Abandoned & Little-Known Airfields:
California: Oakland area
© 2002, © 2026 by Paul Freeman. Revised 2/20/26.
This site covers airfields in all 50 states: Click here for the site's main menu.
____________________________________________________
Please consider a financial contribution to support the continued growth & operation of this site.
For a 10th year, the CA pages of this website are sponsored by the California Pilots Association:
Alameda Airport / Benton Field / Alameda NAS (revised 2/20/26) - Benicia Airport / Benicia Air Harbor (revised 6/11/25) - Berkeley Airport (revised 2/4/24) - Byron Airpark (revised 5/13/18)
Concord NWS Airfield (revised 2/20/26) - Diablo Air Mail Terminal / (Original) Concord Airport (revised 11/17/18) - Discovery Bay Airport (revised 9/14/19)
Downtown Oakland Heliport (added 12/15/23) - Durant Field (revised 1/31/24) - Hookston Field / Sherman Field (revised 6/13/25) - KnightsAirport / Stan's Airpark (revised 6/11/25) - Mare Island Naval Shipyard Airfield (revised 1/31/21)
Martinez Airport (revised 12/15/23) - San Francisco Bay Airdrome (revised 5/1/24) - San Leandro Airport (revised 2/1/24) - Vallejo Airport / Mini Airport (revised 10/24/25) - Vallejo Sky Harbor (revised 10/24/25)
____________________________________________________
37.751, -122.19 (Southeast of Downtown Oakland, CA)

An artist's conception of Durant Field from the 9/28/19 Oakland Tribune (courtesy of Jonathan Westerling).
Jonathan Westerling reported, “Before Oakland's present-day airport was even conceived, a playboy & racecar driver built an airfield in the city & succeeded in igniting local excitement about aviation.
Durant Field was the creation of Russell 'Cliff' Durant, son of William Durant who was co-founder of GM & Chevrolet.
In his 20s, Cliff was appointed Vice President of Sales for the automobile manufacturer's Oakland dealership.
But Cliff's real passion was in the daring world of racing & flying. In 1919, he bought land for a flight school & airport on the southeast outskirts of the city.
Durant's Field is frequently & mistakenly said to be located in San Leandro, however this was not the case.
The airport was between 80th & 83rd Avenues (near San Leandro Boulevard ) in the city of Oakland.”
In his book, “Aviation in Northern California 1919-1939”, Allen Herr describes in great detail the beginnings of the airport:
"Cliff Durant had grandiose plans for his flying venture. He wanted to create one of the largest airplane companies in the world.
He planned to create a company specializing in the sale & service of aircraft and, most ambitious of all, to transport passengers between cities by airplane.
The Durant Airplane Corporation was organized in September 1919 & planned to start operation by October 1.
Durant claimed he would have enough planes available for intercity passenger service.
By November 1, he said he would have prepared a permanent rate schedule determining the cost of such air travel.
On 1/1/20, Durant stated he would have the biggest & best aircraft available for the number of expected passengers. His plans for aircraft sales & service, he reported, would dwarf his transportation business.
Durant's hangars were painted blue with white roofs & all of his planes in service were white with blue trim, his company colors.
Durant developed his airport & began promoting flying in the East Bay.
One of his earliest promotions was awarding an airplane ride at Durant Field to the first man & woman to sell 12 Oakland Tribune newspaper subscriptions.
Durant's chief pilot, F. E. Harding, took the winners, Myrtle Hansen & Lewis Smith, for a flight 10/18/19."
Jonathan Westerling reported, “The best description of Durant Field came from the official pilot's notes given to airmail pilots in 1921 by the federal government (as reprinted in Skyways: The Journal of the Airplane #8):
"At mile 177 [from Reno] Durant Field, Oakland, On the eastern side of San Francisco Bay. The field runs almost due east & west & has a hangar, wind indicator, and T laid out on it.
By coming in from the east over the hangar an unobstructed run of about 2,000' is obtained. North & south the field is rather narrow & somewhat rough. All supplies necessary for reservicing [sic] a ship may be obtained here."
The earliest depiction which has been located of Durant Field was a full-page graphic at the front of the Automotive Section of the 9/28/19 Oakland Tribune (courtesy of Jonathan Westerling).
It depicted Durant Field as a square property on the northeast corner of Snell Street & 83rd Avenue, with hangars along the north, east, and south sides.
The promotion included pictures of locals - including Cliff Durant's mother - all of whom had just taken their first flight with him in his biplane.
Jonathan Westerling reported, “With his airport in full operation, and his Flight School underway,
Durant began to promote his endeavors with numerous aerial circuses, contests with flights for the winners, and flying stunts in the air all around the region.”
Jonathan continued, “In the summer of 1920, Durant Field was the the western terminus of a well-publicized flight demonstrating several all-aluminum Larsen JL-6 monoplanes (the American version of the Junkers F13).”
According to a flight logbook (courtesy of the Auburn University Libraries) kept by manufacturing magnate E. E. Allyne who was a passenger on the journey,
the purpose of the trip was: "Inspection of proposed aerial mail route & initial coast-to-coast mail flight.”
However it is not clear whether any mail was carried on the trip, and most historians cite a flight exactly one month later - which terminated at San Francisco's Marina field - as the actual inaugural flight of the transcontinental air mail service.
According to additional research by Allen Herr, the August 1920 flight that landed at Durant Field "had three basic purposes:
The first was as part of the Army Air Services Pathfinder flights which were carried out over the entire US during 1919 & 1920.
Also the Army had just bought one of Larson's JL-6 planes & wanted to carry to try it out on a long-distance flight.
The second purpose was that Larson wanted to demonstrate to [WW1 Ace Eddie] Rickenbacker that the JL-6 was capable of carrying passengers on a long flight successfully & comfortably; it truly was an airplane ahead of its time.
Rickenbacker & Larson wanted Allyne along, hoping to prove the plane's suitability as an airliner. They wanted [Allyne] to manufacture the plane in the US at his aluminum factory.
Larson also was delivering one of the JL-6s to Mercury Aviation in Los Angeles.
The third purpose, was for Maj. Lent [Superintendent of the Air Mail Service] to come along & observe the suitability of airfields across the country to handle the 8 JL-6s the Post Office had purchased for the Air Mail Service.
He also wanted to see how the JL-6s handled the long flights (they turned out fire-prone & couldn't be used).
Judging from the log entries once they reached San Francisco Bay, fog covered the city & they landed at [Durant Field in] Oakland.
You could say that a fourth purpose of the flight was as a survey flight for the Air Mail Service."

An 8/9/20 photo of the landing of the transcontinental demonstration flight at Durant Field (courtesy of the University of Auburn Special Collections).

An 8/9/20 photo of crowds gathered for the the landing of the transcontinental demonstration flight at Durant Field (courtesy of Mark Taylor of the Buehl Collection).

An 8/9/20 photo (courtesy of the Oakland Public Library) of dignitaries gathered at Durant Field for the arrival of the transcontinental demonstration flight.
Left-to-right in front of the JL-6 are: Oakland Mayor John Davie, E.E Allyne, Eddie Rickenbacker, John Larsen, Bert Acosta, Postmaster J. J. Rosborough, and Major L.B Lent.

A 1920 photo of Cliff Durant in front of an unidentified biplane & a hangar at Durant Field (courtesy of Mike Grasha).

The only map depiction which has been located of Durant Field was on the 1920 Army Aerial Map (courtesy of Jonathan Westerling).

An undated aerial view (courtesy of Kevin Walsh) depicted Durant Field as a rectangular area with hangars along one end, and a paved runway or ramp extending at an angle.

A 1921 photo of a Jacuzzi J7 monoplane at Durant Field (from the Herrington-Olson Collection, via Kevin Walsh).

A circa 1921 photo of a Jacuzzi J7 monoplane at Durant Field (from the Smithsonian, via Kevin Walsh).

A circa 1921 photo of a Jacuzzi J7 monoplane being modified at Durant Field (from the Herrington-Olson Collection, via Kevin Walsh).
Jonathan Westerling reported, “In his autobiography, WW1 aviator Eddie Rickenbacker noted that he reunited with Cliff Durant in 1920 after Rickenbacker became involved with General Motors' Sheridan Division.
By March 1921 Cliff Durant appointed Eddie Rickenbacker director of Durant Field.”
According to Aviation in Northern California 1919-1939, "Eddie 'dropped a bomb' on the San Francisco aviation community in early March 1921.
He told the press he was granting the request of Major Tomlinson to use Durant Field as the western terminus for the Transcontinental Airmail service.
Several days before Eddie Rickenbacker made his announcement to the press, [Air Mail pilot Stanhope] Boggs, on another run to Reno,
flew low over Durant Field, at East 14th & 82nd Avenue, and dropped Tomlinson's request to Eddie Rickenbacker.
Rickenbacker had become a dedicated advocate of putting the mail terminus on the continental side of the Bay.”
He told the press, "Wind & fog, as well as other undesirable conditions, have given the Marina [Field] a reputation as one of the most dangerous landing fields in the country.
Every pilot who has experienced those conditions fears the Marina Field.”
He also stated Durant Field was building new hangars & the runway would be macadamized (paved) its full length - very unusual for the period.
However in the end, the Air Mail Service ended up moving from Marina Field to San Francisco's Crissy Field in September 1921, and Durant Field never got paved.

A 1921 aerial view of Durant Field from the “Flying Guide & Log Book” (courtesy of Jonathan Westerling) showing 7 biplanes.
It described Durant Field as having a 2,300' runway, and consisting of 73 acres.

A 1921 photo of Earl Cooper's Curtiss Oriole biplane, presumably at Durant Field (source unknown).
Durant Field was listed in the 1923 Airplane Landings as being a commercial airport measuring 2,000' x 1,300', marked with a white circle.
Durant Field was not depicted on the 1923 USGS topo map.
Jonathan Westerling reported, “Eventually, Durant lost interest in the airfield & moved on to focus on his racing career (he placed a respectable 7th in the 1923 Indianapolis 500).
According to an article in the 9/1/77 Oakland Tribune, real estate records show that 20 acres of Durant field were sold to the Victor Company in 1923.
Durant sold the rest of the land to real estate developer G.B. Hengen in 1924.
It is presumed the airport operations wound down at this point, since around this time the Oakland Chamber of Commerce formed an aviation committee from its membership
to search for a suitable new municipal airport site which would endeavor to continue the aviation enthusiasm that had been fostered at Durant Field."
Durant Field was not depicted on the 1928 USGS topo map or the May 1933 San Francisco Sectional Chart.
A 1946 aerial photo showed no trace remained of Durant Field, with multiple buildings having covered the site.

A 2022 aerial photo showed the site of Durant Field covered by dense buildings.
Thanks to Jonathan Westerling for pointing out this airfield.
____________________________________________________
San Leandro Airport, San Leandro, CA
37.709, -122.133 (Southeast of Oakland, CA)

San Leandro Airport, as depicted on the 5/28/29 Commerce Department Airway Bulletin (courtesy of Jonathan Westerling).
Jonathan Westerling reported, “The city of San Leandro had its own airfield for a short time before the depression.
There are several references to an airport in San Leandro as early as 1923.
An 'Emergency' airfield was listed in the US Touring Information Bureau directory as well as in Aeronautical Bulletin #145.”
A biography of Kennth Wayne Nesse on dmairfield.org noted that "In 1928 Kenny became chief pilot for Consolidated Aircraft Corporation in San Leandro where he gave flying lessons.
Flying in an Alexander Eaglerock [serial number] 1854."
San Leandro Airport was not yet depicted on the 1928 USGS topo map.
Jonathan continued, “A more substantial airfield for San Leandro was constructed in 1928 according to a reference in the June 1928 Aero Digest magazine.
The airfield was complete by 1929 as it was listed in both the Landing Fields of the Pacific West & in Aeronautical Bulletin #639.”
The airfield was described as being a commercial airfield operated by the Consolidated Aircraft Corpoation (note, this was not the same company which later became Convair in San Diego).
The airfield was described in the 1929 Landing Fields of the Pacific West as being 1,800' x 1,000' in size & located 1 mile east of San Leandro, 6 miles southeast of Oakland Airport, 3 miles west of Lake Chabot.
There were hills & a highway on its northwest side, high power wires on its east side, and an orchard on its south & west sides.
Three hangars had been built on the southeast side & landing lights were located on the west side, midfield.
The 1929 Airway Bulletin listed the length of the runway as being larger: 2,800'.”
The earliest depiction which has been located of San Leandro Airport was in the 5/28/29 Commerce Department Airway Bulletin (courtesy of Jonathan Westerling).
It described San Leandro Airport as a commercial airport owned & operated by the Consolidated Aircraft Corporation.
It was said to consist of a 36 acre irregularly-shaped plot having one 2,600' runway,
with 10 private hangars on the southeast & a large hangar on the east.

The earliest aeronautical chart depiction which has been located of San Leandro Airport was on a 1929 Flight Chart (courtesy of Kevin Walsh).

The back of the 1929 Flight Chart (courtesy of Kevin Walsh) depicted San Leandro Airport as a narrow property having a 2,600' northwest/southeast runway, with a shop & hangar on the east side.
Kevin Walsh observed, “The diagonal street with tracks at the lower-left would be the main drag & old state highway, East 14th Street, with its streetcar line connecting Oakland to Hayward.
The hospital at the right would be Fairmont Hospital, and so the street running from center-bottom to center-right is 150th Avenue.
The road running on the east side of the field with the distinctive crook in it is (naturally) Foothill Boulevard, which generally divided the flatlands from the hills.”
According to a staff correspondence in the 1929 Aeronautical Industry Volume 8, the Consolidated Aircraft Corporation of San Leandro changed its name to the "West American Aircraft Corporation”.
Presumably this was to avoid confusion with the larger & similarly-named company in Buffalo, NY.
The same article noted that the company was planning on purchasing additional equipment & make improvements to its landing field.

A 1930 photo courtesy of Kathyanne Christine of her 10 year old father Clayton Buckley in front of a biplane (model undetermined) marked of the West Coast Flying Club, San Leandro Airport.
According to an article in the 1930 Aero Digest magazine, an unlicensed pilot was arrested at San Leandro Airport:
"We published an announcement recently concerning the Sheriff of Alameda County, who had a posse with which he pursued unlicensed pilots who landed within his domain.
At San Leandro one James Canavan who committed the mistake of flying without proper credentials, inadvertently landed on the local airport only to find himself chased by the limb of the law & hauled into court.
He was sentenced to serve 125 days in jail, or pay a fine of $250. He said he would pay the fine.
His arrest came about after he had crashed an old 'Jenny' with which he was wobbling about the sky."
The San Leandro Airport was short-lived, presumably due to the depression's impact on its operator.
A note in the 5/1/30 Commerce Department Airway Bulletin indicated that the San Leandro Airport was no longer in operation.
However San Leandro Airport was still listed in the 1931 Pilot's Handbook as having an 1,800' runway.

The last depiction which has been located of the San Leandro Airport was on a 1932 map.
A 1936 aerial photo showed no trace remained of San Leandro Airport,
nor was it depicted on the 1939 USGS topo map or a 1944 Thomas Brothers map (courtesy of Kevin Walsh).

A 2022 aerial photo showed the site of San Leandro Airport covered by dense housing.
Thanks to Kathyanne Christine for pointing out this airfield.
____________________________________________________
Downtown Oakland Heliport, Oakland, CA
37.801, -122.265 (Downtown Oakland, CA)

A 1961 diagram of proposed helicopter routes, including Downtown Oakland (courtesy of Jonathan Westerling).
Jonathan Westerling reported, “A 1/11/61 Oakland Tribune article foreshadowed helicopter service by a new business, San Francisco & Oakland (SF&O) Helicopter Airlines,
who was seeking approval to begin operations linking locations around the San Francisco Bay Area.
One of the areas to be served was Oakland, and the airline began inquiries into various downtown locations from which to operate.
The Oakland Port Commission, who operate the Oakland Airport, were initially skeptical fearing that travelers would use the service to ferry across the bay to San Francisco instead of their airport.
But their objections were soon mitigated & the Port decided to support the airline's operations which began in Downtown Oakland on 6/1/61.”
In the August 1961 Airman's Information Guide, a temporary heliport is noted to have been constructed adjacent to Lake Merritt & the Oakland Convention Center.
This location was used for several years while the final location for the heliport was being determined & constructed.
According to a 1/19/64 Oakland Tribune article, the final location for the downtown heliport was selected to be the recently completed Alameda County (ALCO) Parking Garage which had been designed with a helipad on top.
The Port of Oakland invested $150,000 of additional improvements to the structure to facilitate the helipad becoming suitable for public use.
To use the new heliport, the FAA initially required twin-engine helicopters: "The objection of the FAA was centered around the lack of emergency landing areas in the event of a failure of a single-engine craft.
There is no objection to twin-engine operation. Mike Bagan [president of SF&O Helicopter Airlines] said that his' organization's experts are currently locating emergency sites & may be able to prepare them to suit the FAA in less than a year's time."
According to a 1964 timetable for SF&O Helicopter airlines, the one-way fare flying downtown Oakland to SFO was $8.50. When booked with a partner airline, however, the fare was reduced to $5.50 .
According to his testimony before the US Senate's Aviation Subcommittee on the Helicopter Air Service Program,
Mike Bagan noted that "On 3/1/65 we inaugurated service to a new rooftop heliport in downtown Oakland.
The heliport is atop a 120' high municipal garage with express elevator service & constitutes the first scheduled helicopter rooftop passenger service in the world."
According to https://localwiki.org/oakland/Heliport, the elevator in the parking garage even has an "H" button which took passengers up to the heliport waiting area on top.


