it was named Charlie Sia, this was during the late 1950s & early 1960s.”
Norfolk Airport was once again depicted on the 1960 Boston Local Aeronautical Chart (courtesy of Mike Keefe).
It depicted Norfolk as a private airfield with a single 3,000' turf runway.
The earliest photo which has been located of Norfolk Airport was a 1961 aerial view.
It had a single north/south grass runway, with 6 light aircraft visible near a single hangar on the west side of the field.
The 1962 Boston Local Aeronautical Chart (courtesy of Mike Keefe) depicted Norfolk as a private airfield with a single 3,000' turf runway.
At some point between 1962-65, the status of Norfolk had changed to a public-use airport,
as that is how it was depicted on the 1965 Boston Sectional Chart (courtesy of John Voss).
The Aerodromes table on the reverse side of the chart described the field as consisting of a single 2,700' turf runway.
The 1967 AOPA Airports USA Directory (according to Jonathan Westerling) listed Norfolk as having a 2,700' sod Runway 18/36.

The 1968 Boston Sectional Chart (courtesy of Mike Keefe) depicted Norfolk as a public-use airport having a 2,700' unpaved runway.
John Cross recalled of Norfolk Airport, “The MIT Soaring Association was based there starting in 1968.”
A 1968 aerial view depicted Norfolk as having a single northwest/southeast runway,
with several dozen light aircraft visible on the west side of the field.

The 1970 USGS topo map depicted Norfolk Airport as having a single unpaved northwest/southeast runway, with a ramp & a few small buildings on the west side.
John Cross recalled of Norfolk Airport, “That is where I learned to fly with the MIT Soaring Association. I was there 1972-76.
It had a paved runway with an overrun to the south (which is where we staged our gliders).
I think there were maybe 10-15 airplanes tied down out there during that time.
On nice summer days we might have 3-6 gliders operating. There was a fair amount of power traffic there as well.
The north end of the field had trees which were right at the end of the runway.”
David Southern recalled, “Norfolk Airport... I worked the line pumping gas for flying time when I was a kid (John paid for my Private & Instrument licenses).
I started there when I was 14 in 1974. I worked for John & Joe until I left to go to Army Flight School in 1981.
John & Joseph Menfi purchased Norfolk Airport from Charlie Sayer when they left the Army.
Both John & Joe were Army Aviators who were decorated veterans during the Vietnam War & their decorations were displayed proudly in their office.
Both received the Bronze Star for their actions during the war.
John & Joe originally ran a Fixed Base Operation with a Cessna-approved flight school (using Cessna's audio/visual training programs)
along with a maintenance facility called Norfolk Aviation out of the main building during the 1970s.
In addition to Norfolk Aviation, Jim Godivich ran another maintenance facility called Superior Aero out of the main building.
During the mid-1970s there was another flight school that was short-lived.
John & Joe then moved their flight school to the small wood building.
It was during this time frame that there was both the MIT flying club & also the glider club that operated out of Norfolk.
In addition, there was a company that towed aerial banners on the weekends.”
David continued, “John ran the day-to-day operations at Norfolk Airport.
It was during this time frame of the mid-1970s that John started flying for Ernie Boch of the Boch car dealership fame.
Ernie had a Piper Navajo that was hangared at Norfolk.
In addition John was the pilot for George Lutski of Lutski Enterprises which if I remember was out of North Attleboro.
George had a Piper Seneca that was hangared in the metal hangar at the end of the airport by Runway 18.
Walter Woods of Woods Engineering kept a Cessna 185 on floats in the concrete section of the metal hangar at the end of Runway 18.
The trailer at the end of Runway 18 - a number of different flight instructors lived there at various times.”

The June 1975 Boston Terminal Aeronautical Chart (courtesy of Mitchell Hymowitz)
depicted Norfolk as having a 2,700' unpaved runway.
A 1978 aerial view depicted a very well-used airport, with several dozen light aircraft visible on the northwest side of the field.

The 1979 Flight Guide (courtesy of Jonathan Westerling) depicted Norfolk as having a single 2,700' paved Runway 18/36,
with a ramp & several buildings on the northwest side of the field.
The Flight Guide included the note, “Caution, aircraft taxiing on west side of runway.”
The 1979 AOPA Airports USA Directory (according to Jonathan Westerling) listed the width of Norfolk's paved runway as a generous 150'.
David Southern recalled, “The maintenance facility of Norfolk Aviation closed in the early 1980s leaving only Superior Aero as the maintenance facility.”
Norfolk was described in the 1982 AOPA Airport Directory (courtesy of Ed Drury) as having a single 2,700' asphalt Runway 18/36.

The November 1983 Flight Guide (courtesy of Matt Elia) depicted Norfolk as having a 2,700' paved Runway 18/36, with a closed portion extending farther south.
Aviation East operated at Norfolk Airport starting in the 1980s.
David Southern recalled, “The flight school of Norfolk Aviation was sold during this time frame,
and it changed hands a number of times before Wayne started Aviation East in the late 1980s.
Superior Aero remained at Norfolk till the late 1980s or perhaps very early in 1990.
When I returned from active duty in 1986, I continued to fly out of Norfolk until I got hired by the airlines in 1990.”
Jim D’Attilio recalled, “Norfolk... In the 1980s I inquired at the flight school there about lessons.
I had 2 friends who had small planes there, and flew with them on several occasions.
More interestingly - I worked at the end of the runway!
If you look at the bottom of several of the photos, you will notice a street (Leland Road)
near the end of the runway furthest from the hangars, and a small pond on the other side of it.
There is a large house on this pond that overlooks the runway. This was the former Leland Estate.
When I worked there it was a private school & dormitory. We often watched planes taking off & landing.
There was also a helicopter flight school there for a short time -
and I can recall us all freezing at the sight of a helicopter suddenly plunging to the ground then flying up again.
They were practicing auto-rotation, we later learned.
At one point the Headmaster of the school chartered a flight in a Cessna from there -
and we took video & stills of the school building.
There is a horse farm about 500' away - and they used to hay the area around the runway.
They also used to seed & hay the area that [is speculated] was for crosswinds.”

A circa 1991 aerial view by Jonathan Westerling looking southwest at a healthy looking Norfolk Airport,
with a large number of aircraft visible parked on the ramp.
There appears to have been a grass crosswind runway, at the bottom of the photo.
Jonathan remarked, “Thanks to pilot John Zimmer who took me up that day.”
Paul recalled, “I trained at Aviation East from 1991-92, and got the private ticket in 1992.”
Eric Meltzer recalled, “Norfolk Airport... I soloed there in the spring of 1992.
Although I got my license at Norwood, I returned to MA07 & flew there as a renter until it closed.
My friend, Steve, lived in the mobile home at the north end of the field & kept a nice Cessna 150 in the adjacent hangar.
He continued this arrangement for some time after the airport was closed & abandoned.”

The December 1992 Boston Terminal Aeronautical Chart (courtesy of Gwen Shafer) depicted Norfolk Airport as having a 2,700' paved runway.

The 1993 Jeppesen Airport Directory depicted Norfolk as having a single 2,700' Runway 18/36.
The operators were listed as Aviation East & Superior Aero Services.

The last aeronautical chart depiction which has been located of Norfolk Airport was on the December 1992 Boston Sectional Chart (courtesy of Ron Plante).
It depicted Norfolk as having a 2,700' paved runway.

A 1995 USGS aerial photo showed Norfolk Airport to have a paved 2,700' runway,
with an additional 1,100' overrun south of the runway which appeared to have been previously paved.
There was also a parallel taxiway, a ramp & several small buildings.
A cleared area could be seen in which probably used to be an unpaved crosswind runway.
A total of 16 light single engine aircraft were visible parked outside.
According to Paul Coggin, Aviation East operated at Norfolk Airport “until about 1995 or 1996.”
Drew Lyons recalled, “I landed at Norfolk Airport on 4/27/98 in a Cessna 152 a couple of months after getting my Private Pilot's License, when it was 32M.
I'm glad I got it in my logbook as it must’ve closed not too long after that.”
Unfortunately, Norfolk Airport was closed at some point between 1998-2000.
It had the misfortune to be located amidst a new $400K colonial house development boom.
An attempt was being made to reopen Norfolk as one of only 2 residential airparks in Massachusetts.
Plans were made for 26 homesites of 2-3 acres each.

A circa 2000 aerial view of Norfolk Airport, sitting idle after the airport's closure.

A circa 2000 aerial view looking north at Norfolk Airport.