A 1966 SFO Airlines helicopter route map, including Downtown Oakland (courtesy of Jonathan Westerling).
A 1966 Oakland Tribune article detailed a petition by residents of apartment buildings near the heliport who asked that the operations be moved due to the noise from the Sikorsky copters.
Even though the service was well utilized, there were complaints about the helipad's location.
The Downtown Oakland Heliport was evidently not depicted on 1960s/70s San Francisco Sectional Charts.
The 1967 AOPA Airports USA listed the Downtown Oakland Heliport as private & having a 136' x 100' paved landing area at 119' elevation.

The Downtown Oakland Heliport, as depicted on the 1968 USGS topo map.
According to IMDB.com, the end of a 1975 episode of the Streets of San Francisco "Laborynth" (S3.E22) was filmed at the Downtown Oakland Heliport.
Jonathan Westerling reported, “Several people who worked at SFO Helicopter Airlines have noted that it was severely impacted by a mechanic's strike in 1976 & collapsed, liquidating its helicopters & ceasing all operations.
This was the last scheduled passenger service from the Downtown Oakland heliport, though it remained open as a private helipad.”
According to a 12/2/76 Oakland Tribune article, despite some objections, apparently the helicopter service was popular enough that a possible successor, Pacific Seaboard Helicopter Airlines,
was chastised by the Oakland City Council for not including the Downtown Oakland heliport in the business plan proposed to the CA Public Utilities Commission.
The Downtown Oakland heliport was still listed in the 1981 AIA Directory of Heliports.

A 1983 SFO Airlines helicopter route map (courtesy of Jonathan Westerling).
Jonathan Westerling noted that SFO Helicopter Airlines had been resurrected post-bankruptcy, and the route map depicted the Downtown Oakland heliport as a "Future Expansion" site,
but there is no record of helicopter flights returning to the helipad.

A 1993 aerial photo of the Alco Parking Garage, the site of the Downtown Oakland Heliport.
A 2002 aerial photo showed a yellow closed “X” symbol had been painted across the helipad symbol on the roof of the Alco Parking Garage.

The helipad symbol on the roof of the Alco Parking Garage was still quite evident as of a 2014 aerial photo.
Aerial photos from 2015 & subsequent years showed the heliport symbol was no longer evident on the garage roof.

A 2022 photo by Jonathan Westerling showed the illuminated windsock frame which remained on top of the Alco Parking Garage, former site of the Downtown Oakland Heliport.

A 2023 3-D aerial image looking north at the Alco Parking Garage, showing the yellow closed “X” symbol painted over the former Downtown Oakland Heliport.
Thanks to Jonathan Westerling for pointing out this airfield.
____________________________________________________
Berkeley Airport, Berkeley, CA
37.881, -122.308 (North of Oakland, CA)

Berkeley Airport, as depicted on the 1920 Army Aerial Map of the U.S. (courtesy of Jonathan Westerling).
The date of construction of the Berkeley Airport has not been determined.
The earliest depiction which has been located of Berkeley Airport was on the 1920 Army Aerial Map of the U.S. (courtesy of Jonathan Westerling).
Jonathan Westerling reported, “In December 1922, Airmail pilot Harry Huking logged that the Berkeley Airport was maintained as an 'emergency' airport with a 2,000' east/west unpaved runway.”
It was initially located on the east side of the 4-track main-line railroad along the San Francisco Bay.

The initial location of Berkeley Airport to the east of the railroad was depicted on the 1924 U.S. Army Strip Chart (courtesy of Jonathan Westerling).

“Berkeley Air Field”, as depicted on a circa 1926 Thomas Brothers map (courtesy of Kevin Walsh).

The initial location of Berkeley Airport to the east of the railroad was depicted on the 1927 U.S. Army Strip Chart (courtesy of Jonathan Westerling).
Jonathan Westerling reported, “In 1928, Berkeley Airport was relocated immediately to the west side of the same railroad tracks.
This location was on recently filled-in baylands & thus likely flatter & more open than the previous field which was even in the 1920s already surrounded by development.”

The 1929 Landing Fields of the Pacific West (courtesy of Jonathan Westerling) described Berkeley Airport as having a 1,500' unpaved runway.
The September 1929 Aero Digest (according to Jonathan Westerling) noted the "newly-established Berkeley Airport".

Berkeley Airport, as depicted on the 1930 U.S. Army Strip Chart (courtesy of Jonathan Westerling).

The earliest photo which has been located of Berkeley Airport was a 10/10/30 photo of a biplanes (model unidentified) in front of a spectators (used with permission of the San Diego Air & Space Museum).
The February 1930 Aero Digest (courtesy of Jonathan Westerling) described Berkely Airport in detail: "Following the construction of a large hangar & the leveling of a 3,000' runway [a greatly inflated length; the actual runway length was half that at the time],
the Berkeley Aviation Service Limited has inaugurated a commercial flying service at the Berkeley Municipal Airport.
The flying field is located on the San Francisco Bayshore, 1 mile from the University of California campus.
Frank Pierce is General Manager & Harry Abbott is Chief Pilot. Five planes are used in air taxi & student instruction work."
Sadly, Berkeley Aviation Service would be Harry Abbott's last venture as his obituary later that year recounted the crash that ended his storied career:
An 8/16/30 article entitled “Famous Pilot Killed While Testing Ship, Harry Abbott Falls At Berkeley Airport” read:
“Harry Abbott, 30, well-known California pilot & former aviation advisor to the Chinese government. was killed today when the fast Navy pursuit plane he was flying went into a spin & crashed to the field.
A score or more bystanders saw Abbott take the ship up for a speed trial. As he banked for a landing, the plane, evidently striking an air pocket, fell into a flat spin & crashed from an altitude of 400', instantly killing Abbott.
A well-known aviation pioneer in California, Abbott was the first man ever to fly the China Sea, and he inaugurated several Chinese airlines.
He was an honorary Lieutenant Colonel in the Chinese Air Corps.”

An October 1931 aerial view (from the UCSB Library) depicted Berkeley Airport as an northeast/southwest unpaved airfield with several buildings on the east side.
No aircraft were visible on the field.
Berkley Municipal Airport was inactive for a short time for reasons unknown according an addendum to the 1931 Landing Fields of the Pacific West (according to Jonathan Westerling).
Berkeley Airport re-emerged with additional runways according to the 1932 Aeronautical Bulletin #2, which indicated 3 runways measuring 1,800', 1,100', and 900'.

“Berkeley Air Field”, as depicted on the 1934 CA Highway Survey (courtesy of Jonathan Westerling).
A 6/21/34 East Bay Gazette article (courtesy of Jonathan Westerling) reported, “Three twin-motored U.S. Army bombers, on a reconnaissance tour from March Field, landed at Berkeley Airport yesterday afternoon.
The planes are the largest ever to land here. A few hours after landing the planes took off for Hamilton Field.”

A circa 1935 aerial view looking east (courtesy of Kevin Walsh) depicted the Berkeley Airfield runway area at bottom-left, and the hangar (just in front of the smokestack).

A circa 1935 aerial view looking southwest (courtesy of Kevin Walsh) depicted the Berkeley Airfield hangar just behind the smokestack.

“Berkeley Air Field”, as depicted on a circa 1935 Thomas Brothers map (courtesy of Kevin Walsh).
The Bayshore Highway was depicted as under construction: the dashed line passing right through the Berkeley Air Field property.

The last aeronautical depiction which has been located of Berkeley Airport was on the 1935 San Francisco Sectional Chart (courtesy of Jonathan Westerling).

The last map depiction which has been located of Berkeley Airport was on a Shell 1936 street map (courtesy of Kevin Walsh),
which depicted “Berkeley Emergency Field (Airport)” as a property outline along the coast.
Berkeley Airport was evidently closed (for reasons unknown) at some point between 1935-36,
as it was no longer depicted on the 1936 San Francisco Sectional Chart or a 1937 street map (courtesy of Kevin Walsh).
A 1946 aerial view showed no recognizable trace remaining of Berkeley Airport, with the property covered by a large number of buildings & an expressway.

A 2022 aerial view showed no recognizable trace remaining of Berkeley Airport, with the property covered by a large number of buildings & an expressway.
Thanks to Jonathan Westerling for pointing out this airfield.
____________________________________________________
Mare Island Naval Shipyard Airfield, Vallejo, CA
38.089, -122.272 (Northeast of Oakland, CA)

A circa 1930 photo of a Vought FU-2 biplane (the 2-seat trainer version) from the USS Langley at Mare Island (courtesy of Dann Shively).
The Mare Island Naval Shipyard was established in 1853.
Dann Shively reported (sourcing information from "Side-wheelers to Nuclear Power" by Sue Lemmon & E.D. Wichels),
“After World War 1 a supply ship, the USS Jupiter, was sent to Mare Island for retrofit
and became the Navy's first aircraft carrier, renamed the USS Langley.
It served the fleet from 1922-36 helping to develop carrier aviation.
From 1922-25, Mare Island was the site of an air station, or what local newspapers referred to as such.
It was unpaved & unlighted; any air traffic was a rare event; not much of an air station.
Photographers stayed away from it so carefully that no decent pictures of it exists.”
According to the book "Two Hours By Crow" by Howard & Judith Campbell (courtesy of Wings of History),
“This 2,000' long dirt runway was on Mare Island between 1922-25.
The idea was that the land planes could use this strip & the float-planes could use the Mare Island Strait.
In 1923 the Minelayer CM-3 'Aroostook' put into Mare Island & set up equipment & a pair of canvas-over-wooden-frame hangars at the northwest end of the Naval base.”

An undated photo of a Curtiss JN-4 Jenny biplane at Mare Island (courtesy of Dann Shively).
According to Dann Shively, “Some of the very early aircraft carriers that came to Mare Island, such as the USS Langley & the USS Aroostook,
had no place to 'park' their small planes while the ship was undergoing overhauls so they used the airstrip.”

An undated photo of a Curtiss JN-4 Jenny taking off in front of the Mare Island Marine Barracks (courtesy of Dann Shively).

A diagram from the book "Two Hours By Crow" by Howard & Judith Campbell (courtesy of Wings of History), depicted Mare Island as having a single northeast/southwest runway, with canvas hangars on the southeast side.
According to Dann Shively, “It was hoped the small field could be expanded, but such hope faded in 1937, when Alameda was selected as the site for a naval base.”
There is no indication of any further aviation use of the Mare Island airfield.

An 8/25/37 USGS aerial view of Mare Island (from the UCSB Library) did not show any recognizable trace of an airfield.

A 2014 aerial view of the general location of the Mare Island Airfield, centered on the former Marine Barracks located at 13th Street & Flagship Drive.
Thanks to Dann Shively for pointing out this airfield.
____________________________________________________
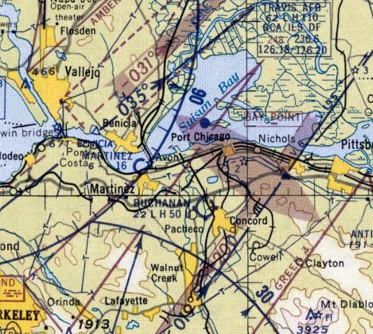
Benicia Airport / Benicia Air Harbor, Benicia, CA
38.075, -122.19 (Northeast of Oakland, CA)

Benicia Airport, as depicted on the 1948 San Francisco Local Aeronautical Chart (courtesy of Tim Zukas).
This small general aviation airport along the north bank of the Sacramento River was not yet depicted on the 1946 Sectional Chart (courtesy of Dann Shively).
According to the book "Two Hours By Crow" by Howard & Judith Campbell (courtesy of Wings of History),
“In 1946, when the runway was opened, there was no Federal Highway 780. Access to the field was along the same route, but it was the Vallejo-Benicia Highway with no number back then.
The field had two runways. Both runways were dirt & there was an office/hangar at about mid-field on the eastern side.
The short runway did not last too long because the marshy land to its northwest end limited any further development.”
The earliest depiction which has been located of Benicia Airport
was on the 1948 San Francisco Local Aeronautical Chart (courtesy of Tim Zukas).
It depicted Benicia Airport as having a 2,400' unpaved runway.

The 1950 USGS topo map (courtesy of Dann Shively) depicted Benicia Airport as having 2 runways on a narrow spit of land next to the wetlands, with one small building along the east side.
According to the book "Two Hours By Crow" by Howard & Judith Campbell (courtesy of Wings of History),
“In the 1950s, a pair of brothers taught flight instruction in their 4-seat Bellanca 14-13 Cruisair Sr., powered by a 6 cylinder 150hp Franklin 6A4-150-B3 engine.”

The 1955 CA Highways map (courtesy of Kevin Walsh) labeled the field as “Benicia Air Harbor”.

The last aeronautical chart depiction which has been located of Benicia Airport was on the September 1957 Sectional Chart.
It depicted Benicia Airport as having a mere 1,900' runway.

The earliest photo which has been located of Benicia Airport was a 1958 aerial view (from the UCSB Library, courtesy of Jonathan Westerling).
It depicted Benicia Airport as having a single unpaved northwest/southeast runway, with a few small buildings along the east side.
There was no sign of the previously-depicted crosswind runway.
Benicia Airport was evidently closed (for reasons unknown) at some point between 1957-58,
as it was no longer depicted on the April 1958 Sacramento Sectional Chart.

The last depiction which has been located of Benicia Airport was on the 1959 USGS topo map (courtesy of Dann Shively).
Benicia Airport was depicted in an unchanged fashion on the 1965 USGS topo map.

A 1965 aerial view (from the UCSB Library, courtesy of Jonathan Westerling) depicted Benicia Airport after it had evidently been abandoned,
with the runway still recognizable but deteriorated.
Benicia Airport was no longer depicted on the 1969 USGS topo map.
No trace of Benicia Airport was recognizable on a 5/22/72 USGS aerial photo.
At some point after the closure of Benicia Airport, the site was reused as a park named Benicia State Recreation Area.

An undated aerial photo from a park map (courtesy of Dann Shively) depicted the northern portion of an abandoned runway at the site of Benicia Airport.

A 2006 photo by Dann Shively looking south at the Benicia State Recreation Area, showing no trace remaining of Benicia Airport.

A 2023 aerial view showed no trace remaining of Benicia Airport.
The site of Benicia Airport is located south of the intersection of Route 780 & Rose Drive.
Thanks to Dann Shively for pointing out this airfield.
____________________________________________________
Martinez Airport, Martinez, CA
38.023, -122.133 (Northeast of Oakland, CA)

A 1937 photo of a hangar marked “Martinez Air Port”, with the radio mast visible in the background (courtesy of Dann Shively).
The 8/2327 Contra Costa Gazette contained an article on the front page saying that there is a "need in Martinez for a municipal airport."
The 1/30/28 Contra Costa Gazette added, "Martinez would be the only city in the state with an airport within its boundaries",
for which it proposed the "waterfront area now being reclaimed east of the municipal wharf.”
According to the book “Images of America: Martinez” (courtesy of Kevin Walsh),
“A deputy sheriff built the first hangar at Martinez Airport in 1933.”
According to the book "Two Hours By Crow" by Howard & Judith Campbell (courtesy of Wings of History),
“The airport was opened in July 1935, but its condition was not the best.”
Martinez Airport was not yet depicted on the May 1936 Sacramento Sectional Chart.
The earliest depiction which has been located of Martinez Airport
was a 1937 photo of a hangar marked “Martinez Air Port”, with the radio mast visible in the background (courtesy of Dann Shively).

A 1937 aerial view (from the UCSB Library, courtesy of Jonathan Westerling) depicted Martinez Airport as having a single southwest/northeast runway with a few small buildings on the west side.

A 1939 aerial view looking southeast showed Martinez Airport to have a single east/west runway with a few small buildings on the west side.
According to the book "Two Hours By Crow" by Howard & Judith Campbell (courtesy of Wings of History), “In 1939 the dirt runway was re-oiled & extended to 1,900'.”

An undated aerial view looking southwest (courtesy of Dann Shively)
showed Martinez Airport to have a single east/west runway with a few small buildings on the west side.

The 1940 USGS topo map (courtesy of Dann Shively) depicted Martinez Airport with the propeller symbol along the coast.
According to the book "Two Hours By Crow" by Howard & Judith Campbell (courtesy of Wings of History),
“In March 1941 the Gayway Building from the 1939 Golden Gate International Exposition on Treasure Island was moved here & re-erected.
This 75' x 65' building became the main hangar on the field.
A rented airplane made a night crash landing here on 1/16/41 when they didn't know the runway was under water.
Drainage & low wires were soon taken care of & the municipal field enjoyed a short life.
May 30, 1941 saw a major event on the field as they held the 'Contra Costa Defense Cavalcade' with 65 planes mustering on the site & 'attacking' the town that night.
The city was completely 'blacked-out' & the aerial assault began when search lights picked out the 'enemy' & mock machine gun fire opened up.
Realism was enhanced by the bomb explosions at the waterfront & the local Boy Scout Troops helped control the 'panicky' crowds.
It was reported that 10,000 residents & visitors viewed these Civil Defense maneuvers.
On 12/8/41 the Army closed down all flying within 150 miles of the Pacific Ocean; the Air Park was shuttered & locked.
Martinez Airport was not listed among active airfields in the 1945 AAF Airfield Directory (courtesy of Scott Murdock),
nor depicted on the February 1946 Sacramento Sectional Chart.
According to the book "Two Hours By Crow" by Howard & Judith Campbell (courtesy of Wings of History),
“The field reopened in 1946. Flying came back, rentals & repairs started up again & the field was back in business.”