A circa 2000 photo by Eric Meltzer of the granite memorial marker dedicating the “Heenan-Menfi Memorial Airport” in memory of 2 pilots who perished in a 7/12/91 crash.
Norfolk Airport was still listed in the 2001 Airport Facility Directory, but with the note "Airport closed indefinitely".
It listed a total of 31 aircraft being based at the field, and an average of 25 aircraft operations per day.
Bill Sievers lives not too far from Norfolk Airport.
He reported in 2003, "I visited that old airport about 2 weeks ago,
and while it's now completely abandoned, it's all still there but there's no sign of any air park development.
It used to be a fairly busy & quaint little field in the early 1990s,
but the owner was killed in an aircraft accident on Cape Cod about 1995 or so.
Since then it appears that the land & buildings have all been vacated & there is no sign of any activity at all."

A circa 2005 aerial view looking north at Norfolk Airport, showing that the field remains in good shape.
Paul Coggin recalled, “I flew in as recently as 2005, with permission of an owner
(deeper notes in the AFD/published NOTAM directory instructed you to call)
and it was fine as a strip to set the wheels on, but that was literally it.”

A 2006 photo by Matthew Elia Matthew Elia, looking south along Norfolk's abandoned Runway 18.
Matthew noted that the runway was never marked with closed-runway “X” symbols.

A 2006 photo by Matthew Elia Matthew Elia, looking northwest at the abandoned hangars at the north end of Norfolk Airport.
Paul Coggin recalled, “It was taken off the charts altogether in May 2006.
I visited the ramp on 10/8/06 (via automobile) &see that the weeds are ever-expanding their presence through the cracked runway.”
Eric Meltzer reported in July 2011, “I drove by the field.
All the wooden structures are gone, only the 2 cinderblock hangars remain at each end of the field.
The tetrahedron is still there & there was a handful of people flying model planes in that area.
However, the entire airport is so overgrown with vegetation that it's hardly recognizable.
Even the granite marker at the entrance memorializing Joe Menfi is gone. Truly a sad sight to my eyes.”
Eric Meltzer reported in December 2011, “The above ground fuel tank is gone & the small FBO building has been torn down & removed.
The memorial marker is gone as well as the mobile home that was on the north side of the field & the hangars are in disrepair.
There were some people using part of the ramp to fly radio-controlled planes. A sad end to the home of my first solo.”

A 4/11/12 aerial view by Michael Yanikoski looking northwest at Norfolk Airport, taken from his dad's Piper Saratoga.
The field remains largely intact. What a shame for this fine general aviation facility to remain unused for years.

A 12/12/15 aerial view by Graeme Smith looking northeast at the remains of Norfolk Airport.
Graeme observed, it “Looks quite usable for an engine-out emergency field still.”

A 3/11/18 aerial view by Graeme Smith looking northwest along the remains of Norfolk Airport.
Graeme observed, “I took a 500' low pass to assess for an emergency field. I am NOT lined up with runway centerline which is to the right.
The approach is too fouled with trees if you look carefully - from left to right it’s: taxiway, flooded median, runway.
The runway is jammed against trees. You would have to land halfway along of better to be sure of a safe landing.
If landing to the southeast it is relatively clear once you get in over power lines.”

A 3/11/18 aerial view by Graeme Smith looking northeast at the remains of Norfolk Airport.
Graeme observed, “The old ramp to the northwest corner is a housing development with some new construction still going on.”
Dave Drury visited the site of Norfolk Airport in 2018 & reported, “There are no more buildings left from the airport days.”

A 7/19/18 aerial view by Graeme Smith looking south along the remains of Norfolk Airport's former Runway 18.
Graeme reported, “Over the powerlines & a good slip over the trees & I could have easily put her down & stopped. Instead I did a go-around & departed.”

A 2019 photo by Ryan Berube of the granite memorial marker dedicating the “Heenan-Menfi Memorial Airport” in memory of 2 pilots who perished in a 7/12/91 crash.

A 2019 photo by Ryan Berube looking south along the former Norfolk Airport Runway 18.
Ryan observed, “You can see paint still on the runways, and for some reason, no closed [runway] yellow Xs.”

A 2019 photo by Ryan Berube at the site of Norfolk Airport, showing “ILS hold lines are still very clear”,
along with what appears to be some colorful post-airport graffiti.

A 2019 photo by Ryan Berube at the site of Norfolk Airport, showing “You can see where a taxiway led to a hangar, but the hangar was removed for houses.”

A 7/14/24 aerial view by Drew Lyons looking northeast at the remains of Norfolk Airport.
Drew observed, There are “a few large colonials built where the hangars used to be, but runway & taxiways still generally intact & the runway numbers are still visible.”
Thanks to Dan Fields for pointing out this airfield.
____________________________________________________
Fort Devens AAF / Ayer NAAS / Moore AAF, Leominster, MA
42.574, -71.606 (Northwest of Boston, MA)

The location & layout of the “Ayer (Camp Devens) Emergency Field”,
as depicted on the 6/21/26 Department of Commerce Aeronautical Bulletin (courtesy of Jonathan Westerling).
Fort Devens was built as a division-size training camp in 1917.
An airfield was evidently established at Fort Devens in 1926,
as the 6/21/26 Department of Commerce Aeronautical Bulletin (courtesy of Jonathan Westerling)
listed the “Ayer (Camp Devens) Emergency Field” as becoming “available 7/1/26.”
The airfield was described as a sod field measuring 2,300' northwest/southeast by 850' northeast/southwest,

The Fort Devens Airfield gained a 2nd runway within the following year,
as the 12/12/27 Department of Commerce Aeronautical Bulletin (courtesy of Jonathan Westerling)
described the “Camp Devens” Airfield as having 2 runways in an L-shape,
with the longest being the 2,325' northwest/southeast strip.
The field had no hangars or other facilities.

The 1929 Rand-McNally Air Trails Map of Massachusetts (courtesy of Chris Kennedy)
described the Camp Devens Airfield as an auxiliary airfield, operated by the Army.
The field was said to be 2,325' x 1,560' in size. The "RS" indicated that the field had a radio station.

The 1934 U.S. Navy Aviation Chart (courtesy of Chris Kennedy) depicted a "Marked Auxiliary Field" in this location,
but did not label the field with a name.
The 1939 USGS topo map depicted the outline of a single unpaved northwest/southeast runway,
but did not label the field.

The 1939 USGS topo map (courtesy of Rex Ricks) showed the “Fort Devens Airport” in its expanded configuration,
with 3 paved runways, taxiways, a paved ramp, and a large hangar.
Fort Devens was expanded in the pre-WW2 period, and it was at this point that the Fort reportedly "gained" its own airfield,
but this was apparently just an expansion of the already-extant airfield at this location.
This newly-expanded airfield was completed in 113 days, at a cost of $680,000
(according to the book "Images of Fort Devens" by William Graig, courtesy of Ron Titus).
The airfield became home to the 152nd Observation Squadron.

The earliest photo which has been located of Ft Devens Airfield was a May 1941 aerial view looking south (from the MA Aeronautics Commission).
It was evidently taken during construction of the field's paved runways, and the hangar was visible in the foreground.

A 1941 photo of Ft. Deven's main hangar being constructed by the John Bowen Company (courtesy of the Fort Devens Museum, via Ryan Keough).

A postmark (courtesy of Kevin Carruth) commemorated the 7/15/41 Dedication of “Fort Deven's Airport”.

An undated photo of 2 L-16s of the 152nd Observation Squadron at Fort Devens (courtesy of Ron Titus).
During 1942-1943, the Army based liaison & photo-reconnaissance squadrons at the field.
Fort Devens AAF was described by the 1944 US Army/Navy Directory of Airfields (courtesy of Ken Mercer)
as having a 5,200' hard-surface runway,
but the remarks said, "On standby status - no Army operations."
In 1944, the Army withdrew from the field & turned it over to the Navy.
They named the facility Ayer Naval Auxiliary Air Station.
It was used to support training operations at Squantum NAS.
Carrier Air Groups 4 & 83 were based at Ayer during 1944.
The Navy aircraft also used Beverly Airport as a bounce field.

"Ayer (Navy)", as depicted on the November 1944 Boston Sectional Chart (courtesy of Chris Kennedy).

A WW2-era National Archives aerial view looking southeast at Ayer Naval Auxiliary Air Station.
Ayer was still depicted as an active Navy airfield
on the November 1944 Boston Sectional Chart (courtesy of Chris Kennedy).
The Navy discontinued their use of Ayer NAAS at some point between 1944-46.