The earliest aeronautical chart depiction which has been located of Martinez Airport was on the September 1946 Sectional Chart (courtesy of Dann Shively).
It depicted Martinez as a commercial/municipal airport.
Al Blachman reported of Martinez Airport, “Norm Spitzer worked as a flight instructor there after WW II.”
William Ludwig recalled, “The runway was a dirt strip running east & west located on the north side of downtown of Martinez next to the bay.
It had a single barn-like hangar on it & that was it. A friend I knew had an Ercoupe out there for awhile,
and a kid wanted one day to take it for a joy ride & crashed it. Wes Lewis was the owner of the plane.”

The 1948 San Francisco Local Aeronautical Chart (courtesy of Tim Zukas) depicted Martinez Field as having a 2,000' unpaved runway.
According to the book "Two Hours By Crow" by Howard & Judith Campbell (courtesy of Wings of History),
“Weaver Slape took off in the fog one morning in 1949 for a trip to Reno. Thinking he would get above the fog, he banked a bit too soon & a wing hit the water.
Weaver had never learned to swim but, 'I taught myself to swim that morning.' The Aeronca is still in the river & Slape is the 'only Flying Club member that sunk an airplane.'”

The 1950 USGS topo map depicted Martinez Airport as having a single northeast/southwest runway,
with a few small buildings on the west & southwest sides, and a radio tower on the south side.

The last photo which has been located of Martinez Airport was a 1950 aerial view looking north (courtesy of Kevin Walsh).
It depicted Martinez Airport as having an east/west runway with a hangar at the southwest corner.

A 1953 street map simply labeled Martinez as “Municipal Airport” (courtesy of Kevin Walsh).

The last photo which has been located showing Martinez Airport still intact was a 1957 aerial view (from the UCSB Library, courtesy of Jonathan Westerling).
The runway & hangars appeared to remain intact, but there were no aircraft visible on the field, so it is not apparent if it was still in operation by that point.
Martinez Airport was evidently closed (for reasons unknown) at some point between 1954-58,
as a 1958 aerial view (from the UCSB Library, courtesy of Jonathan Westerling) depicted the majority of the runway had been scraped away,
with only a taxiway & hangar remaining on the southwest side.

The last aeronautical chart depiction which has been located of Martinez Airport was on the March 1959 Sectional Chart.
It depicted Martinez Airport as having a mere 1,600' unpaved runway.
Martinez Airport was no longer depicted on the September 1959 Sectional Chart.
According to the book "Two Hours By Crow" by Howard & Judith Campbell (courtesy of Wings of History),
“By 1960 baseball, soccer, and bocceball fields moved in; now called Waterfront Park.”

A 2006 photo by Dann Shively looking east at Waterfront Park, not showing any trace of Martinez Airport.

A 4/16/13 aerial view showed no trace remaining of Martinez Airport.
As of 2014, street maps labeled the site of Martinez Airport as Martinez Waterfront Park.
The site of Martinez Airport is located northeast of the intersection of Joe DiMaggio Drive & North Court Street.
Thanks to Kenneth Wetherall for pointing out this airfield.
____________________________________________________
Byron Airpark (4Q5), Byron, CA
37.835, -121.636 (East of Oakland, CA)

The 1973 San Francisco Sectional Chart (courtesy of Jonathan Westerling)
depicted Byron Airpark as a private airfield having a 2,100' unpaved runway.
No airfield was yet depicted at this location on a 1938 aerial photos.
According to Rich Harrison, “The old Byron Airport... was built sometime during WW2 as an auxiliary training field
(possibly to support Concord Field training) and to support the Byron Hot Springs, which is adjacent to the field.
The Byron Hot Springs was a turn-of-the-century luxury resort that was used during WW2 as an interrogation facility for German and Japanese officers.
(I have heard that there was an airfield on the property some time prior to WW2 & was used by the Hot Springs.”
However no airfield in Byron was depicted on 1943/44/45 San Francisco Sectional Charts.
According to Rich Harrison, “The airfield was closed around the end of WW2.”
The Byron Airpark was not listed among active airfields in the 1945 AAF Airfield Directory (courtesy of Scott Murdock).
Byron Airpark was not yet depicted on a 1959 aerial photo.
According to Jonathan Westerling, the December 2000 Contra Costa County Airport Land Use Compatibility Plan
described the Byron Airpark as “a small, privately-owned, public-use airport which had occupied the current property... since the 1950s.”
According to the book "Two Hours By Crow" by Howard & Judith Campbell (courtesy of Wings of History),
“John & Emily Maggi purchased 124 acres of open pasture land from the Armstrong family on 12/30/64 & used it to open Byron Airpark.
The original plans for the field showed 3 runways. An east/west strip was to run from Armstrong Road to Brushy Creek but was not put in & Runway 14/32 alongside the pipeline was extended by relocating Brushy Creek.”
The earliest photo which has been located of Byron Airpark was a 1966 aerial view, which depicted it as having 3 unpaved runways.
The Byron Airport was not yet depicted on the 1968/75 USGS topo maps or the June 1968 San Francisco Sectional Chart.
The earliest aeronautical chart depiction which has been located of the Byron Airpark was on the 1973 San Francisco Sectional Chart (courtesy of Jonathan Westerling).
It depicted Byron as a private airfield having a 2,100' unpaved runway.
According to the book "Two Hours By Crow" by Howard & Judith Campbell (courtesy of Wings of History),
“The complex was changed to a public airport in 1973, then sold.”

The earliest photo which is available of Byron Airpark was a 4/11/74 USGS aerial view, which wepicted Byron as having 3 unpaved runways.

The 1975 San Francisco Terminal Chart depicted Byron Airpark as a private airfield with a 2,100' unpaved runway.
The 1976 AOPA Airports USA Directory (according to Jonathan Westerling) described Byron Airpark
as having 3 dirt runways, all 2,100': Runways 9/29, 4/22, and 14/32.
According to the book "Two Hours By Crow" by Howard & Judith Campbell (courtesy of Wings of History), “ Bay Area Skydiving moved onto the field about 1977.”
According to Rich Harrison, “I was a member of the Concord chapter of the EAA (393) in the mid 1970s to late 1980s.
One of the members was Bud. He & a couple of partners purchased the former airfield some time in the late 1970s.
They asphalted 2 of the 3 original runways & opened it up.
I flew out there in my Grumman Yankee many times for EAA activities, and to just stop in to say hi. Bud built a house adjacent to the airport.
They leased space for people to park their planes & put in Port-a-Ports.”
The 1979 AOPA Airports USA Directory (according to Jonathan Westerling) described Byron (4Q5) as a private airfield.
It was said to have 2 dirt runways in an 'X' pattern: 2,100' Runway 14/32 & 2,000' Runway 4/22.
According to Jonathan Westerling, “The little unpaved runways were home to modest flight operations through the 1980s.”
This included some student training, according to the NTSB Accident Database.
The 1981 San Francisco Sectional Chart (courtesy of Jonathan Westerling)
depicted Byron as a private airfield having 2 paved runways, with the longest being 2,100'.
According to the book "Two Hours By Crow" by Howard & Judith Campbell (courtesy of Wings of History), “The complex filed for bankruptcy in 1986.”
According to Jonathan Westerling, Contra Costa County records stated that “The Byron Airpark was purchased in 1986.
After its purchase, the County made some minor improvements to support operations at Byron Airpark
while the new County airport was planned & constructed just to the south.”
According to Rich Harrison, “When Antioch Airport was closing in the mid to late 1980s, the parachute operation moved to Byron & built their hangar.”

The 1987 Airports Guide (courtesy of Jonathan Westerling)
described Byron Airpark as a public-use airport which conducted ultralight operations.
It depicted the field as having a 2,800' paved Runway 14/32 & a 2,100' paved Runway 4/22.
Several buildings were depicted on the east & northeast sides of the field.

The last aeronautical chart depiction which has been located of the Byron Airpark was on the 1989 San Francisco Sectional Chart (courtesy of Jonathan Westerling).
It depicted Byron as having 2 paved runways, with the longest being 2,800', and also showed that skydiving operations had commenced.
According to the book "Two Hours By Crow" by Howard & Judith Campbell (courtesy of Wings of History), “Byron Airpark sold to the County in 1990.”

A 1993 USGS aerial view looking west at Byron Airpark depicted an amazing number (over 3-dozen)
of what appeared to be individual T-hangars on the east side of the airfield with 2 paved runways.
According to the Contra Costa County website, “In 1993 Contra Costa County broke ground on a new airport 2 miles south of Byron.”

An 11/1/93 aerial view by Ted Schroder (courtesy of Kevin Walsh) looking northwest at Byron Airpark (top of photo),
also showing the new Byron Airport under construction (bottom of photo).
According to the Contra Costa County website, “On 10/8/94 [the new] Byron Airport was dedicated.”
Presumably the old Byron Airpark was closed around the same time the new airfield opened.
According to the book "Two Hours By Crow" by Howard & Judith Campbell (courtesy of Wings of History), “Byron Airpark closed in 1995.
The pavement was ripped up & the land on the western side was turned into wetlands.”

The 1996 Pilots Guide to California Airports (courtesy of Jonathan Westerling)
still depicted the “Old Byron Airport (Closed)” adjacent to the new Byron Airport.
According to the 2004 book "Two Hours By Crow" by Howard & Judith Campbell (courtesy of Wings of History), “Bay Area Skydiving is still there in a hangar just about where the runways crossed.”

A circa 2006 aerial view looking north at the site of the Byron Airpark
showed that all of the pavement of the 2 former runways had been removed, along with all of the buildings.
Note the runway of the new Byron Airport on the right edge of the photo.

A February 2008 photo by Jonathan Westerling of a skydiver touching down on what used to be Byron Airpark's Runway 22.
Jonathan Westerling reported in 2008, “Today, aviation use of the old Byron Airfield continues to some extent
as the property is the Drop Zone for Bay Area Sky Diving.
A call to their receptionist revealed that they were well aware of the property’s prior use as an airfield.
She mentioned that they are sometimes removing bits of the old runway which poke up out of the ground.
She also stated that the last remnant of the prior airfield,
the segmented circle & runway indicator were lost in a grass fire a few years ago.”

A February 2008 photo by Jonathan Westerling of the windsock at the old Byron Airpark.
According to Jonathan, the windsock “has been restored by Bay Area Skydiving to indicate the wind direction on their drop zone.
The segmented circle which surrounded this windsock was constructed
out of a hundred or more white steel-belted tires which were burned in a recent grass fire.
The rock beyond the windsock is believed to be the remains of the base for the tetrahedron.”

A February 2008 photo by Jonathan Westerling of “All that remains of a building near the hangars of the old Byron Airpark.
The large hangar at the north end of the field was completely removed to make way for the construction of the new County Airport.”

A February 2008 photo by Jonathan Westerling, “Looking up the remains of Runway 32 at the Byron Airpark.
The pavement was plowed under when the airport was decommissioned.”

A February 2008 photo by Jonathan Westerling, “Looking West to the eastern end of Runway 4.”

A 2015 aerial view looking west at the site of Byron Airpark showed only the slightest trace of the outline of the 2 runways,
but a parachutist target symbol was still plainly apparent in the center of the site.
The site of Byron Airpark is located southwest of the intersection of Armstrong Road & Falcon Way, adjacent to the west side of the current-day Byron Airport.
____________________________________________________
Discovery Bay Airport, Byron, CA
37.891, -121.621 (East of Oakland, CA)

A 5/28/65 aerial photo of the Discovery Bay Airfield (from the UCSB Library).
Photo of the airport while in use has not been located.
This short-lived private airfield may have been related to the construction of the adjacent housing development.
The Discovery Bay Airport was evidently established at some point between 1959-65,
as it was not yet depicted at all on a 1959 aerial photo.
The earliest depiction of the airfield which has been located was a 5/28/65 aerial photo (from the UCSB Library).
It depicted Discovery Bay as having a single unpaved northwest/southeast runway,
but did not depict any buildings or other improvements.
Discovery Bay was not yet depicted at all on the 1966 San Francisco Sectional Chart (according to Chris Kennedy).

The earliest aeronautical chart depiction which has been located of the Discovery Bay Airfield was on the June 1968 San Francisco Sectional Chart.
It depicted Discovery Bay as a private airfield with a 2,400' unpaved runway.

Discovery Bay Airport, as depicted on the 1969 USGS topo map.
Dann Shively recalled, “When I first started flying in 1972 I tried to explore my local area from the air as much as possible.
I noticed a small strip on my Sectional Chart called Discovery Bay.
Although I never landed there, I flew over it from time to time in the early 1970s. Nearby is the Discovery Bay development.
It's a man-made series of waterways with all houses having direct water access.
It started small in the 1970s and has grown over the years into a city with more & more waterways being added.
On the southwest corner of the development sat the small dirt or grass field.
I always thought it was somehow connected to the development,
possibly as a place for prospective buyers to land to check out property.”

The last aeronautical chart depiction which has been located of the Discovery Bay Airfield was on the 1975 San Francisco Terminal Chart.
It depicted Discovery Bay as a private airfield with a 3,000' unpaved runway.
The only directory listing of the Discovery Bay Airport which has been located
was in the 1976 AOPA Airports USA Directory (according to Chris Kennedy).
It described the field as having a single 3,000' dirt Runway 15/33, and the field was said to be “Private, Closed to Public.”
The Discovery Bay Airport was evidently closed at some point in 1976,
as it was no longer depicted at all on the 1976 San Francisco Sectional Chart (according to Chris Kennedy),
nor on the 1976 USGS topo map (although it did depict the 1st stages of the adjacent housing development).
A 1979 aerial photo depicted the airfield in basically the same state as that seen in 1966.

A 1993 USGS aerial photo showed the remaining outline of Discovery Bay Airfield's 2 runways (oriented northwest/southeast & north/south), but there was no sign of any buildings.
Dann Shively reported in 2005, “In the last year or so a shopping center has been built on part of the property.
I flew over it today & you can still see part of the runway on the east side. Most likely that will soon be gone as development continues in the area.”

A 2005 aerial photo by Dann Shively looking north at the site of Discovery Bay Airport, showed the shopping center covering the western half of the property,
with the remains of the southeast portion of the runway still recognizable.

A 2005 aerial photo by Dann Shively looking northwest at the remains of the runway at Discovery Bay Airport.

A 2015 aerial view showed that a short portion of the southeast end of the Discovery Bay Airport runway remained barely recognizable.
The site of Discovery Bay Airport is located on the northwest corner of Route 4 & Bixler Road.
____________________________________________________
Knights Airport / Stan's Airpark, Vallejo, CA
38.13, -122.27 (Northeast of Oakland, CA)

A 1935 photo of Loren Barbour in front of an unidentified biplane at Knight Airport (courtesy of Jessie Barbour, via Dann Shively).
According to the book "Two Hours By Crow" by Howard & Judith Campbell (courtesy of Wings of History),
“How an airport could have existed out on these marshy banks of the Napa River is a mystery.
About 1920 someone put in the field, we have to assume his name was Knight.”
The 1933 Standard Oil Airway Bulletin #2 described the field as "Rectangular, 50 acres, dirt, level, natural drainage; hangars & pole line on southeast. Facilities for servicing aircraft, day only."
The earliest depiction which has been located of Knight's Airport was a 1935 photo of Loren Barbour in front of an unidentified biplane (courtesy of Jessie Barbour, via Dann Shively).
According to Jessie Barbour, her husband, Loren Barbour learned to fly at Knight's Airport.

The earliest aeronautical chart depiction which has been located of Knight Airport was on the May 1936 Sacramento Sectional Chart.
It depicted Knight Airport as a commercial/municipal airport.

A circa 1936 photo by George Low of his International F-17 at Knight Airport.

The earliest aerial photo which has been located of Knight Airport was a 10/9/37 aerial view (from the UCSB Library).
It depicted Knight Airport as having an unpaved northeast/southwest runway, with a small building on the south side.
The 1937 Standard Oil Airway Bulletin added, "Aviation fuel by truck from town, day only."
The 1941 Standard Oil Airway Bulletin changed the field's listed services as "No service."

The 1942 USGS topo map depicted Knight as an airport symbol (the propeller) along with the outline of property, but did not label the airport.

The September 1942 Sectional Chart depicted Knight Airport as an auxiliary airfield.
Knights Airport was evidently closed for a few years during WW2
(due to wartime security concerns & gas rationing, as was the case at many other small civilian airports during the war),
as it was no longer depicted on the August 1943 – February 1946 Sacramento Sectional Charts
nor listed among active airfields in the 1945 AAF Airfield Directory (courtesy of Scott Murdock).