A circa 1946 USAAF “plan of the Fort Devens Airfield (National Archives, courtesy of Ron Plante).
As part of the postwar demobilization, the Army deactivated Fort Devens in 1946,
but then reopened it again in 1948.
The November 1954 Boston Sectional Chart (courtesy of Chris Kennedy)
depicted "Ayer AAF" as having a 5,200' hard surface runway & a control tower.

The field was evidently renamed "Fort Devens AAF" at some point between 1954-59,
as that is how it was labeled on the 1959 Boston Local Aeronautical Chart (courtesy of Chris Kennedy).
The Aerodromes table described the field as having 3 paved runways, with the longest being 5,200'.

The 1960 Jeppesen Airway Manual (courtesy of Chris Kennedy
depicted Ft. Devens AAF as having a single 3,745' paved Runway 14/34,
along with 2 small 450' helicopter runways at the northeast corner of the field.
Two other former runways (oriented north/south & east/west) were still depicted, but were labeled as closed.
A single hangar was depicted on the ramp on the north side of the field.

Devens AAF, as depicted on the 1968 Boston Sectional Chart (courtesy of Mike Keefe).
Leigh Hettick recalled, "I was an air traffic controller at Moore Army Airfield during late 1970 to early 1971.
The airfield was upgraded in the early 1960s with a new tower & GCA approach.
When Vietnam started up, most of the aircraft based there were Piasecki HU-21s.
They went to Vietnam never to return.
When I arrived fresh from Vietnam, our base flying club had more aircraft there than the Army [did].
The Army had a couple of U-10 Helio Couriers, UH-1 Hueys, and Beech C-45s."
Leigh continued, "While I was there, to keep our controller skills sharp & prevent us from going nuts from boredom,
we worked up a deal with Hanscomb Field to allow their aircraft use of our field for training.
At that time, 10th Special Forces was based at Ft Devens,
so we regularly had C-130s come in for parachute jumps.
On several occasions the Air Force C-130s got confused & were talking with us
while they were wheels down for landing at the nearby Fitchburgh airport."

A 1971 aerial view showed that the only aircraft visible on Devens AAF were 3 single-engine light aircraft (presumably flying club planes).
Dean Charron recalled, “I was stationed from 1974-75 at Moore AAF.
At one end of the field was a vintage Aero Commander that was rumored to belong to President Eisenhower.
The airplane belonged to the Ft. Devens flying club but never flew because it had a bad engine.
It was also rumored that the airplane had belonged to the Civil Air Patrol & had also been used as a jump plane.
I used to look into the window of that plane back in the 1970s & wish I could fly it but the club never got it running.
A [Beech] Queen Air, also known as a U-8, was flying while I was there. There was CW-3 Raleigh who was the main pilot.
I was working one day when this plane lost an engine shortly after departing -
there's an old saying with the Queen Air: 'The second engine is there to get you to the crash site quicker!'
I would bet this airplane was left behind as obsolete & scrapped for fire practice.”
Bob Mitchell recalled, “I found myself stationed at Fort Devens in 1976.
I was assigned to the 10th Special Forces Group
and made many many trips in & out of there in C-130s -
mostly one-way trips for parachute drops over at Turner Drop Zone.”
Bob Mitchell continued, “In the aerial pictures, there is a white building that is to the northern most point on the airfield.
That building was the 'Rigger Shed'.
All parachute rigging was done there - also, prior to most jumps, pre-jump training was conducted there.
There was a 'Mock Door' area & parachute landing fall platform.
For the mock door - a group of parachutist would all go in to the little building – about the size of a bus -
sit down on the benches - await the commands to 'Stand Up', 'Hook Up', etc.
Then the command to 'Go'.
We would all come shuffling out the door, drop the 18 inches or so & count to 4,
then look up to see if our imaginary parachute had opened (what can I say - this was the Army).
Once the jump was completed, we would be trucked back to from Turner DZ to that same white building
where we would hoist up our parachutes in the tall tower connected to the building
(it must have been at least 60 feet tall)
and shake the debris out of the chutes (stick, rocks, leaves, rabbits, etc.).”
At some point after 1976, the airfield was renamed Moore AAF,
in honor of Ayer native Chief Warrant Officer 2 Douglas Moore.
Bob Mitchell recalled of Doug Moore, “I went through Basic Training with him in 1968.
I met his mother... she told me that the way Doug died was by small arms fire during a landing to a hot LZ -
he was piloting and had just touched down when a round hit him in the head.”
During its later years, Moore was used by the Hanscom AFB Aero Club.
Jeffrey Geibel recalled that "I got my Private license at the Ayer AAF at the Fort Devens Aero Club in 1976-77.
As an instructor at the Hanscom AFB Aero Club (1986-95),
we used to use Ayer AAF until it closed."
A 1978 aerial view showed a number of helipads had been laid out on the ramp at some point between 1971-78.
Mark Wilkinson recalled, "From the early 1980s through it's closure,
I flew a C-12 (military King Air) into Moore AAF a few times a year.
There was an oil painting of CW2 Moore in the operations building lobby.
To my knowledge, this is the only major AAF named after a Vietnam KIA (killed in action)."