At some point in 1946, it evidently reopened as "Stan's Airpark",
which was how it was depicted on the September 1946 Sectional Chart.
Bill McClinton recalled, “During WW2 as a kid I lived at 34 McNair Street, a couple of blocks from Stan's Airpark.
We called it Knight's I think. I went there frequently, made friends with a WW2 pilot who had a surplus BT-13.
'Helped' him polish it etc. The wing walk guy was known as 'Madman Page';
he had what I believe was a Stearman with clipped wings & a type R985 engine of 400 or 450 hp.
I remember the Mobil gas station either being built or being refurbished shortly after the war ended.
The airport, people & planes made an indelible impression.”
According to the book "Two Hours By Crow" by Howard & Judith Campbell (courtesy of Wings of History),
“When reactivated after World War II, pilots would notice that the approach of an airplane would send jackrabbits scurrying all over the runways.
In winter, after heavy rains or during high tide, the entire property would be under 2-3' of water, but the runways stood out like aircraft carrier flight decks - just stay on the pavement!
This must have been the 'natural drainage' the Standard Oil Company was talking about.”

A circa 1946-48 business card for Stan's Airpark (courtesy of Stan Woodman).
Stanley Glenn Woodman recalled, “I was born the son of Stanley Clarence Woodman.
My father either owned or leased & operated the subject airport in the years immediately after World War II.
He named it 'Stan's Airpark' after his own name. He offered flight instruction & charter services.
In 1945 my father took over the airport variously known as Stan's Airpark & Knight's Airport.
Until I saw the information & sectional chart information [on this website],
I had always assumed that my father had built the airfield known to me as Stan's Airpark.
The reason that I believed my father had built the airport is from recollections of what I had heard from my mother
and clear memories that I have of my father framing buildings on the site.
He was building either the hangar, or the burger & beer joint next to the airport (named Faoro's).
Burgers, beer, and shuffle board. I hung around there as a kid - great hamburgers, but don't know about the beer as I was too young.
Another reason is that I had a photo of him (or a worker) on a bulldozer grading the crosswind runway.
The caption on the photo reads 'building the crosswind runway at Stan's Airpark'.”
Stanley continued, “I have memories of my father taking me flying from the airport on its dirt strips.
Even after my parents separated, I hung around the hangar there.
There were always biplanes & other rag-wing aircraft of the era in the hangar, under various states of repair & being repainted.
The smell of the paint dope is strong in my memory,
and whenever I am in a hobby shop & smell model airplane dope, it transports me back to those times.
I recall a number of derelict aircraft on the field, including a couple of Texan AT-6s.
I used to climb around in them & envision myself fighting the enemy in aerial combat.
I also recall once an air show held at the field.
My mother sometimes talked of a wingwalker, who parachuted from the wing of a biplane at the air show.
On that occasion, the wind carried him into a tree or some other obstacle that kept him encumbered until rescued.”

A circa 1946-48 photo of the Mobil Oil service station, burger joint, and hangar at Stan's Airpark (courtesy of Stan Woodman).

A circa 1946-48 photo of the Stan's Airpark office (courtesy of Stan Woodman).
Stanley Woodman continued, “I vaguely recall that the airfield portion of the property was sold off around the time of my parents' divorce.”
It was still depicted as Stan's Airpark on the February 1947 Sacramento Sectional Chart.
According to a 1947 Vallejo Times Herald article (courtesy of Dann Shively),
“Completion of negotiations in the sale of Stan's Air Park, including 4 airplanes & equipment,
to Bill Taylor & Harold Harodyski for $67,000 was announced yesterday by F.E. Knight & Stan Woodman, the former owners.”
Dann Shively recalled, “It was known as Knight's as long as I knew it growing up.
In fact there was a large painted sign on the hangar facing the road that read 'Knight's' airport."

At some point in 1947, the official name of the field apparently reverted to Knights Airport,
as that is now it was labeled on the August 1947 San Francisco Sectional Chart.

The February 1948 San Francisco Local Aeronautical Chart (courtesy of Tim Zukas) depicted Knights as having a 2,300' unpaved runway.
A 1948 picture (courtesy of Dann Shively) of Harold Horodyski (Knight's Airport operator),
Al Shively (who had just soloed after just 1.5 hours of instruction), and Russ Moody (Al's instructor).
Dann Shively recalled, "Growing up in Vallejo, I remember as a child when Knight's Airport was still in operation.
My dad, in 1948, as a publicity stunt, soloed an Ercoupe there after only an hour & a half of instruction."

The last photo which has been located showing aircraft at Knights Airport was a 4/18/48 USGS aerial view.
It depicted the field as having 3 unpaved runways, with a dozen light aircraft parked around a few small buildings on the south side.
The most detailed map depiction of Knights Airport which has been located is the 1949 USGS topo map,
which depicted the field as having a total of 4 runways or taxiways, with the longest being an 1,800' northeast/southwest strip.
Stanley Glenn Woodman (son of the owner of Stan's Air Park) remarked of this depiction,
“As a young boy I used to hike, explore, and hunt that area.
It wasn't very expansive & was very marshy, being part of the Napa River delta.
It was protected by a levee to keep the river on the river side of the wall.”
Stanley Glenn Woodman recalled, “I remember my mother in the early 1950s
talking about the seawall, or levee, breaching, putting the airfield in jeopardy.”

A November 1953 Vallejo Chamber of Commerce map (courtesy of Kevin Walsh) depicted Knight's Airport as having a 2 runways.
According to the book "Two Hours By Crow" by Howard & Judith Campbell (courtesy of Wings of History),
“By 1954 the runways were deteriorating & the Napa County Airport was a better choice so this field was closed.”

The last aeronautical chart depiction which has been located of Knights Airport was on the September 1955 Sectional Chart.
It described Knights as having a 2,200' unpaved runway, but it may have already been closed by this point, as it was noted as being “Emerg only”.
Knights Airport was no longer depicted on the April 1956 Sacramento Sectional Chart.
A 1957 aerial view of the Knights Airport site (from the Alexandria Digital Library @ UC Santa Barbara, courtesy of Jonathan Westerling) showed the 2 runways were still evident, but deteriorated.
The hangars remained intact, but there were no aircraft visible on the field.

A 1965 aerial view (from the Alexandria Digital Library @ UC Santa Barbara, courtesy of Jonathan Westerling) depicted Knights Airport after its closure.
The 2 runways were further deteriorated. The southwest hangars had been removed at some point between 1957-65, but the southeast hangar remained intact.
Knights Airport was no longer depicted on the 1968 USGS topo map.

A 1970 aerial view of the site of the site of Knights Airport (from the Alexandria Digital Library @ UC Santa Barbara, courtesy of Jonathan Westerling)
still showed the remnants of the runways & what appeared to be a hangar still standing of the east side of the field.
Stanley Glenn Woodman (son of the owner of Stan's Air Park) recalled, “Many years later,
after I had become pilot out of Oakland International Airport, I often overflew the old airfield.
As I looked down, I could see the outlines of only 2 runways - a primary plus a crosswind.”
Stanley Glenn Woodman recalled, “In 1983 or 1984 there was a 'perfect storm' combination
of a heavy rainstorm, strong winds and extra high tides that caused a permanent breach in the levee.
This resulted in the entire airfield being covered in water for many years afterwards.”
The 1993 USGS aerial photo showed that the waters of the Napa River had risen over the site of Knights Airport.
Dann Shively reported in 2003, "I watched it slowly deteriorate over the years.
The office & hangar disappeared, and the runways were taken over by swamp grass until a levee broke & the whole area was under water.
Currently the stretch of Sears Point Road (Highway 37, now known as Marine World Parkway) that was next to the field, is being widened.
Shortly, what was the airport will be under a new roadway."

A 2003 panoramic composite photo by Dann Shively, looking east at the site of Knight's Airport.
Dann Shively visited the site of Knight's Airport in 2003, and reported:
"Highway 37 / Sears Point Road / Marine World Parkway is being widened adjacent to the old Knight's Airport in Vallejo.
There's also an interchange being built just to the west.
I climbed up on what's built so far of the interchange & got a nice shot of the former airport.
I actually stitched 2 shots together for a panorama. The shot is looking east.
That's the Napa River on the left & the highway on the right.
You can see the new section of the highway which isn't opened yet.
That new section partially or wholly covers what was one of the runways that ran along the existing 2 lane road.
As mentioned before it's a wetlands area with marsh grass & tules.
Running along the bottom of the photo is a drainage canal & levee that's evident in your old topo map of the airport."

A 2023 aerial view looking north showed the Knight's Airport site was submerged under the waters of the Napa River.
However, by comparing the runway layout in the 1949 topo map with the above aerial photo,
it is interesting to note that the land of the former Northeast/Southwest runway is apparently at a slightly higher elevation than the surrounding terrain, as it was still above water.
The Knight's Airport site is located north of the intersection of Marine World Parkway & Sacramento Street.
Thanks to Chris Kennedy for pointing out this airfield.
____________________________________________________
Vallejo Airport / Mini Airport, Vallejo, CA
38.14, -122.253 (Northeast of Oakland, CA)

A circa 1936 photo by George Low of a friend in front of George's International F-17 at Mini Field.
The date of construction of Vallejo Airport has not been determined.
The earliest reference which has been located of Vallejo Airport came from K.O. Eckland,
who said that Western Air Lines moved half its equipment from Santa Rosa & established a flight school at Vallejo Airport in 1929.
"Vallejo" Commercial Airport was listed as being located "3 miles due north of Vallejo"
in the Standard Oil Company's 1929 "Airplane Landing Fields of the Pacific West" (courtesy of Chris Kennedy).
It was described as having a 1,500' northeast/southwest runway,
and the "main highway to Sacramento" was said to border the east side of the field.
That description seems to match later map depictions of what eventually became Vallejo Sky Harbor Airport.
By 1936, the airport had apparently been renamed "Mini" Airport.
The earliest depiction which has been located of Mini Airport
was a circa 1936 photo by George Low of a friend in front of George's International F-17 at Mini Field.
Dann Shively recalled, "The Mini family owned most of the property in that area. In fact, the site of the airport is near what is now Mini Drive."

A 1937 aerial photo (courtesy of Jonathan Westerling) showed Mini Airport to consist of an open grass field, in the center of which was a single plane.
The Airport Directory Company's 1937 Airports Directory (courtesy of Bob Rambo)
described Vallejo Airport as being located "2 miles northwest" of the town of Vallejo.
The field was said to have 3 dirt runways, with the longest being a 2,500' northeast/southwest strip.
A hangar on the southeast side of the field was described as having "Vallejo" painted on the roof.

A circa 1938 photo of several aviators including some famous pilots in front of an unidentified biplane at Mini Airport (courtesy of Gary Cullen, via Dann Shively).
Dann Shively reported, “Standing in front is Douglas ('Wrongway') Corrigan, the man who claimed he accidentally flew from New York to Ireland instead of flying west to California.
Standing next to him is Beryl Markham, the first woman to fly solo across the Atlantic non-stop from east to west.
Behind them is a group of local pilots including the only other woman in the group, Vallejo resident Elaine Tracy.”

An undated photo of Rinaldo Mini & an unidentified pilot in front of an unidentified biplane after taking a ride at Mini Airport (courtesy of Jeff Mini, via Dann Shively).
Mini Airport was not yet depicted on the February 1939 Sacramento Sectional Chart.

The earliest aeronautical chart depiction which has been located of Mini Airport was on the August 1939 Sectional Chart (courtesy of Dann Shively).
It depicted Mini Airport as an auxiliary airfield.

The 1942 USGS topo map depicted Mini Airport as an unlabeled property outline with an airport symbol (the propeller).

The last depiction which has been located of Mini Airport was on the December 1944 Sectional Chart.
It depicted Mini Airport as an auxiliary airfield.
Mini Airport was evidently closed at some point between 1944-45,
as it was no longer depicted on the May 1945 Sacramento Sectional Chart
nor listed among active airfields in the 1945 AAF Airfield Directory (courtesy of Scott Murdock).

A 2023 aerial view showed no trace of Mini Airport.
According to Dann Shively, the site of Mini Airport is located west of the intersection of Louis Brown Drive & Broadway.
____________________________________________________
Vallejo Sky Harbor Airport, Vallejo, CA
38.155, -122.256 (Northeast of Oakland, CA)

Sky Harbor Airport, as depicted on the September 1946 Sectional Chart.
According to the book "Two Hours By Crow" by Howard & Judith Campbell (courtesy of Wings of History),
“Three pilots, Ernest 'Red' Sink, Luke Farmer, and W.C. Shield formed a partnership & established Vallejo Sky Harbor Airport on 2/9/46.”
The airport was was depicted as "Sky Harbor" on the 1946 Sectional Chart (courtesy of Dann Shively).
According to Joe D’Agosta's obituary (courtesy of Dann Shively), after WW2 he built & operated Sky Harbor Airport.
According to the book "Two Hours By Crow" by Howard & Judith Campbell (courtesy of Wings of History),
“The hangar burned on 11/29/47 taking 3 aircraft with it. The Administration Building & a private hangar were unharmed.”

The February 1948 San Francisco Local Aeronautical Chart (courtesy of Tim Zukas) depicted "Vallejo Sky Harbor" Airport as having a 2,500' unpaved runway.
According to the book "Two Hours By Crow" by Howard & Judith Campbell (courtesy of Wings of History),
“The new hangar was dedicated 'In memory of Arthur Cooper' on 4/28/48. Art was a parachute jumper”, killed in 1947 in Oakland.
“The guard dog for the field had only 3 legs & was called 'Prop Wash', but Duncan Miller called him '3 Point'.
Duncan had started as a flight instructor here at age 25 & left in 1948.
The 'Sky Harbor Snack Bar' formed a popular meeting point for the students & pilots,
hosted many fly-in breakfasts, and often was a meeting place for people wanting to watch airplanes.”

A circa late 1940s view looking northeast at Sky Harbor Airport (courtesy of Kevin Walsh),
showing 17 light single-engine aircraft, the airport office, and a hangar.
Dann Shively observed, “The railroad tracks & the highway run left to right between the planes & the houses in the background.”

A circa late 1940s photo of a plane overflying a hangar marked “Vallejo Sky Harbor Airport” (courtesy of Dann Shively).

The last photo which has been located of Vallejo Sky Harbor Airport was a 3/3/48 USGS aerial view.
It depicted the field as having a single northeast/southwest runway with a parallel taxiway,
Over a dozen single-engine aircraft a few small buildings were visible on the east side.
The most detailed map depiction of Vallejo Sky Harbor which has been located is the 1949 USGS topo map,
which depicted the field as having a total of four 1,800' runways or taxiways.
Two buildings or hangars appear to have been located east of the runway intersection.
A undated propeller decal from Vallejo Sky Harbor Airport (courtesy of Dann Shively).

The last depiction which has been located of Vallejo Sky Harbor was on the September 1952 Sectional Chart.
It depicted Vallejo Sky Harbor as having a 2,100' unpaved runway.
According to the book "Two Hours By Crow" by Howard & Judith Campbell (courtesy of Wings of History),
“'Red' was killed in 1952, and Luke & W.C. were both killed in an accident.
Robert Shield & May Blender bought up their shares & finally May's son David became the final owner.
When the field closed in 1953, the hangar was left to the Mini Ranch, the land owners.”
Vallejo Sky Harbor was no longer depicted on the March 1953 Sectional Chart.
Dann Shively recalled, "I grew up in Vallejo & have been flying around the area as a broadcast news pilot for nearly 30 years.
When I was 11, in 1957, we moved to a house that was within a mile or so of the Sky Harbor Airport site.
Of course it was long gone by then & was covered by tract houses built in the 1950s. We've lost a lot of airports!"

A sad sight for anyone who appreciates grassroots aviation: a 1957 aerial photo shows houses having covered the southeastern portion of the site of Vallejo Sky Harbor,
with traces of 2 different runway configurations still visible on the west, north, and east side of the houses.
A 1987 aerial photo of the site showed that it had been completely covered by houses.

A 2023 aerial view showed the site of Vallejo Sky Harbor had been completely covered by houses, with not a trace remaining of the little airport.
According to Dann Shively, the site of Vallejo Sky Harbor is located northwest of the intersection of Route 29 & Mini Drive.
Thanks to Chris Kennedy for pointing out this airfield.
____________________________________________________
Hookston Field / Sherman Field, Pleasant Hill, CA
37.95, -122.057 (Northeast of Oakland, CA)

A postmark which commemorated the 5/11/41 Dedication of Sherman Field (courtesy of Kevin Carruth).
According to the book "Two Hours By Crow" by Howard & Judith Campbell (courtesy of Wings of History),
“This site was called Hookston Field & on 5/26/38 Lieutenant Charles Beatie flew a mail load off what was just an open pasture.
The field saw little action until the Postal Service opined they needed a second 'air mail' field to supplement the Diablo Air Mail Terminal.
With that endorsement, Chet Dickson bought the land & started developing it as a real airport.”
According to K.O. Eckland, a 107-acre tract at the intersection of Monument Boulevard & North Main Street was purchased by Chester Dickson in 1941.
The initial airfield consisted of a 2,150' dirt runway. The field was named for Samuel Sherman, who helped finance the field.
A postmark (courtesy of Kevin Carruth) commemorated the 5/11/41 Dedication of Sherman Field.
According to the book "Two Hours By Crow" by Howard & Judith Campbell (courtesy of Wings of History),
“The field was run by Chester Dickson. He put up a 110' x 100' hangar in early 1941 & was almost immediately forced out when the Army closed down all civil flying within 150 miles of the Pacific on 12/8/41.”
A collection of photographs has a 1941 picture of Sherman Field.
Sherman Field was not yet depicted on the December 1941 San Francisco Sectional Chart.
Sherman Field was used by Pan American Airways under contract to the Navy starting in 1942 for navigation & instrument flight training with 2 Stinson Reliants & a Waco VKS-7.

The earliest aeronautical chart depiction which has been located of Sherman Field was on the September 1942 Sacramento Sectional Chart (courtesy of Ron Plante),
which depicted Sherman Field as a commercial/municipal airport.

The earliest photo which is available of Sherman Field was a 8/5/43 aerial view looking north from the 1945 AAF Airfield Directory (courtesy of Scott Murdock).
It depicted Sherman Field as having a single northeast/southwest unpaved runway, with 2 hangars along the southwest side.
The use of Sherman Field by PAA for navigation & instrument flight training ended in 1944.
According to the book "Two Hours By Crow" by Howard & Judith Campbell (courtesy of Wings of History),
“Civil flying moved back in right after the end of hostilities in 1945 & the site hosted many exotic ex-war planes as well as the more common trainer types.
For a short while this was one of the Reconstruction Finance Corporation sites for the sale of surplus aircraft.
By 8/3/45 all these 'extra' aircraft had been moved to the San Jose Airport on King Road.”

A 9/6/46 aerial view depicted Sherman Field as having 2 runways in an X-shape, with 2 hangars & several aircraft on the southwest side of the field.
What were the 6 circular items located in the grass in between the runways?
The 1947 USGS topo map depicted Sherman Field as having two 2,800' runways, and a ramp at the southwest corner with 2 hangars.
K.O. Eckland recalled that "Sherman Field was where I checked out in a PT-22
to qualify for my civil ticket after discharge from USAF in 1947."

A 1948 aerial view looking northwest at the ramp & hangars at Sherman Field (courtesy of Bill Larkins, who lives adjacent to the site of the airport).
The 1948 Sacramento Sectional Chart (courtesy of Jonathan Westerling) depicted Sherman as having a 2,800' unpaved runway.

A circa late 1940s photo by Louis Roberts of Sherman Field (courtesy of Dale Roberts), showing 2 surplus Vultee BT-13 Valiants & a variety of other light general aviation aircraft in front of the hangar.
A 1949 aerial view showed that a drive-in movie theater had been squeezed in just to the west of the runway intersection.

A circa late 1940s aerial view looking southwest a Sherman Field showed the drive-in movie theater squeezed in just to the west of the runway intersection,
a dozen planes parked near the hangars, and one plane at the runway intersection.
Sherman Field was still depicted on the 1949 USGS topo map.

The last depiction which has been located of Sherman Field was an undated aerial view looking north from the 1950 Air Photo Guide (courtesy of Kevin Walsh).
The guide described Sherman Field as having 2 runways: 3,000' Runway 10/28 & 2,800' Runway 18/36. It listed the manager as Phillip McManamy.

The last aeronautical chart depiction which has been located of Sherman Field was on the September 1950 San Francisco Sectional Chart.
It depicted Sherman as having a 2,600' unpaved runway.
Sherman Field was sold in 1950 for real estate development.
The last reference to Sherman Field still being in operation came from Norman Nielsen,
who recalled, “In 1951, at the age of 3, I moved to Gregory Gardens, now Pleasant Hill,
and have some vague remembrances of Sherman Field,
in particular that there was a hangar on the south side of Monument Boulevard
and that planes would sometimes taxi across the road to reach the runway.”
Sherman Field was evidently closed at some point in 1951,
as it was no longer depicted on the March 1951 San Francisco Sectional Chart.
A March 1952 Thomas Brothers map (courtesy of Kevin Walsh) showed a grid of new residential streets had been covered the site of Sherman Field.
A 1953 street map (courtesy of Kevin Walsh) showed residential streets covering the site of Sherman Field,
including one named Sherman Drive.
A 1958 aerial view showed that the hangars had been removed,
and houses covered most of the property of Sherman Field.
Ironically, the northeast/southwest runway still remained largely intact, with houses all around it,
as it would eventually form the alignment for the 680 Freeway which would pass through the site in a few years.
A 1968 aerial view showed that the 680 Freeway had been built right through the center of the former airport property,
and the location of the hangars had been redeveloped as well,
erasing any trace of the former Sherman Field.

A February 2004 USGS aerial photo showed the 680 Freeway had been built through the center of the site, and not a trace of Sherman Field appeared to remain.
Sherman Field was located northeast of the intersection of Contra Costa Boulevard & Monument Boulevard.
____________________________________________________
Diablo Air Mail Terminal / Concord Airport (original location), Concord, CA
37.97, -121.995 (Northeast of Oakland, CA)

An undated aerial view looking south at the original Concord Airport by A.W. Stevens, from a 1926 magazine article (courtesy of Neil Hinckley).
The caption read, “This is the main western terminus of the transcontinental Air Mail line. Eastbound mail leaves from this field.
Westbound, the mail plane flies directly to Crissy Field, on the edge of San Francisco, unless prevented from landing there by bay fog.
From Concord Field to Crissy Field is only about 20 minutes by air.”
According to the book "Two Hours By Crow" by Howard & Judith Campbell (courtesy of Wings of History),
“Word leaked out on 11/15/24 that the U.S. Postal Service was going to open a field in Concord by leasing part of the W. C. Price Ranch.
By 1/31/25 all schools & businesses in town closed in the afternoon for the dedication of the Diablo Air Mail Terminal.
Two thousand residents listened to speeches & watched the first mail plane land on 2/3/25.
Six mail planes were based here, the Douglas M-4 & the Boeing Model 40, both powered by the 400hp Liberty engine.
By 12/31/25 the number had grown to 10 aircraft.
By 1927, the service was flying the newer Boeing Model 40-A with a 425hp Pratt & Whitney Rl340 Wasp.
The first passenger from Concord was William Hearst, nephew of the newspaper publisher, William Randolph Hearst.”
The January 1926 National Geographic Magazine featured a picture of Concord Airport in a story describing the new airmail service.

Two 1926 photos of the new hangar at Concord Airport, when the Air Mail terminal was transferred from Crissy Field (courtesy of Kevin Walsh).

The location & layout of the “Concord Air Mail Field” as depicted in the 7/19/26 Commerce Department Aeronautical Bulletin (courtesy of Jonathan Westerling).
It described the field as measuring 2,000' northeast/southwest by 2,000' northwest/southeast, with Air Mail hangars on the northwest side of the field.
The 1927 Standard Oil of CA Airport Directory (courtesy of Chris Kennedy)
described Concord Airport as a “permanent” field, located 2 miles southeast of the city.
It was said to consist o a 2,600' x 2,200' field, which permitted landings in any direction.
Hangars were said to be located at the northeast corner.
It was also noted that “This field is used by the United States Air Mail & is to be used for emergency only.”
As private companies were taking over the airmail service, it was possible for the same planes to begin carrying passengers.
Boeing's 1st passenger flight out of Concord was recorded on 7/1/27 in a local newspaper.
According to the book "Two Hours By Crow" by Howard & Judith Campbell (courtesy of Wings of History),
“December 15, 1927 saw the closing of the Air Mail Terminal. The U.S. Postal Service lease had run out & the Commerce Department took over.
Although mail was still flown from here when Crissy Field in San Francisco or Oakland Municipal Airport was fogged-in, this of site became the Commerce Department Site 2A on the San Francisco - Salt Lake City Airway.
With the closing of the Diablo Air Mail Terminal on 12/15/27 & Commerce Department taking over the field as Site 2A,
there entered a 2-year period of court litigation in a mortgage mix-up with the end result of W. T. Nulty taking control of the acreage.”

The Concord “Air Mail Field”, as depicted on the March 1928 CA State Automobile Association map (courtesy of Kevin Walsh).
According to the book "Two Hours By Crow" by Howard & Judith Campbell (courtesy of Wings of History),
“The last episode in the history of Diablo Field would be offered by the Navy in their search for a lighter-than-air base.
October 27, 1928 saw an article that they would put up a dirigible hangar & mooring mast here for their 'airships'.
Hope was dashed when the Navy selected Sunnyvale, in Santa Clara County as their base.”

A circa 1920s photo (courtesy of Bill Larkins) of 3 unidentified men in front of a DH-4 & a hangar at the original Concord Airport.

The earliest chart depiction of the Concord Airport which has been located was on the 1929 Rand McNally Air Trails Map (courtesy of Chris Kennedy).
It depicted an intermediate field just southeast of Concord.
It was described as an “Emergency” field, “open to private planes for emergency only.”
It was said to consist of an 80-acre earthen field, measuring 2,200' square, with 2 hangars on the northwest side.
According to a circa January 1986 article in the Concord Gazette (courtesy of Phil Beutel),
Clothidle Larkin recalled that the field was rededicated in the early 1930s.
According to the book "Two Hours By Crow" by Howard & Judith Campbell (courtesy of Wings of History),
“On 4/21/32 the U.S. Government leased the land with an option to buy it for $60,000; the lease & the option would expire in 1938.
There was very little use during these years as the Commerce Department rated Site 2A as an 'Emergency Field' & civilian use was strongly discouraged.
The Standard Oil Company Directory listed Site 2A as “Open to private planes for emergency only.”
The 8/27/32 Contra Costa Gazette noted "use of the field has been granted to commercial & passenger planes under specific circumstances."

The 1933 San Francisco Airway Map (courtesy of Chris Kennedy) depicted Concord as Site 2A.
The 2/18/34 Martinez Herald reported that Mr. Nulty "has leased the property to R. Hetfield, who will plant the property in tomatoes.”
Concord Airport was listed in The Airport Directory Company's 1933 Airport Directory (according to Chris Kennedy)
as the Commerce Department's Intermediate Field Site 2A, along the San Francisco – Salt Lake City Airway.
The field was said to consist of an 81-acre black loam field, along with hangars.
The original Concord Airport was no longer listed in the 1934 Commerce Department Airport Directory (according to Chris Kennedy),
depicted on the May 1936 Sacramento Sectional Chart,
or listed in The Airport Directory Company's 1937 Airport Directory (courtesy of Bob Rambo).
However, Concord was still being used in the “late 1930s”, according to Phil Cox, a charter member of the Concord Flying Club.

A late-1930s photo (courtesy of Bill Larkins) of an unidentified group (airmail pilots?) in front of a Boeing 40A & a hangar at the original Concord Airport.
Nick Lines recalled, “I attended Clayton Valley Elementary School in the late 1950s located on the Southeast border of the airfield.
My 3rd grade teacher recalled mail planes landing & taking off over the school house.”

A 1939 aerial view of Concord Airport (from the Alexandria Digital Library @ UC Santa Barbara, courtesy of Jonathan Westerling) showed the hangars remained on the northwest side, but there were no aircraft visible on the field.
According to the book "Two Hours By Crow" by Howard & Judith Campbell (courtesy of Wings of History),
“Western Air College proposed in September 1940 to lease the land & conduct a school to train Army pilots, but we have found no record of this ever happening.
March 21, 1941 saw the opening of Concord Airport when the Monarch Flying Service moved its operations here from the San Francisco Bay Airdrome in Alameda & enrolled 128 students in their non-college aeronautics course.
A number of other businesses either moved or indicated they planned to move when the Alameda Airdrome closed.”
World War 2 brought an end to the original Concord Airport,
when the Sheriff removed the propeller from the Concord Flying Club's plane (due to wartime security concerns).
The aircraft was stored in a barn for the next 4 years.
The original Concord Airport was no longer depicted on the 1942 USGS topo map.
According to the book "Two Hours By Crow" by Howard & Judith Campbell (courtesy of Wings of History),
“The property was used by the Niagara Duplicator Company in 1943 to manufacture their equipment in the former hangars.
Later, the John Burton Machine Corporation moved in.”

A 1946 aerial view showed the Concord Airport site was still clear, but there was no indication of aviation use.
The hangar was visible along the northwest side of the field.
A 1949 aerial view showed the site unchanged from as seen in 1946, with the airfield remaining completely clear.
Phil Beutel recalled, “I purchased Niagra Duplicator in 1950. The lease on the hangar came with the business & the owner was Mr. Nulty.
When I leased the hangar the land was all vacant except for a few houses on Clayton Road.”
Nick Lines recalled, “I attended Clayton Valley Elementary School in the late 1950s located on the Southeast border of the airfield.
The brick hangar building on West Street was a machine shop during the 1950s & 1960s.”
Neil Hinckley recalled, “Our (1950) housing development, 'Concord Village', was built over” the site of the airfield.
A 1958 aerial view showed that housing had covered about half of the site of the Concord airfield.

A February 1962 aerial view by Neil Hinckley looking northwest at the remains of the Concord Airfield.
Neil observed, “Clayton road at left. What remains of the airfield in 1962 is at upper right...
the encroachment of suburban housing units is almost complete.
There was an earthen berm around the field, and in a year or two the portion visible in this photo would become Eichler Homes.”
A 1966 aerial view showed that housing had filled in the remainder of the site of the Concord airfield,
with the exception of the former hangar, which remained standing along the northwest side of the field.
A 1979 aerial view showed the former Concord hangar was still standing.

A undated photo of a remaining hangar from the original Concord Airport,
from a circa January 1986 article in the Concord Gazette (courtesy of Phil Beutel).
The article said the hangar was used in recent years by a battery exchange company & as a warehouse.
However, it had fallen into disuse, and was the subject of complaints from neighbors.
Brett McCoy recalled, “As a youth in the mid 1980s I attended Concord United Methodist Church
which was across the street from the hangar [of] the original airport of Concord.
It was indeed dilapidated but was the home of 'California Battery X-Change' as indicated by a hand-painted sign.
It the focus of much curiosity. At that time, there was still maybe 5 or 10 acres of undeveloped land behind it.
It was considered an eyesore in the middle of a residential neighborhood.”
According to the book "Two Hours By Crow" by Howard & Judith Campbell (courtesy of Wings of History),
“On 3/25/86 bulldozers erased all remnants of the hangar, and private homes & streets moved in.”
A 1988 aerial view showed the hangar site had been wiped clean,
and a 1993 aerial view showed that more houses had been built on the location.
As seen in a 2004 USGS aerial photo, the site of the original Concord Airport has been densely covered in housing,
and not a trace appears to remain of the old airfield.
Phil Beutel reported in 2005, “The last I heard there was a bronze marker near the intersection of West & Chestnut.”
Neil Hinckley reported in 2005, “500 houses & a school now cover that 2,200' x 2,600' grass field.”

A pre-2009 photo by Bill Larkins of the historical marker on the comer of West Street & Denver Street that spells out the history of Concord Airport to remind the homeowners of their once-famous landing field & air-mail terminal.
Bill Larkins reported in 2009 that the Concord Airport historical marker “has since been moved or removed & I can't find it now.”
According to Phil Beutel, Concord Airport was bounded on the west by West Street, on the north by Wilson Lane, on the east by Denkinger Road, and on the south by Clayton Road.
____________________________________________________
Concord Naval Weapons Station Airfield, Concord, CA
37.99, -122.017 (Northeast of Oakland, CA)

A 1943 photo by Bill Larkins of a Grumman F6F Hellcat at OLF Concord.
This military airfield was located on the southern edge of the Concord Naval Weapons Station.
The Concord Naval Weapons Station Airfield was not yet depicted on a 1939 aerial photo.
According to the book "Two Hours By Crow" by Howard & Judith Campbell (courtesy of Wings of History), “The field was opened in July 1941.
When the Navy paved their asphalt runways in 1941, they just chopped down a bunch of the trees that ran along both sides of an early county road & paved right on through.
This was a minimal facility for daytime use. There were no shops, no hangars, no fuel, and the control tower was a B-2 type portable unit.
There were no facilities for personnel & anyone on duty there was brought in on a daily basis, and returned to Alameda in the evening. The runway was lighted, but we have no indication they were ever used.”
The earliest depiction which has been located of the NWS Concord Airfield was a 1943 photo by Bill Larkins of a Grumman F6F Hellcat.
Bill recalled, "This F6F (BuNo 40198) was there one day in October 1943 when I was home on leave & hung out in the weeds with my Graflex.
Other planes there that day were a Cessna JRC-1, North American SNJ-4, Beech SNB-1, Beech SNB-2C, Douglas SBD-5 & a Grumman F4F-3.
Alameda operated the Outlying Field Concord for practice takeoffs & landings."
A 1944 USN aerial view looking southwest at OLF Concord (courtesy of Bill Larkins).

The August 1944 Regional Aeronautical Chart (courtesy of Jonathan Westerling)
depicted the Concord Navy Airfield as an auxiliary airfield.

The 1945 AAF Airfield Directory (courtesy of Scott Murdock) described “Alameda NAS Auxiliary (Concord Outlying Field)”
as a 300 acre irregularly-shaped property having 2 asphalt runways, the longest being the 4,000' north/south strip.
The field was not said to have any hangars.
By the time of the 1946 Sectional Chart (courtesy of Dann Shively), the Concord Navy Airfield was still depicted,
but its depiction on the chart had been downgraded to that of an auxiliary airfield.