An undated patch from the Moore AAF Crash, Fire, and Rescue Department.

A 1980 aerial view of Moore, from a government aerial survey (courtesy of Jonathan Westerling).
Note the 2 small helicopter runways which have been added at the northeast corner.
John Gamel reported in 2004, "I was an FBI Agent assigned to the Boston Office between 1979-2001.
We started Boston FBI Firearms training at Fort Devens in the Fall of 1985,
and the training continues there to this day.
From the point of view of the airfield, I recall that when the 10th Special Forces were still active,
C-130s would fly into the Fort Devens field, pick up parachutists,
then drop them in what was called the 'Turner Drop Zone' in the south post area of Fort Devens.
When the C-130s would fly toward the zone from the West,
Range Control would call the ranges & have us all cease firing for a period.
We would then watch the parachutists float to the ground, then resume firing.
In terms of timing, I think the parachute drops continued until maybe 1991, and then the 10th Group departed.
During this period, some UH-1 helicopters operated out of the airfield,
and we would see them over the south post flying perhaps ten feet above the utility lines
running along the range road in the South Post area.
Every once in a while, one of the UH-1 helos would take some of the parachutists pretty high up,
and they'd do what is called a HALO jump. Very interesting stuff."

The last aeronautical chart depiction which has been located of Moore AAF
was on the December 1992 Boston Terminal Aeronautical Chart (courtesy of Gwen Shafer).
It depicted Moore as having 3 paved runways, with the longest being 4,700'.

The 1994 Jeppesen Airport Directory depicted Moore AAF as having a single 4,681' paved Runway 14/32.
Fort Devens was eventually downgraded from an active base to the Devens Reserve Forces Training Area.
The airfield was apparently declared excess when the base was downgraded,
and was closed sometime between 1995-2000.
By the time of its closure, 2 of the original 3 runways had been abandoned,
and the longest runway was still maintained (14/32, approximately 4,700 ft long).
There were also 2 helicopter runways (2/20 & 15/33, each approximately 500 ft long)
located at the NE corner of the airfield.
A 2002 photo by Jonathan Westerling of the former Moore AAF gate, now a State Police driver training facility.

A 2002 photo by Jonathan Westerling of an abandoned hangar & tower at Moore AAF.
Jonathan Westerling visited the now-closed airfield in 2002,
and observed that it is now used by the MA State Police as a driver training facility.
"There is also a lot of army hardware behind fences.
The runways are still largely intact, and no buildings have been built on the airfield."
John Gamel reported in 2004, "As you may know, Fort Devens is now called 'Devens'
and is the home to an industrial park, as well as a Federal Prison hospital."

A circa 2006 aerial view looking north at the Moore AAF hangar, control tower, ramp, and runways.

A January 2007 photo by Dave Westerling (courtesy of Jonathan Westerling) looking south
at the fuselage of a military Beech U-8 Queen Air near the end of Runway 14.
According to Dave, “The fuselage is used by the state police for search & rescue training.”
Dean Charron believes this was the Queen Air which he witnessed having an engine failure after takeoff from Moore AAF.
According to Jonathan Westerling, “They are discussing how to put an industrial park over the runways at Moore AAF.”

A 6/12/11 photo of the Moore AAF control tower & hangars.

A 2016 aerial view looking north showed Moore AAF remained completely intact, including a hangar with “Moore AAF” still painted on its roof.
____________________________________________________
Or if you prefer to contact me directly concerning a contribution (for a mailing address to send a check),
please contact me at: paulandterryfreeman@gmail.com
If you enjoy this web site, please support it with a financial contribution.
____________________________________________________
This site covers airfields in all 50 states.