A 1946 aerial view (from the UCSB Library, courtesy of Jonathan Westerling) depicted OLF Concord as having 2 paved runways,
with a paved ramp on the southeast side. There were no buildings or aircraft visible on the field.


The last photo which has been located of an aircraft at Concord Navy Airfield was a December 1946 photo by Bill Larkins of Fairchild PT-19 Cornell T42-4249 FH900, which was being sold surplus by the Concord WAA Depot.

The last aeronautical chart depiction which has been located
of the Concord Navy Airfield was on the 1948 San Francisco Local Aeronautical Chart (courtesy of Tim Zukas)
It depicted “Concord” as having 2 paved runways, with the longest being 4,000'.
Strangely, the airfield was not depicted with any military label,
so it is possible that it may have been (briefly) relinquished for civilian use.
The Concord Navy airfield was evidently closed at some point between 1948-49,
as it was no longer depicted as an active airfield on the 1949 Sectional Chart.
A 1949 aerial view showed that 2 prominent closed-runway “X” symbols had been painted on the ends of the east/west runway,
and the north/south runway was being used for storage of trailers.

An undated aerial view looking west from a circa 1950s real estate brochure (courtesy of Kevin Walsh) showed Concord Navy Airfield's 2 paved runways remained intact,
but were being used for some type of non-aviation storage.

A 1958 aerial view (from the UCSB Library, courtesy of Jonathan Westerling) depicted OLF Concord as remaining intact,
but with the runways being used to store unidentified objects.

The Concord NWS airfield was depicted on the 1959 USGS topo map (courtesy of Kevin Walsh), but it was not labeled,
which presumably means it was no longer an active airfield at that point.
The Concord airfield was depicted as having 2 paved runways (the largest was 3,300' long), taxiways, and a ramp.

A 1965 aerial view of OLF Concord (from the UCSB Library, courtesy of Jonathan Westerling)
showed that several buildings had been constructed over the southern end of the north/south runway,

A 1988 USGS aerial view looking north showed the majority of Concord NWS's runways & parking ramp still remained intact.
The 1993 USGS aerial photo showed that the primary (east/west) runway & parking ramp still existed, but the majority of the north/south runway had been removed,
with a residential development having been built at some point between 1988-93 over the northern portion of the former north/south runway.
According to the book "Two Hours By Crow" by Howard & Judith Campbell (courtesy of Wings of History),
“In 1996, the Navy proposed building an 85,000 square foot warehouse on the property but the City of Concord protested.
The Navy was out by 1999 & the Army leased part of it for storage.”
The Concord Naval Weapons Station itself was placed in a "reduced operation status" in 1999.
The station is presently surrounded by dense residential development.
A 2003 photo by Jonathan Westerling looking east along a remaining runway of the former Concord NWS airfield.
Jonathan reported, "The trees at the ends of the runways at the Concord Naval Weapons Station have grown to well over 35' high.
Even though it has been inactive for a long time, the field itself is still very much in evidence,
and fresh yellow X's have been painted on the asphalt runways.
The east/west runway is in better condition than the north/south runway which is mostly overgrown.
Near the runway intersection, a Naval housing complex 'Victory Village' was constructed, though the buildings are almost completely empty.
No other present day reuse of the airfield is evident, though the property is completely fenced off.
The runways can be easily seen from East Olivera Road."
A 2003 photo by Jonathan Westerling looking south along a remaining runway of the former Concord NWS airfield.
Ironically, in 2005 the Mayor of Concord, Laura Hoffmeister, was lobbying the Defense Department to close the Concord Naval Weapons Station,
according to an Associated Press article by Michelle Locke (courtesy of Jonathan Westerling).
At a time when many other municipalities are desperately trying to avoid having their bases closed,
the Concord Mayor is trying to clear the way for 13,500 new homes, planned for the property of the Navy base.
Marshall Carter reported in 2005 that the plan has been reduced to 6,000 houses over the former airfield site,
due to concerns about low-level radiation contamination on other parts of the former Navy facility.

A 4/2/18 aerial photo looking north showed the majority of the NWS Concord Airfield remained intact though deteriorated.

A 6/23/18 aerial view by Roger Cain showed portions of the NWS Concord runways & ramps remained intact.
____________________________________________________
San Francisco Bay Airdrome, Alameda, CA
37.785, -122.282 (East of San Francisco, CA)

In 1920, as part of an inheritance from a wealthy alumnus,
the University of California received 458 acres of partially filled marshland on both sides of Webster Street.
In 1929, capitalizing on the airplane fever created by Lindbergh's transcontinental flight,
the UC Regents began construction of an airport.
The marsh was drained by a network of ditches from which water was pumped.
After grading the site, crushed oyster shells were barged from Bay Farm Island to pave 3,400' & 1,700' runways,
and the airdrome's business was housed in a single 53,000-square-foot hangar, constructed for $150,000.

An undated photo of a large gathering in front of the San Francisco Bay Airdrome's hangar, possibly for its 1930 dedication.

An undated photo of a large gathering inside the San Francisco Bay Airdrome hangar, possibly for its 8/16/30 dedication.
The San Francisco Bay Airdrome had its gala christening party on 8/16/30.
The airfield was a busy place, as an early home base for Coastal Air Freight, Varney Air Lines, West Coast Air Transport,
Western Air Express, the transbay Air Ferries, and Boeing's Pacific Air Transport.
The Standard Oil Company's 1930 "Airplane Landing Fields of the Pacific West" (courtesy of Chris Kennedy)
described San Francisco Bay Airdrome as having 2 shell runways, with the longest being a 3,400' east/west strip.
A 3,600' northeast/southwest runway was listed as being under construction, to be ready in 1931.
San Francisco Bay Airdrome's success during 1930-31 led to a 160' addition to the original hangar & the first 160' of another one.
Three more hangars were soon added, actually attached to the first, then a 5th one, separate & canted at an outward angle.

The earliest map depiction which has been located of San Francisco Bay Airdrome
was on a February 1931 CA State Automobile Association map (courtesy of Kevin Walsh).
It also depicted the nearby Alameda Airport to the west.

A November 1931 photo of Varney Speed Lines Lockheed Orion 9, NC 12223 C/n 181, in front of San Francisco Bay Airdrome's Varney hangar.

A pre-1933 Bekins Van & Storage map, by Thomas Brothers Maps (courtesy of Kevin Walsh)
did not yet depict anything at the site of San Francisco Bay Airdrome,
although the adjacent Alameda Airport was depicted to the west.

“San Francisco Bay” was depicted as a commercial/municipal airport
on the 1933 San Francisco Airway Map (courtesy of Chris Kennedy).

An aerial looking northwest at San Francisco Bay Airdrome,
from The Airport Directory Company's 1933 Airports Directory (courtesy of Chris Kennedy).
Note the aircraft in flight over the center of the field.
The directory described San Francisco Bay Airdrome as having 2 crushed shell runways
(extravagantly described as "one of the finest surfaces ever constructed for airplane landings"),
oriented 3,400' east/west & 1,700' north/south.
The field featured a "modern steel hangar", fueling, passenger waiting room, and "expert mechanical service".
The manager was listed as R.U. St. John.

San Francisco Bay Airdrome, as depicted on a circa 1935 Bekins Van & Storage map, by Thomas Brothers Maps (courtesy of Kevin Walsh),
along with the adjacent Army Air Base Benton Field, and Pan American Airways Inc.

A 1936 airport directory described San Francisco Bay Airdrome as having 4 runways,
with the longest being a 3,600' crushed shell northeast/southwest runway.
A blimp anchorage was located on the southwest part of the field.

A 1937 aerial view of the San Francisco Bay Airdrome (courtesy of aerofiles.com).
An aerial view looking northeast at San Francisco Bay Airdrome,
from The Airport Directory Company's 1937 Airports Directory (courtesy of Bob Rambo).
The directory described San Francisco Bay Airdrome as having 2 crushed shell runways (3,400' east/west & 1,700' north/south)
and 2 graded runways (3,600' northeast/southwest & 2,500' north/south),
and an asphalt takeoff strip on the east/west runway.
A 1938 photo (courtesy of Bill Larkins) of a Condor Air Lines Consolidated "Fleetster" 20-A in front of the boarding area at SFBA.
Condor Air Lines started a route to Monterey with this plane.
It's still in it's TWA red colors - it was repainted yellow the next year.

A circa 1930s photo of a Consolidated "Fleetster" 20-A in front of the SFBA hangar.

A circa 1930s photo of a Fairchild (model undetermined) landing in front of the SFBA hangar.

A circa 1930s photo of 2 monoplanes & a biplane in front of the SFBA hangar.
The original caption was “San Francisco Bay Airdrome, the busiest airport in the world.”

A circa 1930s photo of several monoplanes & a biplane in front of the SFBA hangar.
Airline business at the field was negatively impacted by the depression-era economy,
and the airlines soon departed to the San Francisco & Oakland Airports.
The Airdrome became home to general aviation & a number of operators,
including Johnston Air Service, Monarch Air Service, Pacific Aerial Survey,
dealerships for Stinson, Waco, Stearman-Hammond, Kinner, and Fairchild airplanes,
and the business fleets of Standard, Mohawk, and Richfield oil companies.

A 1938 street map (courtesy of Kevin Walsh) depicted “Alameda Airport & Seaport”, “Benton Field”, and “San Francisco Bay Airdrome”.
A undated photo of Tex Rankin in his Grear Lakes biplane in front of the hangars at SFBA (courtesy of Bill Larkins).
Aerial extravaganzas in 1938 & 1939 attracted tens of thousands of locals to their airfield.

A 1939 photo of a 1931 Fleet biplane in front of the SFBA hangar.

A 1939 photo by Bill Larkins of a 1931 Travel Air 16-K at San Francisco Bay Airdrome.

A 1939 photo by Bill Larkins of Melberg-Greenemeyer Falcon MG-2, C/n 102 NX20728 in front of a San Francisco Bay Airdrome hangar.

A program for the 11/4/39 Air Races at the “Bay Airdrome, Alameda”.
K.O. Eckland recalled, "SFBA is where I grew up, the classic kid riding his bike
from Berkeley all the way to Alameda after school let out & on weekends just to be around airplanes."

A 1939 aerial view (from the UCSB Library, courtesy of Jonathan Westerling) showed San Francisco Bay Airdrome as having 2 perpendicular unpaved runways,
with several light aircraft parked near the hangars on the northeast corner.

A 1939 photo by Bill Larkins of Paul Mantz's Lockheed Orion 9-C at San Francisco Bay Airdrome.

The last photo which has been located showing aircraft at San Francisco Bay Airdrome was a 1939 photo by Bill Larkins of Aeronca LB NC16561.
Bill Larkins recalled, "It had unique hangars & in addition they were different in having advertising painted on the roofs.
A fascinating place!"

A 1939 street map (courtesy of Kevin Walsh) depicted the San Francisco Bay Airdrome as a rectangular property outline.
A list of aircraft registered as being based at the Airdrome from 1931-40 included aircraft by
Aeromarine-Klemm, Aeronca, Alexander Eaglerock, American Eagle, Bach, Beechcraft, Buhl,
Consolidated, Curtiss, De Havilland, Fairchild, Fleet, Fokker, Keystone, Kinner, Lockheed,
Luscombe, Monocupe, Piper, Porterfield, Ryan, Rearwin, Savoia-Marchetti, Security Airster,
Sikorsky, Stearman, Stinson, Swallow, Taylor, Taylorcraft, Travel Air, Viking, and Waco.

A January 1940 Metsker map (courtesy of Kevin Walsh) depicted “Alameda Airport, Pan American Airways Trans-Pacific Terminys”,
“Benton Field, Army Air Depot”, and “San Francisco Bay Airdrom” all in a row on the peninsula,

A circa 1940 Thomas Brothers map (courtesy of Rex Ricks) depicted the “San Francisco Bay Airdrome Inc.” on the east side, the “Army Air Base Benton Field” in the center,
and the “Alameda Airport Inc.” on the west end of the peninsula.
Two buildings were depicted along the northeast side of the San Francisco Bay Airdrome.

The last aeronautical chart depiction of San Francisco Bay Airdrome which has been located
was on the December 1941 San Francisco Sectional Chart (courtesy of Chris Kennedy).
The new Alameda Naval Air Station had recently been constructed adjacent to the west side of the Airdrome,
and the naval airfield's significant expansion soon spelled the end for the little civil airport.
The Bay Airdrome was closed in 1941 when it was decided that its traffic interfered with operations at NAS Alameda.
The Navy first condemned 70 acres bordering Atlantic Avenue for a housing project, then ordered the abandonment of the Airdrome.
The 1942 USGS topo map still depicted the San Francisco Bay Airdrome,
but the adjacent NAS Alameda was simply left blank (without any depiction of the airfield at all), simply labeled "Military Reservation".
This was omission was apparently due to security concerns during WW2.
The San Francisco Bay Airdrome was no longer depicted at all on the August 1942 San Francisco Sectional Chart or the 1946 USGS topo map.

A 1946 aerial photo showed that both hangars from the Airdrome remained standing,
but several buildings & parking lots had been constructed over its former airfield area.

By the time of the 1949 USGS topo map, the open airfield area of the former Airdrome had been filled in with buildings.

A 1958 aerial view showed that both former hangars from the former San Francisco Bay Airdrome remained standing.
A 1959 aerial view showed that the large former SFBA hangar had been removed at some point between 1958-59,
but the smaller hangar (on the west) remained standing.
In 1970, the College of Alameda opened on the eastern portion of the former Airdrome property.
A 1993 photo by Bill Larkins of one of the former hangars of San Francisco Bay Airdrome.
Bill Larkins reported that the former hangars of SFBA still existed as of 2003.
"They were moved by the Navy & still belong to them. Most are abandoned but one is being used as a Navy medical supply warehouse."
Rick Turner reported in 2003, "I went by today & the 2 hangars that had been moved are gone along with some other ex-Navy warehouses.
It looks like some construction will start there soon but I don't know what.
The one hangar that was still in its original position is still there & appears to be being used for some sort of storage."

A February 2004 USGS aerial photo of the site of San Francisco Bay Airdrome.
The last hangar from the former Airdrome was evidently removed at some point between 2004-2006,
as a 2006 aerial photo showed that it had been replaced by new housing.

A 5/11/16 photo by Kevin Walsh of the site of San Francisco Bay Airdrome.
The site of San Francisco Bay Airdrome is located northwest of the intersection of Webster Street & Atlantic Avenue.
Thanks to Chris Kennedy for pointing out this airfield.
See also: http://www.aerofiles.com/SFBA/SFBA.html
____________________________________________________
Alameda Airport / Benton Field / Alameda NAS (NGZ), Alameda, CA
37.785, -122.315 (West of Oakland, CA)

An 8/18/29 photo of Maddux Airlines Ford Tri-Motor NC9640 C/n 5-AT-18 in front of an Alameda Aiport hangar.
In 1927, an airfield was built at Alameda with one east/west runway, 3 hangars, an administration building, and a yacht harbor.
The earliest photo which has been located of Alameda Airport was an 8/18/29 photo of Maddux Airlines Ford Tri-Motor NC9640 C/n 5-AT-18 in front of a hangar.

Alameda Airport & Seaplane Base, as depicted on the 1929 "Rand McNally Standard Map of CA With Air Trails" (courtesy of Chris Kennedy).
The Standard Oil Company's 1929 "Airplane Landing Fields of the Pacific West" (courtesy of Chris Kennedy)
described Alameda Airport as being operated by Curtiss Airport, Inc.
The airfield configuration was said to be a 2,600' east/west runway,
along with the comment, "Field to be enlarged to 5,400' x 3,400'."
A total of 10 hangars, a repair shop, weather bureau, and a hotel were listed as being along the north side of the field.

The earliest aerial photo which has been located of Alameda Airport was an undated aerial view looking northeast
from the Richfield Oil Company's 1930 California Airports directory (courtesy of Kathy Vaughn).
The directory described Alameda as a commercial airport having a 2,600' sandy runway, and listed the Manager as Captain W.H. Royle.

A circa 1930s photo looking northeast at the Alameda Airport terminal building & a large number of spectactors.
By 1930, the Army had established a 100 acre Benton Field adjacent to the east side of Alameda Airport.

Alameda Airport was depicted on the February 1931 CA State Automobile Association map (courtesy of Kevin Walsh) as occupying a narrow peninsula.
It also depicted the nearby San Francisco Bay Airdrome to the east.

A remarkable 1932 aerial view looking west, with Alameda Airport in the foreground at lower-left,
with the San Francisco skyline at the upper-left (courtesy of Bill Eaton).
Bill observed, “Alameda Airport is at lower left along the south side of the Oakland estuary- the dark channel at lower left.
Goat Island, later renamed Yerba Buena, is at center & the old Key System streetcar/ferry pier is at far right.
No Bay Bridge yet in 1932 so the ferries crowd the bay. Large Southern Pacific railhead & ferry piers are at lower center
and 2 more ferry operators have piers on each side of the mouth of the estuary.”

Alameda Airport, as depicted on a pre-1933 Bekins Van & Storage map, by Thomas Brothers Maps (courtesy of Kevin Walsh).

A circa 1930s photo captioned “Maddux Air Line - Alameda Airport, All steel building by Herrick Iron Works, Oakland” (courtesy of Kevin Walsh).

A circa 1930s photo of a Douglas DC-3 landing at Alameda Airport.

A circa 1930s aerial view looking northwest at Alameda Airport, showing a row of hangars & the terminal building on the north side of an unpaved airfield, but it was devoid of aircraft.

A circa 1930s photo of a biplane fighter (model undetermined) in front of an Alameda Airport hangar.

A circa 1930s photo of 2 Navy biplanes (model undetermined) inside an Alameda Airport hangar.

“Alameda” Airport, as depicted on the 1933 San Francisco Airway Map (courtesy of Chris Kennedy).
Over the next few years, the City of Alameda continued to expand the area of the airport by filling in land in the bay.
Pan American Airlines took over the yacht basin in 1935
and inaugurated flying boat service to Hawaii & the Orient.

A circa 1935 Bekins Van & Storage map, by Thomas Brothers Maps (courtesy of Kevin Walsh)
depicted the facilities of Pan American Airways Inc., along with the adjacent Army Air Base Benton Field, and San Francisco Bay Airdrome.


An April 1935 photo (courtesy of Kevin Walsh) of a Pan Am Clipper Sikorsky S-42 flying boat preparing to leave for its historic first flight from Alameda Airport to Honolulu.

A 5/16/35 photo (courtesy of Kevin Walsh) of a Pan Am Clipper Sikorsky S-42 flying boat preparing to leave for its historic first flight from Alameda Airport to Honolulu.

A 1936 photo by Bill Larkins of the Philippine Clipper, Martin M-130 NC14715 C/n 557, in front of an Alameda Airport hangar.

A November 1936 photo (courtesy of Richard Vanfleet) of a Sikorsky S-42 flying boat in front of a hangar at Alameda Airport.

A November 1936 photo (courtesy of Richard Vanfleet) of a Sikorsky S-42 flying boat in front of a hangar at Alameda Airport.
The City of Alameda deeded the airfield property to the Federal Government in 1936,
and the Army turned over its facilities at Benton Field to the Navy.
A 1937 photo of Alameda Airport (courtesy of Bill Larkins).

A circa 1938 aerial view looking southwest at Benton Field (photographed in 2018 by Kevin Walsh from a display at Oakland Airport)
depicted Benton Field as having an unpaved rectangular airfield on the south side of the peninsula.
There did not appear to be any hangars or structures, other than a water tower.

A 1938 street map (courtesy of Kevin Walsh) depicted “Alameda Airport & Seaport”, “Benton Field”, and “San Francisco Bay Airdrome”.
The Airport Directory Company's 1938 Airports Directory (courtesy of Jonathan Westerling) directory described Alameda Airport
as a 170 acre sandy field having 3 shell or graded runways, the longest being a 3,250' east/west strip, which also had an asphalt takeoff strip.
Congress appropriated $10 million for the development of a Naval Air Station at the site in 1938.
Pan Am moved its operations to Treasure Island in 1939.

A 1939 street map (courtesy of Kevin Walsh) depicted the outline of the Alameda “US Naval Air Station”.

An 8/4/39 USGS aerial view (from the UCSB Library) depicted the hangars of Alameda Airport (at top-left) & the airfield of Benton Field (at bottom-right).

A circa 1939-40 aerial view looking west at Benton Field / Alameda Airdrome (at lower-left) & the fledgling NAS Alameda (upper-right), from a 1945 booklet touting the Bay Area as a place for business relocation (courtesy of Kevin Walsh).
Kevin Walsh noted, “The lagoon at the south seems well-defined. There are a few hangars. The west shoreline & landing strip locations seem nebulous.”

A January 1940 Metsker map (courtesy of Kevin Walsh) depicted “Alameda Airport, Pan American Airways Trans-Pacific Terminys”,
“Benton Field, Army Air Depot”, and “San Francisco Bay Airdrom” all in a row on the peninsula,

A circa 1940 Thomas Brothers map (courtesy of Rex Ricks) depicted the “Alameda Airport Inc.” on the west end of the peninsula,
the “Army Air Base Benton Field” in the center,
and the “San Francisco Bay Airdrome Inc.” to the east.
A total of 5 buildings were depicted along the northwest side of the Alameda Airport.

A 1940 aerial view showing NAS Alameda under construction.
The new Naval Air Station was commissioned in 1940.

A January 1941 aerial view looking north at the hangars & buildings of NAS Alameda.

A 1941 photo of a NAS Alameda hangar under construction (courtesy of John Voss).
Inexplicably, no airfield at NAS Alameda was depicted
on the December 1941 San Francisco Sectional Chart (courtesy of Chris Kennedy).

A 1943 National Archives photo looking east at NAS Alameda,
showing the disruptive camouflage pattern painted on the runways.

A WW2-era postcard of 4 Grumman F6F Hellcats overflying the NAS Alameda main gate (courtesy of Kevin Walsh).
A circa 1944-45 photo of Grumman Hellcats being overhauled at Alameda
(from the 1965 Open House program, courtesy of Bill Eaton).
A WW2-era aerial view of the ramp at Alameda
(from the 1965 Open House program, courtesy of Bill Eaton).
Numerous PBYs, Consolidated Coronados, Martin Mariners, and C-47s (R4D?) were visible.
Close inspection seems to reveal a clump of Helldivers at center, judging by the upward wing-folds & round tails,
as well as Grummans, possibly Avengers, on the water side of the ramp.
The base eventually included five runways, a seaplane lagoon & ramps,
& 2 aircraft carrier piers, with a total of 2,720 acres.

NAS Alameda, as depicted on the March 1945 San Francisco Sectional Chart (courtesy of Chris Kennedy).
In 1945, NAS Alameda had the following outlying fields (according to John Voss):
NOLF Half Moon Bay, NOLF Concord, OLF San Luis Obispo,
NOLF Clear Lake (seaplane only), OLF Tulare Lake (seaplane only), and OLF Paso Robles.

A March 1946 photo by Fred Dickey (courtesy of William Larkins) of a Curtiss SC-1
operating with SOSU-3 approaching NAS Alameda's seaplane ramp.
A 1946 photo by Bill Larkins of a Martin JRM-1 Mars (76820) making a JATO-assisted takeoff from Alameda,
headed north on San Francisco Bay on its way to Hawaii.

A circa 1946-50 photo of the JRM-1 Marshall Mars on display for civilian visitors at NAS Alameda (courtesy of John Voss).

A 7/29/46 USGS aerial view of NAS Alameda (from the UCSB Library), showing 5 paved runways, hangars, and a huge number of Navy aircraft.

A circa 1947 photo of a rare Douglas BTD-1 Destroyer (BuNo 09086) at NAS Alameda, tied down to Pierced Steel Planking, with a large flying boat visible in the right background.
The Destroyer's “TEST” marking was due to its use in ice research tests by the National Advisory Committee for Aeronautics from 3/11/46-9/4/47.

A 1946 aerial view looking south at NAS Alameda (courtesy of Kevin Walsh).

A 5/5/47 aerial view by Bill Larkins of an amazing array of over 400 F6F Hellcat fighters on the west side of NAS Alameda awaiting overhauling or scrapping.

The 1949 USGS topo map (courtesy of Kevin Walsh) depicted Alameda “Naval Reservation” as having 5 runways.
Al Brown recalled, "I was stationed at Alameda in 1953-54. I was a crew member on the JRM Mars seaplane.
We flew to Hawaii & returned twice a week. Travel time was 16 hours flying at 10,000 feet."
A 1955 USN photo of a sporty FJ3 Fury in front of NAS Alameda's Hangar 20 (courtesy of John Voss).
Compare to the photo of the same building, 48 years later, several paragraphs below.

A 4/15/55 photo of a row of Martin P5M-2 Marlin flying boats at NAS Alameda.
A circa 1950s USN photo of a static display at NAS Alameda, with a F7U-3 Cutlass in the center (courtesy of John Voss).
Lanny Giorgi recalled, “I grew up just outside of the NAS Alameda & had the opportunity to go there often in the 1950s, 1960s & 1970s.
The carriers used to have air operations while docked & we were right under their final approach.
I knew the jets by sound. I loved it but my parents didn't. Especially during night operations.”

An October 1956 photo by Bill Larkins (courtesy of Bill Larkins) of Convair R3Y-2 Tradewind "Caribbean Sea" (C/n 131723) of VR-2 leaving the Alameda seaplane docks.

An undated aerial view looking north at the Alameda lagoon & hangars,
with the USS Hancock (CV-19), USS Kearsarge (CV-33), and USS Yorktown (CV-10) in port for the 17th Anniversary of the base opening
(from 11/1/57 issue of The Carrier newspaper).
A late 1950s photo by Bill Eaton of the surviving fleet of Martin JRM Mars seaplanes at NAS Alameda after they were retired & put into storage.

A 1/24/58 photo of VR-2 Convair R3Y-1 Tradewind "Indian Ocean" (C/n 128446) moored on the Alameda seawall, with its crew unable to turn off its problematical engines.
On a flight from Hawaii, there was a catastrophic failure of engine #2's gearbox, and a propeller blade sliced the fuselage (damage visible just below the propellers), causing an explosive decompression.
The crew still managed to land at Alameda, and the flight still set a speed record between Hawaii & San Francisco, so this was probably being pursued.
Note the Bay Bridge on the right and a Piasecki HUP Retriever helicopter overhead.
The accident was the last straw for the Tradewind & its erratic T40 engines. VR-2 was disbanded in April 1958 & all R3Ys were scrapped.

An 8/12/58 USGS aerial view (from the UCSB Library) of the extensive Alameda airfield.

A closeup from the 8/12/58 USGS aerial view (from the UCSB Library) showing the 4 massive Martin JRM Mars seaplanes sitting on the north ramp of NAS Alameda,
and large numbers of supersonic jet aircraft on the ramp at bottom right.

The April 1959 San Francisco Local Aeronautical Chart (courtesy of Paul Columbus)
depicted NAS Alameda as having 4 paved runways, with the longest being 8,000'.

An October 1959 aerial view (from the 1960 NAS Alameda yearbook, courtesy of Kevin Walsh) which identified many of the base's many buildings.

An undated aerial view (from the 1960 NAS Alameda yearbook, courtesy of Kevin Walsh) looking southwest at several aircraft carriers docked at NAS Alameda,
with several land-based aircraft & hangars in the foreground.

An undated photo (from the 1960 NAS Alameda yearbook, courtesy of Kevin Walsh) of a Douglas R4D in front of NAS Alameda's Air Operations Terminal.

An undated photo (from the 1960 NAS Alameda yearbook, courtesy of Kevin Walsh) of NAS Alameda's fire crews, with several Lockheed P2V Neptunes in the background.

An undated photo (from the 1960 NAS Alameda yearbook, courtesy of Kevin Walsh) of 5 Lockheed P2V Neptunes on the NAS Alameda Overhaul & Repair ramp.

A July 1963 photo by William Larkins of a Curtiss C-46F, N69346 at NAS Alameda.
According to William, “Quicktrans was a contract service at that time for civilian operators to carry freight for the Navy.”

A 7/20/63 photo of a Douglas A-4B Skyhawk BuNo 142829 of VA-164 Ghost Riders at NAS Alameda.

A circa 1960s photo of A-4 Skyhawks in the Alameda Naval Air Rework Facility.
In postwar years, one of the most important tenants at Alameda was the Naval Air Rework Facility,
a depot for various naval aircraft.
A wide variety of Navy & Marine Corps aircraft units were stationed at Alameda.

A circa 1960s aerial view looking northwest at 3 carriers docked at NAS Alameda (courtesy of Kevin Walsh) from a 1973 base directory, with NAS Alameda behind them.
Alameda served as the homeport for several aircraft carriers, with piers large enough to accommodate the largest carriers in the fleet.

A circa 1960s aerial view looking east at the USS Ranger docked at NAS Alameda (courtesy of Kevin Walsh)
from a 1973 base directory, with rows of planes on the ramp in the background.

A May 1967 photo of an all-black RA-3B Skywarrior on a wet Alameda ramp.

A December 1967 aerial view by Nick Williams after departing NAS Alameda of several F-1E Furies, a B-26 Invader, A-1E Skyraider and F-3 Demon, all headed to the burn pit in the distance.

A 1968 USN photo of a Douglas EKA-3B Skywarrior (BuNo 147663) from Airborne Early Warning Squadron VAW-13 Det. 66 Zappers in a NAS Alemda hangar.

A 4/20/68 aerial view of Alameda.

A circa late 1960s photo of a camouflaged Lockheed AP-2H Neptune (BuNo 135620) of VO-67 at NAS Alameda.
The AP-2H was one of only 4 which had been converted in 1968 as a specialized night & all-weather ground attack variant fitted
with FLIR & Low Light TV systems, tail turret, fuselage-mounted grenade launchers, downwards firing miniguns, and bombs & napalm carried on underwing pylons.

The 5/1/69 San Francisco Sectional Chart depicted NAS Alameda as having 2 paved runways, with the longest being 8,000'.

A circa 1960s-70s aerial view looking west at NAS Alameda, with Treasure Island also visible in the background (courtesy of Kevin Walsh).

An undated US Navy photo by Matt Perez (courtesy of Kevin Walsh) from a 1973 base directory, looking out from NAS Alameda's control tower.

An undated photo of NAS Alameda's control tower.

A November 1977 photo of BuNo 147656, a Douglas KA-3B Whale of VAQ-308 at NAS Alameda.

A 10/1/80 USGS aerial view of NAS Alameda (from the UCSB Library), showing 2 paved runways, hangars, and a huge number of Navy aircraft.

An August 1983 photo of BoNo 154545, a tired-looking Vought A-7E Corsair II of VA-304 at NAS Alameda.

A 1984 aerial view of Alameda, showing a large number of tactical aircraft on the ramp at the bottom,
as well as P-3 Orions along the former seaplane ramp along the east side.

A 1988 airport diagram of Alameda NAS.

A January 1989 DOD aerial view looking southeast at NAS Alameda.

The last aeronautical chart depiction which has been located of NAS Alameda was on the April 1989 San Francisco Terminal Chart (courtesy of Ken Mercer).
It depicted NAS Alameda as having 2 paved runways, with the longest being 8,000'.

A 1989 photo of 4 Sikorsky MH-53E Sea Dragons of Helicopter Mine Countermeasures Squadron 15 Detachment 3 at NAS Alameda.

A 10/17/90 photo of 2 Grumman A-6E Intruders inside an NAS Alameda hangar.

A 10/29/90 view of the pilot of a Naval Air Reserve VA-304 A-7E Corsair II, with his wingman visible on the left,
after having taken off from Alameda, with the base visible below.

A 3/10/91 photo of a Sikorsky MH-53E Sea Dragon & a Lockheed S-3B Viking in front of an NAS Alameda hangar.

A 1993 USGS aerial view looking north showed NAS Alameda only 4 years before it closed, showing a few aircraft still on the ramps.

The last photo showing NAS Alameda still in use as an airfield was an October 1995 photo of a Douglas SBD-5 Dauntless dive bomber,
Navy 28536, civil registration N670AM, of the Planes of Fame Air Museum.
It was seen at Alameda;s last Fleet Week open house.

The 1996 USGS topo map depicted the massive airfield infrastructure of the Alameda NAS.
Alameda NAS was closed on 4/25/97 as part of the Base Closure & Realignment process.
At the time of its closure, 2 asphalt runways were still maintained (the largest, 5/31, was 8,400').
Civil reuse plans did not include any aviation uses of the massive NAS Alameda airfield.

A 2000 photo by Kevin Walsh of NAS Alameda's Art Deco gate.

A mile & a quarter long section of "freeway" which was constructed on the former Alameda runways
in 2001 as a movie set for the film "The Matrix Reloaded" (courtesy of Eric Barbour).
According to Eric Barbour, the former runways at Alameda were used in 2001 to film part of the movie "The Matrix 2".
An entire 3-mile-long section of freeway was constructed on part of Runways 13 & 25.
Warner Brothers removed the set after filming,
but the layout of the roadway sections were still perceptible on the runways.

A March 2003 photo by Kevin Walsh looking north at the NAS Alameda control tower.

A March 2003 photo by Kevin Walsh looking west along the NAS Alameda runways, with the San Francisco skyline & the San Francisco Oakland Bay Bridge in the background.
A beautiful 2003 photo by Erick McCarthy of the San Francisco skyline behind the remains of the runways at NAS Alameda.
A 2003 photo by Erick McCarthy looking south along the parking apron,
with the hangars & control tower of NAS Alameda visible on the left.
A 2003 photo by Bill Larkins of a Douglas A-4 mounted on a pylon at Alameda.
A 2003 photo by Bill Larkins of a loaded Vought A-7, mounted on a pylon at Alameda.

A 2003 photo by Tim Tyler of Building 77 at Alameda - still marked as the "Air Terminal".
Tim Tyler visited the former NAS Alameda in 2003.
His report: "Hello from the ramp area in front (south) of the former NAS Alameda Building 77 - the old Air Terminal Building.
Building 77 is on the east end of this ramp area, with the newer ATC/Terminal Building being on the west end.
The newer ATC building is actually the corner, as the hangars & ramp area basically form an 'L' shape."

A 2003 photo by Tim Tyler of the remains of a seaplane ramp, with several former Navy ships in the background.
Tim Tyler continued, "I rode my bike all around the ramp area this afternoon, seeing / photographing the numerous old seaplane ramps
(including one that seemed to have been converted from a barge), the faded helicopter LZ markings, and 4 major hangars.
Three in a row & then one located right behind Building 77.
NAS Alameda is now known as Alameda Point, and is pretty much owned by the city of Alameda now.
I'd say maybe 40% of the NAS properties are redeveloped, but that number could be substantially greater
if some companies have just chosen not to put any signs up on their doors or something."

A 2003 photo by Tim Tyler of "a very large, metal NAS Alameda emblem, mounted on the wall next to the doors at the old Air Terminal."
Tim Tyler continued, "Building 77 looks like it dates back to the 1930s or 40s, several stories tall, with 'Air Terminal' lettering on the ramp-side of it.
There are several historical markers around the steps leading to the door,
and a large NAS Alameda emblem is still up on the wall next to the doors.
This building was apparently a NAS Alameda Museum at one point,
however a piece of paper still posted on the glass doors indicated that the museum was still looking for volunteers,
and they were anxious because they had a 2001 opening date.
Peering in through the window, the ground floor area was full of miscellaneous junk, but not dirty or showing any signs of vandalism.
Apparently the museum group suffered from a variety of mismanagement, and was short-lived.
Some of the aircraft that were on loan to them is now aboard the USS Hornet, moored several hundred yards away."
Tim Tyler continued, "The hangar behind the Air Terminal is Hangar 41, the 'AIMD' [Aircraft Intermediate Maintenance Department] Hangar.
It's unusual in that it has a small Quonset hut located along the south side of the doors,
and an old cipher lock on the personnel door, located in between the 20'x40' Quonset hut & the hangar."

A 2003 photo by Tim Tyler of NAS Alameda's Hangar 40.
"The next major Hangar, number 40, is now the Bladium Sports Club, at 800 West Tower Avenue."
Tim Tyler continued, "Hangar 39, 950 West Tower Ave, is now Delphi Productions,
which based on what I saw when I peered in one of the windows, is involved with helping design, build & ship exhibits for trade shows.
The south side of this hangar is at 37-46.9 N / 122-18.19 W.
Based on some painted-over stenciling ('HS-85 Parking Only') on the side, this hangar had been used by Navy Helicopter Squadron 85."
Tim continued, "The next hangar west is number 12,
which according to some very faded/perhaps painted over lettering was the 'NARF Emergency Repair Hangar 12' once,
but from all external appearances, it seems unused these days.
However, in peeking through a window, I did observe a 2003 calendar on the wall of a work area.
On the ramp about 50' back from this hangar are some 'humps' in the concrete
which seemed to provide some power & liquid receptacles for parked aircraft.
Building 12 is a very large hangar, perhaps 700' long on it's south side.
It has several street addresses - 1090 & 1190 West Tower Avenue.
The '12' numbers are on the hangar doors on the east end of the building.
The doors on the west don't have a hangar number above them, but the doors on the number side indicate it is Hangar 11."
Tim continued, "Hangar 25 is a newer (at least 1970s) hangar & is on the opposite side of the ramp from the ATC Tower.
It had 3 separate bays to it, and the east end is at N 37-46.83 / W 122-18.60.
It seems mostly to be used these days for indoor antique shows & flea markets.
It was used to remove the canons from aircraft, which would then be taken to nearby Building 29.
Behind (south) it seemed to be some sort of power production facility, and then Building 494 (1851 Monarch Street),
which is an ancient looking corrugated steel warehouse type building
with several storage bays that have newer cars in them."
Tim continued, "A couple hundred yards South of Building 494 is Building 29.
It's in an isolated area, with it's own security fencing, and seemed to have old CCTV camera mounts in all 4 corners of the fenceline.
It's a fairly modern poured concrete building, with a variety of ventilation ducts on the roof.
The entrance door was hardened, and next to it is a 10'x15' equipment door.
An American flag is flying on the roof, and per a sign up on the fence, this building is now used by Rosenblum Cellars.
It turned out this is the former aircraft cannon test firing cell facility, and was hardened in case of misfires or explosions."
Tim continued, "Heading back due north, past Hangar 494 a couple hundred yards, is the ATC Tower at 2175 Monarch Street.
This is a fairly modern structure in very good condition, and is attached to some other buildings, which to me indicates it became the new Air Terminal facility.
It's now used by the Alameda Point Community Partners - the name of the entity in charge of redeveloping the former NAS.
The SE corner of this site has 3 Mark-22 naval artillery pieces on their original mounts, built in Detroit, Michigan in the 1940s."
Tim continued, "Right at N 37-46.94 / W 122-18.63 was some sort of large emblem
painted onto the gray concrete ramp area in front the runway-side entrance to this building.
For some reason, it has been painted over in black paint,
but it read 'Naval Air Station Alameda California' & had a red, white & blue shield in the center."
Tim continued, "Continuing north on the ramp area past the ATC/Terminal Building puts you on the other part of the 'L' shape.
The runway area is west, but it's fenced off with numerous 'No Tresspassing' signs,
indicating that the area is now a California Least Tern nesting area.
This was the site in particular I was hoping to be able to access with my bike.
Off in the distance, near the bay I can see 2 munitions igloos near the southwest corner of the runway area.
More towards the center is a series of several small concrete buildings & one Quonset hut structure.
A couple of cars & a motorhome are parked in their vicinity.
One of these buildings is marked as Building 499, and based on the ventilation ducts on the side,
perhaps it was a generator or transformer building for the airfield lighting system?
It turns out that the Terns don't care too much for the peace & quiet,
so there is some discussion amongst the powers-that-be
to re-use some of this valuable bay-front land with spectacular views of the San Francisco skyline.
As it is, the City of Alameda rents out access to the former runways frequently -
Hummer built a temporary course to demonstrate their vehicle's prowess,
General Motors has leased the grounds to provide demo rides of their products, etc."
Tim continued, "Hangar 24 is north-northeast of the Terminal Building a couple hundred feet,
and is a modern hangar with a lot of heavy-duty ventilation on the roof.
It's now used by Coach Specialties Inc. and is the former aircraft painting facility. Coach Specialties uses it to paint large buses."
Tim continued, "The North end of it seems to be used by another firm.
There were about a dozen strange looking 4 door cars known as 'Cayenne Turbos' but no manufacturer name or logo.
Turns out they're a new Porsche product, brought in to test driven by Bay Area Porsche enthusiasts his weekend."
"The next hangar north is number 23, now apparently used by 'WCN' company.
Next is Hangar 22 at 2501 Monarch Street, now used by Creative Technology.
Hangar 21 is/was used as a factory by Kitz Direct Seal Valves, but sure looks like it is unused now.
On the runway side of Hangar 21, 'Welcome from the Firebirds' is still easily legible along the roofline.
These hangars were formerly home to Marine Corps aviation squadrons."

A 2003 photo by Tim Tyler of NAS Alameda's Hangar 20.
Compare to the photo of the same building, 48 years before, several paragraphs above.
Tim Tyler continued, "What should be Hangar 20 does have any Hangar or Building number markings up,
but it is occupied by Ocean Systems Inc, Protector Boats, Juniper Ridge, and Edge Innovations.
Protector Boats is a series of harbor patrol type RIB/RHI boats, and several were stored outside.
On the west (runway) side of this building, at 37-47.3 N / 122-18.60 W should be exactly where
the F-3J 'Fury' aircraft was parked when the photo [several paragraphs above] was taken.
It's kind of eerie to be parked in that exact spot right now, while I look at that photo from 1955.
The tower cab is no longer up on the end of the hangar.
Further north of Hangar 20 is a large, paved area that's vacant,
and then an active Port of Oakland commercial shipping area beyond that."
Tim continued, "On the west-northwest side of the runway area is the former modern WSA for 'special' weapons.
That portion of the base also had a small arms firing range, and south of this area, I spotted the field's tetrahedron."
Tim continued, "The former NAS Alameda is a very large installation,
with lots of areas to explore, however in this visit & report, I'm tending to focus on the aviation-related aspects.
There were numerous other large hangars (I've been informed that Hangar 5 has about 1,000,000 square feet of floor space) that I'm not even mentioning,
because they're set back behind others & not up against the flight line."
Tim continued, "I was extremely lucky to stop & talk with an Alameda PD officer,
who happened to be a retired Marine who was stationed aboard the USS Carl Vinson during the time the Vinson's home-port was NAS Alameda.
He confirmed numerous educated guesses I'd made,
allowing me to revise some tentative wording in this Situation Report to something definitive."
Hugh Black reported in 2003 that he works for Protector Boats & Performance Boats, which is located in Alameda's former Hangar #20.
"This is an old helo hangar. There are still diagrams on the wall of the different types of helos... size, dimensions etc. (very cool)."
Scott reported in 2004 "that a couple of WWII veterans have just opened a museum [the Alameda Naval Air Museum]
in the old Air Terminal Building in Alameda Building 77 of the old Naval Air Station.
It is open on the weekends & features the local history.
As you come through the gate on Atlantic Ave when you reach the fork it is on your right."

A 2004 photo by Tim Tyler looking east at Alameda's abandoned hangars.

A 2004 photo by Tim Tyler looking west along one of Alameda's abandoned runways, with the San Francisco skyline in the background.

A 2004 photo by Tim Tyler of one of Alameda's abandoned former munitions storage bunkers.
Tim Tyler visited the abandoned NAS Alameda again in 2004.
"The entire airfield area is fenced, but on occasion, the gate for the northern half is open, and I was able to drive around this portion.
Besides part of the runway & taxiway areas, the only thing that's really there is the former weapons storage areas -
an older conventional munitions area, and then an adjacent compound that had been guarded by a contingent of Marines, and stored nuclear weapons."
Tim continued, "There was another fence running East/West & cutting the airfield in half.
This other half of the airfield is this silly wildlife preserve & very much off-limits to unauthorized people,
though there was some sort of truck driving around there.
This half of the airfield has a couple large munitions igloos towards the SW corner,
the old shooting range, windvane, and a couple other miscellaneous buildings."

A beautiful August 2004 photo © by AirNikon (used by permission),
looking west with the site of San Francisco Bay Airdrome in the immediate foreground,
the closed NAS Alameda in the middle,
and the skyline of San Francisco in the background.

A 6/23/06 photo of 3 Mk.22 naval guns mounted in front of Alameda's former control tower.
According to Jonathan Westerling, “Around 2006, a startup called Makani moved into the control tower building at Alameda NAS.
They were developing a kite to generate wind power more efficiently.
For years Makani flew the flight tests for the various kite designs on the wide open NAS runways.
So Alameda continues to have an aviation role, long after the airfield had been formally closed.”

A 2006 aerial view by Bill Larkins looking northeast at the Alameda ramp, hangars, and control tower.
Adrienne Simpson reported in 2006, “I work for Hangar One vodka,
which occupies Hangar 21 on the former Alameda Naval Air Station.”

A December 2006 aerial view by Ian Carisi looking southeast along Alameda's Runway 13.

A November 2007 aerial view by Ian Carisi looking south at Alameda's former control tower.

A circa 2008 photo of the hangars of Alameda's Naval Air Rework Facility.

A circa 2009 aerial view looking north at the “wreckage” of a Boeing 737 on Alameda's Runway 7/25.
According to Richard Yokley, this was used to shoot the 'Coming Home' episode of the NBC TV series 'Trauma', which originally aired November 2009.

Another circa 2009 photo (courtesy of Richard Yokley) of the “wreckage” of a Boeing 737 on Alameda's Runway 7/25,
used to shoot the 'Coming Home' episode of the NBC TV series 'Trauma', which originally aired November 2009.

An undated aerial view of 4 A-4 Skyhawks over NAS Alameda,
on the cover of Bill Larkin's 2010 book “Alameda Naval Air Station”.
In June 2011 Alameda's A-4 was seriously damaged when it toppled over when a crane was attempting to re-mount the A-4 on its display pylon.
Tim reported in December 2011, “After only 2 months & 26 days all the damage that occurred in June 2011 was repaired &/or fixed.
It is now remounted & it looks like nothing ever happened. From tragedy to triumph.”

A 1/1/12 photo by William Larkinns of “the beautiful A4D-1 is now mounted at the main entrance to the old NAS Alameda - now called Alameda Point.
It is in its correct historical markings when it was in VA-113.”

A 1/31/12 photo of the experimental Google Makani wind power generation kite being flight tested on the NAS Alameda runways
(© Makani/Andrea Dunlap used with permission, courtesy of Jonathan Westerling).

A 9/21/12 photo of the Space Shuttle on top of the Shuttle Carrier Aircraft 747 overfling the NAS Alameda control tower (copyright Makani/Andrea Dunlap used with permission, courtesy of Jonathan Westerling).

A 2/20/13 photo of the NAS Alameda control tower, now the headquarters of the Google Makani project (copyright Makani/Andrea Dunlap used with permission, courtesy of Jonathan Westerling).

A 2/13/14 photo of the interior of the NAS Alameda control tower, reused as a meeting room (© Makani/Andrea Dunlap used with permission, courtesy of Jonathan Westerling).
Jonathan Westerling reported, “Makani has renovated the interior of the control tower building as office space for their headquarters, and continue to make use of the tower itself as a meeting lounge.”

A 4/13/15 aerial view by Dallam Oliver-Lee looking southwest at NAS Alameda.
What a shame to see such a massive amount of aviation infrastructure going to waste.

A 4/13/15 photo by Dallam Oliver-Lee of a former NAS Alameda hangar.
Dallam reported, “A lot of the buildings have been rented out by companies. Only a few buildings were abandoned.”

A 4/13/15 photo by Dallam Oliver-Lee of the massive NAS Alameda ramp.

A 10/29/15 photo of the Pan Am logo on the side of an Alameda hangar.
Tim Tyler reported, "The Pan American Airways System artwork is on the side of one of the old hangars behind the old Air Terminal building.
I'm assuming it was a hangar used by Pan Am Clippers back in the day."

A 10/29/15 panoramic photo of an Alameda hangar.

A circa 2015-2018 3D aerial image looking northwest at the NAS Alameda control tower & hangars.

A 5/11/16 photo by Kevin Walsh of the heavily-loaded Vought A-7 mounted on a pylon at Alameda.

A 10/27/16 photo (courtesy of Kevin Walsh) of the last plane to land (for now) on the NAS Alameda runway - a Cessna 172 which made an emergency landing.
At least all of this extensive infrastructure is still being put to some aviation use.

A 7/1/17 aerial view by Ian Carisi looking northeast at the massive aviation infrastructure which remains at the former NAS Alameda.

A 4/2/18 aerial view looking north shows the NAS Alameda airfield remained almost completely intact, with an extensive network of runways, taxiways, large ramp areas & numerous hangars.
What a shame to see so much aviation infrastructure, paid for by the taxpayers, going to waste.
Jonathan Westerling reported, “Makani was later purchased by Google & in 2018 continues to use NAS Alameda as their headquarters & manufacturing,
though flight testing of the much-larger kite designs must be done elsewhere.”

A 5/10/18 photo by Jonathan Westerling looking out from the NAS Alameda control tower, showing the same perspective as the 1973 photo.

A 5/10/18 photo by Jonathan Westerling of the interior of the NAS Alameda control tower. Jonathan observed, “How many towers have a disco ball?”

A 5/10/18 photo by Jonathan Westerling of the spiral staicase leading down from the NAS Alameda control tower.

A 5/10/18 panoramic photo by Jonathan Westerling of the NAS Alameda control tower, ramp, runways, and hangars.

A 4/18/20 aerial view by Kevin Walsh looking north at the former NAS Alameda hangars & ramps.

A 4/18/20 aerial view by Kevin Walsh looking north at the former NAS Alameda runways.

A 6/16/21 photo by Brian Poole of one of Alameda's abandoned former munitions storage bunkers.

A 1/7/22 photo by Brian Poole looking west along the site of the NAS Alameda runways, with the San Francisco skyline & the San Francisco Oakland Bay Bridge in the background.
Army Corps of Engineers Brian Poole reported in 2022, “Former Alameda Naval Air Station is about to go get some construction.
We have 2 contracts out for bid that would start a pretty good transformation to the former Air Station airfield area.
Part of the work early on will be the demolition of 6 buildings, some of the runways & taxiways.
There currently is stockpiled soil on the east/west runway that has a solid view of the airfield. The entire airfield area is off-limits to the public.
Hangars are still being utilized with different businesses. Spirits Drive has a vodka distillery, a beer distillery, St George’s Spirits distillery and several wineries.
The north/south runway on the south end will get removed & a new wetlands created.”

An October 2022 aerial view looking east at the NAS Alameda ramps & hangars.

An October 2022 aerial view looking west at the former NAS Alameda runways, with the San Francisco skyline in the background.

A June 2024 aerial view by Rex Ricks looking southwest at the former NAS Alameda.

A 2/9/25 photo of Martin JRM-1 Philippine Mars during its stop at Alameda, with the hangars visible in the background.
See also: www.vpnavy.com/nasalameda.html
____________________________________________________
____________________________________________________
This site covers airfields in all 50 states.